Anunt
www.infobraila.ro - Brăila
FRATILA GEORGIAN IRINEL, ANUNTA PUBLICUL INTERESAT ASUPRA DEPUNERII SOLICITARII DE EMITERE A ACORDULUI DE MEDIU PENTRU PROIECTUL ” AMPLASARE STATIE SPALATORIE AUTO AUTOMATA” PROPUS A FI AMPLASAT IN JUDETUL BRAILA, COMUNA TUFESTI, LOCALITATEA TUFESTI, STR BRAILEI NR 309. INFORMATIILE PRIVIND PROIECTUL PROPUS POT FI CONSULTATE LA SEDIUL AUTORITATII COMPETENTE PENTRU PROTECTIA MEDIULUI-APM BRAILA, BDUL INDEPENDENTEI […]
Drumul cu trenul de la Braila la Buzau, cosmarul brailenilor / O trotineta electrica injoseste caile ferate romane
www.infobraila.ro - Brăila
Trotinetele electrice prind avans. Atat de mare este avansul incat pot depasi, fara probleme, multe trenuri care circula pe caile ferate romane. Daca ne raportam la judetul Braila, o trotineta electrica saluta din mers orice tren regio ce face legatura intre Buzau si Galati, legatura ce trece inevitabil prin Braila. Daca o trotineta electrica poate […]
ANUNT PUBLIC
www.infobraila.ro - Brăila
CONSTANTINESCU A ALEXANDRU II DECLARA PIERDUT CERTIFICAT DE INREGISTRARE SERIE B3820092 DIN DATA 22.02.2019. Comentarii comentariu
A picat Guvernul! Moţiunea de cenzură a trecut de Parlament. Cum au votat politicienii din Timiş
www.tion.ro - Timiş
Joi, 10.10.2019, a fost dezbătută în Parlament moţiunea de cenzură depusă de mai multe formaţiuni politice din opoziţie. Un număr de 237 de parlamentari au semnat moţiunea de cenzură care a fost supusă votului parlamentarilor.
Bătaie între un elev şi un profesor, la o şcoală din Timiş
www.tion.ro - Timiş
O altercaţie între un profesor şi un elev a avut loc, miercuri, 9 octombrie, la Liceul „Aurel Vlaicu” din Lugoj. Incidentul a avut loc într-o pauză.
Gata şantierul pe strada care duce la primărie. Vor fi restricţii, dar Robu speră că vă place
www.tion.ro - Timiş
S-a deschis în sfârşit circulaţia de pe Podul Mihai Viteazul spre primărie, pe str. 20 Decembrie, după trei săptămâni de şantier, însă drumarii de la SDM nu vor pleca prea curând din zonă. Șantierul se mută în faţa primăriei, pe C.D. Loga, dar şi între Catedrala Mitropolitană şi Podul Mihai Viteazul, pe Bd. Regele Ferdinand. Se va circula cu restricţii!
Primăria ia credit de peste 40 de milioane de euro, timişorenilor nu le pasă
www.tion.ro - Timiş
Timişorenii nu au fost deloc curioşi să participe la dezbaterea publică organizată de primărie pentru creditul de peste 40 de milioane de euro. Proiectul trebuie să treacă de plenul consiliului local, iar Robu spune că împrumutul va ajuta municipalitatea să economisească, pentru câţiva ani.
Retroparada toamnei 2019, în parcarea Ploieşti Shopping City
ph-online.ro - Prahova
Mai bine de 40 dede maşini fabricate înainte de 1989 vor face paradă, sâmbătă, 12 octombrie, în parcarea Ploieşti Shopping City. Retroaparada Toamnei...
A început operaţiunea Lego cu pavajul! Drumarii SDM lucrează pe bucăţi în Piaţa Victoriei
www.tion.ro - Timiş
Lucrăm pe bucăţi, deşi avem proiect de reabilitare a Pieţei Victoriei! Muncitorii Societăţii de Drumuri Municipale s-au apucat să scoată din pavajul din centrul oraşului şi să-l rearanjeze. E un test doar, iar dacă iese „mulţumitor”, atunci se lucrează pe front mai larg. Oricum nu e timp de reabilitarea completă a Pieţei Victoriei.
Senator PMP, dus cu ambulanţa, din Cluj la Parlament, pentru a vota la moţiunea de cenzură
feedproxy.google.com - Cluj
Premieră în Parlament. Un senator PMP a fost adus cu ambulanţa pentru a vota la moţiunea de cenzură. Bărbatul urma să fie supus unei
Casa Muhle „urlă” de durere, prin artă: „Vreau să înfloresc la loc!”
www.tion.ro - Timiş
Uitată de proprietari, dar şi de autorităţi, Casa Muhle încă trăieşte în amintirile timişorenilor, dar şi în ale artiştilor. Două bannere uriaşe au fost prinse joi dimineaţă de gardul ruinei de pe Bd. Mihai Viteazul. Înfăţişează o ilustraţie şi spun: „Sper din toţi suferarii că nu aţi uitat de mine, dragilor! Vreau să înfloresc la loc!”.
Constantean dat in urmarire generala depistat la Punctul de trecerea Frontierei Nadlac. Pentru ce era dat in consemn
www.ziuaconstanta.ro - Constanţa
Ieri, politistii de frontiera din cadrul Punctul de Trecere a Frontierei Nadlac II- Csanadpalota au depistat si predat autoritatilor competente un barbat
Motiunea de cenzura a trecut. Consultari la Cotroceni pentru desemnarea premierului. Orele stabilite. Cati oameni vor fi in fiecare delegatie
www.ziuaconstanta.ro - Constanţa
Ieri, presedintele Romaniei, Klaus Iohannis, a trimis o scrisoare presedintilor partidelor si formatiunilor politice reprezentate in Parlamentul Romaniei
Înscrieri în proiectul „Școala mea, o şansă pentru viitor”
mesageruldecovasna.ro - Covasna
Vrei să fii notificat când apare un articol nou? Abonează-te prin e-mail
„Toamnă culturală – Sărbătoare câmpenească –maial”, la Barcani
mesageruldecovasna.ro - Covasna
Vrei să fii notificat când apare un articol nou? Abonează-te prin e-mail
Aproape 1600 de copii, în excursie, prin programul „Nu numai un loc pe hartă”
mesageruldecovasna.ro - Covasna
Vrei să fii notificat când apare un articol nou? Abonează-te prin e-mail
Festivalul de toamnă din Ținutul Pădurilor, sărbătoarea regiunii
mesageruldecovasna.ro - Covasna
Vrei să fii notificat când apare un articol nou? Abonează-te prin e-mail
Aproape 22.000 lei strânşi la licitaţia civilă
mesageruldecovasna.ro - Covasna
Vrei să fii notificat când apare un articol nou? Abonează-te prin e-mail
Campanie de strângere de semnături pentru schimbarea locaţiei viitorului parc de divertisment de la Şugaş Băi
mesageruldecovasna.ro - Covasna
Vrei să fii notificat când apare un articol nou? Abonează-te prin e-mail
Parlament: Moţiunea de cenzură a fost adoptată Guvernul Dăncilă a fost demis
mesageruldecovasna.ro - Covasna
Vrei să fii notificat când apare un articol nou? Abonează-te prin e-mail
Repere identitare româneşti din judeţele Covasna şi Harghita (III) Din patrimoniul cultural-etnologic
mesageruldecovasna.ro - Covasna
Vrei să fii notificat când apare un articol nou? Abonează-te prin e-mail
Playboy-ul PSD-ului: Orlando Teodorovici, după căderea Guvernului, către o ziaristă: „Sunteţi liberă diseară?" (VIDEO)
www.ebihoreanul.ro - Bihor
Pierderea guvernării le-a luat minţile. Ministrul Finanţelor, Eugen Orlando Teodorovici, a avut o reacţie grobiană imediat după ce guvernul din care face parte a căzut la moţiune de cenzură. Oprit pe holul Parlamentului de o jurnalistă care l-a întrebat ce va face în continuare, playboy-ul PSD-ului i-a răspuns jignitor, întrebând-o dacă e liberă diseară şi comentând că are dinţii puşi şi că nu prezintă interes pentru el.
Invictus România va organiza, în perioada 17- 25 octombrie, cea de-a şasea ediţie a Ştafetei Veteranilor
mesageruldecovasna.ro - Covasna
Vrei să fii notificat când apare un articol nou? Abonează-te prin e-mail
Meniul zilei
mesageruldecovasna.ro - Covasna
Vrei să fii notificat când apare un articol nou? Abonează-te prin e-mail
Program Cinema Arta, perioada 11 – 17. octombrie
mesageruldecovasna.ro - Covasna
Vrei să fii notificat când apare un articol nou? Abonează-te prin e-mail
ROMÂNI CELEBRI: Dimitrie Gusti, iniţiatorul Şcolii româneşti de sociologie
mesageruldecovasna.ro - Covasna
Vrei să fii notificat când apare un articol nou? Abonează-te prin e-mail
Momentul astral al Marii Uniri: Zborul de la Bacău la Blaj (23 noiembrie 1918)
mesageruldecovasna.ro - Covasna
Vrei să fii notificat când apare un articol nou? Abonează-te prin e-mail
Tragedie în presa din Satu Mare. O voce cunoscută ne-a părăsit
portalsm.ro - Satu Mare
Tragedie în presa din Satu Mare. O voce cunoscută ne-a părăsit
Sucul de portocale, bun aliat in sezonul racelilor
www.ziuaconstanta.ro - Constanţa
O singura portocala contine 116 din doza zilnica recomandata de vitamina C, care este vitala pentru un sistem imunitar puternic, ajutand la combaterea radicalilor liberi ce dauneaza ADN-ului. ...
Știati ca...?: Se implinesc 51 de ani de la prima misiune spatiala cu oameni la bord - Apollo 7
www.ziuaconstanta.ro - Constanţa
Misiunea americana spatiala Apollo 7, avandu-i la bord pe Donn Eisele si Walt Cunningham si la comanda pe Wally Schirra, a fost lansata din Cape Kennedy, Florida, pe 11 octombrie 1968. Nava a ...
Romania U21 a invins Ucraina, scor 3-0. Radu Boboc de la FC Viitorul, pasa decisiva
www.ziuaconstanta.ro - Constanţa
Nationala U21 a Romaniei a obtinut prima victorie in noua campanie de calificare la C.E de tineret din 2021, scor 3-0 cu Ucraina. Unul dintre cei mai buni jucatori de pe teren a fost fundasul de la FC ...
Tulburător! Un bărbat din Botoşani s-a sinucis după o ceartă cu familia. A fost găsit mort la marginea cimitirului
www.botosaninews.ro - Botoşani
...
Maia Morgenstern si Horatiu Malaele, la Constanta, in comedia Fierarii“
www.ziuaconstanta.ro - Constanţa
Marti, 15 octombrie, cu incepere de la ora 19, constantenii sunt invitati sa participe la un regal de teatru, pe scena Casei de Cultura a Sindicatelor. Comedia Fierarii ii are ca protagonisti pe ...
HC Dobrogea Sud. George Buricea a revenit pe teren. Explicatiile sale: Lasati-ma pe mine sa fiu «scutul» lor si loviti-ma cat vreti!“
www.ziuaconstanta.ro - Constanţa
In meciul de campionat cu CSM Bucuresti, antrenorul secund al HC Dobrogea Sud Constanta, George Buricea 40 de ani , a revenit pe teren. Decizia a surprins, in conditiile in care George se retrasese din ...
BC Athletic, eliminata din Cupa Romaniei: Alexandru Olteanu - Suntem la inceput de drum. In retur, am jucat decent doar in primul sfert“ (galerie foto)
www.ziuaconstanta.ro - Constanţa
Echipa masculina de baschet Athletic Constanta s-a oprit in turul intai al Cupei Romaniei, in urma unei duble infrangeri cu CSO Voluntari, 74-98 in deplasare si 42-82 pe litoral. In retur, practic, am jucat ...
Universitatea Craiova e in cantonament pe litoral. Fotbalistii lui Piturca se pregatesc si pe plaja de la Mamaia (galerie foto)
www.ziuaconstanta.ro - Constanţa
In perioada de pauza din Liga 1, data de meciurile echipelor nationale, Universitatea Craiova a luat decizia de a efectua un cantonament de cinci zile pe litoral, care se va incheia duminica, 13 octombrie. ...
Doi jucatori de la FC Viitorul, inclusi in echipa etapei a 12-a din Liga 1. Antrenorul formatiei e Gica Hagi
www.ziuaconstanta.ro - Constanţa
In urma victoriei FC Viitorul cu 3-1 de pe teren propriu contra campioanei CFR Cluj, din etapa a 12-a a Ligii 1, doi jucatori ai echipei de pe litoral, mijlocasul Cosmin Matei si atacantul Rivaldinho, au ...
Persoanele aflate in dificultate primesc kit-uri de ingrijire corporala de la Primaria Constanta
www.ziuaconstanta.ro - Constanţa
Primaria Constanta a atribuit prin procedura simplificata un contract de produse de igiena si ingrijire corporala aferent proiectului Masuri integrate pentru o viata mai buna . Este vorba despre ...
Cel mai frumos «razboi»“: Inaintea meciului cu Gloria Buzau, rugbystii de la Tomitanii Constanta s-au relaxat la paintball (galerie foto)
www.ziuaconstanta.ro - Constanţa
Echipa de rugby Tomitanii Constanta sustine sambata, 12 octombrie, meciul din etapa a saptea a SuperLigii, intalnind pe teren propriu Gloria Buzau. Partida se disputa, de la ora 11.00, pe stadionul ...
Bloc de opt etaje pe bulevardul Mamaia. Orient Construct Decor SRL a obtinut un act de urbanism de la municipalitate
www.ziuaconstanta.ro - Constanţa
Primaria Constanta a emis pe data de 10 octombrie un act de urbanism societatii Orient Construct Decor SRL, in vederea construirii unui imobil de opt etaje pe bulevardul Mamaia nr. 392, zona Dolce Vita. ...
Nuclearelectrica SA a atribuit un contract de peste 24.000 de euro unei societati din Bucuresti (document)
www.ziuaconstanta.ro - Constanţa
Societatea Nationala Nuclearelectrica SA cumpara robineti de retinere de la Avant Com SR din Bucuresti. Contractul are o valoare de 24.060 euro. Produsele vor fi utilizate pentru realizarea ...
Profil de candidat - Ninel Peia, candidat la alegerile prezidentiale 2019
www.ziuaconstanta.ro - Constanţa
Ninel Peia este nascut pe 7 octombrie 1969, fiind un politician roman, fost deputat, ales in 2012 din partea PSD. El si-a anuntat intentia de a candida la alegerile prezidentiale din partea Partidului ...
Nicusor Constantinescu a recuzat-o pe judecatoarea Antoneta Ardeleanu. Cererea, respinsa
www.ziuaconstanta.ro - Constanţa
Nicusor Daniel Constantinescu, fostul presedinte al Consiliului Judetean Constanta, a recuzat-o pe Antoneta Ardeleanu, judecator in Tribunalul Constanta, magistrat investit cu solutionarea dosarului in ...
Cine solicita si cine analizeaza cererea de rejudecare a Dosarului Retrocedarilor din Constanta
www.ziuaconstanta.ro - Constanţa
Adina Adriana Radu, judecator al Curtii de Apel Bucuresti, a redeschis ieri dosarul in care Radu Stefan Mazare, fostul primar al municipiului Constanta, solicita rejudecarea Dosarului Retrocedarilor din ...
Strazile din comuna Lumina, asfaltate de Autoprima Serv SRL (document)
www.ziuaconstanta.ro - Constanţa
Primaria comunei Lumina a atribuit un contract, in urma unei licitatii publice, avand ca obiect efectuarea lucrarilor de Modernizare pietruire si asfaltare strazi in comuna Lumina, judetul Constanta, ...
Diminuarea salariului, inlocuita de Curtea Suprema: Judecatorul constantean Ciprian Coada, avertisment pentru opinii pe marginea OUG 13
www.ziuaconstanta.ro - Constanţa
Sanctionat la inceputul anului trecut de catre CSM cu diminuarea salariului cu 5 pentru o perioada de doua luni, pentru exprimarea unor opinii legate inclusiv de OUG 13, magistratul constantean a ...
#citesteDobrogea: In Memoriam Hadrian Daicoviciu, unul dintre cei mai mari istorici ai Romaniei (document)
www.ziuaconstanta.ro - Constanţa
Exista anumite momente cand, cu smerenie si recunostinta, trebuie sa evocam memoria unor personalitati istorice si culturale care au jucat un rol important in devenirea noastra, respectiv in ...
Ansamblu rezidential pe bulevardul I.C. Bratianu din municipiul Constanta. Unda verde pentru Gemini Estate SRL
www.ziuaconstanta.ro - Constanţa
Gemini Estate SRL a obtinut, pe data de 10 octombrie, de la Primaria Constanta, trei acte de urbanism, care vizeaza realizarea unui ansamblu rezidential pe bulevardul I.C. Bratianu nr. 284 din municipiul ...
Atentie, soferi: Sensuri giratorii, amenajate de DRDP Constanta la intersectiile DN 2A cu DN 21, in Slobozia (document)
www.ziuaconstanta.ro - Constanţa
Compania Nationala de Administrare a Infrastructurii Rutiere SA, prin Directia Regionala de Drumuri si Poduri Constanta, va amenaja sensuri giratorii la intersectiile DN 2A cu DN 21, in Slobozia, ...
Pe ce mai cheltuieste Consiliul Judetean Constanta 90.000 de lei?
www.ziuaconstanta.ro - Constanţa
Consiliul Judetean a semnat un contract de achizitii servicii de asistenta tehnica si mentenanta pentru sistemul de management, optimizare si raportare a fluxurilor financiare aferente AvanCont si ...
Doi ani de la moartea omului de afaceri George Negru!: Tribunalul Bucuresti a stabilit un nou termen in dosarul privind insolventa agentiei de turism Omnia
www.ziuaconstanta.ro - Constanţa
Judecatorii Sectiei a VII-a Civile din Tribunalul Bucuresti au acordat un nou termen in dosarul 40516 3 2017 privind insolventa societatii comerciale Omnia Turism SRL agentie de turism . Cauza se va ...
Un marinar roman la Sorbona: Misterul creatiei lumilor (galerie foto)
www.ziuaconstanta.ro - Constanţa
La 10 februarie 1864, se nastea la Bucuresti, in familia Frusinei si a lui Nicolae Christescu, viitorul inginer de geniu naval Stefan Christescu, unul dintre cei mai titrati ofiteri ai Marinei Romane. ...
Profil de candidat - Alexandru Cumpanasu, candidat la alegerile prezidentiale 2019
www.ziuaconstanta.ro - Constanţa
Alexandru Cumpanasu s-a nascut pe 29 martie 1981 si este unul dintre cei mai controversati candidati la alegerile prezidentiale din noiembrie 2019. Este unchiul Alexandrei Macesanu, fata care ar fi ...
Declaratie de avere - Ninel Peia, candidat la alegerile prezidentiale 2019 (documente)
www.ziuaconstanta.ro - Constanţa
Pana in data de 10 octombrie, 14 candidati pentru alegerile prezidentiale au fost validati si si-au depus declaratiile de avere si de interese pentru postul vizat. Printre ei se numara si Ninel Peia, ...
Canalul Dunare - Marea Neagra are o culoare iesita din comun. Care este motivul?
www.ziuaconstanta.ro - Constanţa
Cei care s-au deplasat pe podul de la Agigea in ultimele zile au putut observa o culoare verde pe care Dunarea a prins-o. In cursul zilei de ieri, mai multi cetateni au raportat acest fenomen. ...
#DobrogeaDigitala: Actrita Maria Lupu Vasilescu, 60 de ani de viata, 40 de ani de cariera artistica
www.ziuaconstanta.ro - Constanţa
Astazi o sarbatorim pe indragita actrita Maria Lupu Vasilescu, la implinirea varstei de 60 de ani. Nascuta la 11 octombrie 1959, in comuna Mihai Bravu din judetul Giurgiu, a debutat pe scena in 1979, ...
Razboiul“ inscrisurilor, pe soarta Cazinoului: Eldiclau, Compania de Investitii si Aedificia Carpati se bat“ in acte la CNSC (document)
www.ziuaconstanta.ro - Constanţa
Dosarul Cazino se afla inca in lucru pe rolul Consiliului National pentru Solutionarea Contestatiilor, fiind in atentia completului C7, dupa contestatia formulata de SC Eldiclau SRL. Pana la acest ...
#DobrogeaDigitala Marturii de epoca privind istoria Dobrogei (1878-1947)“: Infiintarea filialei dobrogene a Ligii pentru Unitatea Culturala a Romanilor - Ne-am adunat aci la o serbare de fratie“
www.ziuaconstanta.ro - Constanţa
In ziarul Constanta , I, nr. 29, din 5 iulie 1892 - publicatie pe care o regasim indexata in volumul istoricului Stoica Lascu Marturii de epoca privind istoria Dobrogei 1878-1947 , putem citi un ...
Fosti castigatori ai altor contracte publice: Cine vrea sa asigure consultanta pentru reabilitarea Muzeului de Istorie. Una dintre firme s-a ocupat de punerea in siguranta a Cazinoului
www.ziuaconstanta.ro - Constanţa
Soarta Muzeului de Istorie Nationala si Arheologie Constanta suscita interesul firmelor de consultanta. Pana la acest moment, au fost inaintate patru oferte pentru contractul de 258.000 de lei oferit de ...
Statutul de autoritate publica, in opinia profesorilor constanteni: Nu-l putem face pe profesor functionar public. Doar daca vrem sa renuntam la competentele lui profesionale, pedagogice“
www.ziuaconstanta.ro - Constanţa
Tinand cont de noile date ale... problemei, si anume caderea Guvernului Dancila, cu certitudine controversatul proiect de lege privind masurile de protectie a personalului didactic, de conducere, de ...
Constanteanul suparat: Din 2011, locuitorii din Palazu Mare le cer autoritatilor sa asfalteze o strada de pamant cu iesire in bulevardul Tomis (document)
www.ziuaconstanta.ro - Constanţa
Locuitorii de pe strada Rozelor au depus o noua petitie la Primaria Constanta prin care avertizeaza ca, daca se construieste in alt regim decat cel de P 2 pe care il au ei trecut in autorizatia de ...
#DobrogeaDigitala Constanta pitoreasca“ (1908): Descoperirea Monumentului de la Adamclisi a ajutat la interpretarea Columnei lui Traian
www.ziuaconstanta.ro - Constanţa
Incheiem, astazi, seria fragmentelor dedicate Monumentului de la Adamclisi, preluate din monografia Constanta pitoreasca cu imprejurimile ei. Calauza descriptiva cu ilustratii si pe care i le ...
Evaziune de 10 milioane de euro din banii constantenilor?: Decizie definitiva pentru afaceristul israelian Avraham Morgenstern, apropiat al lui Radu Mazare
www.ziuaconstanta.ro - Constanţa
Inalta Curte de Casatie si Justitie a Romaniei a respins actiunea formulata de Avraham Morgenstern impotriva deciziei Curtii de Apel Bucuresti, din data de 11 august, prin intermediul careia afaceristul ...
Adrian Liviu Petrovici, vicecampion MotoRC 2019: Din nou pe podium la motociclism viteza. Ultima cursa a fost cea mai grea! (galerie foto)
www.ziuaconstanta.ro - Constanţa
Niciun campionat de motociclism viteza al Romaniei fara prezenta pe podium pentru Adrian Liviu Petrovici, de la ACS Petrovici Racing Team! In ultima editie a intrecerii MotoRC, incheiata de curand, ...
Siguranta copiilor, la mana directorilor. Ce scoli si gradinite din Constanta nu au cerut inca bani de la Primarie pentru camere video (documente)
www.ziuaconstanta.ro - Constanţa
Primaria Municipiului Constanta a anuntat ca sprijina unitatile de invatamant care vor sa doteze cladirile cu sisteme de supraveghere video. Siguranta copiilor, indiferent ca vorbim despre ...
NEAMȚ: Incendiu pus intenţionat în această seară
www.stiri-neamt.ro - Neamţ
Echipajele de pompieri ale Inspectoratului pentru Situaţii de Urgenţă (ISU) Neamţ au intervenit în această seară, în jurul orei 21:30, într-o misiune de
Ursula von der Leyen cere Romaniei nominalizarea pentru functia de comisar european
www.ziuaconstanta.ro - Constanţa
Presedinta aleasa a Comisiei Europene, Ursula von der Leyen, le-a cerut joi tuturor actorilor implicati sa actioneze rapid pentru completarea echipei sale de comisari, dupa ce comisarii europeni propusi ...
Viziunea PLUS pentru Municipiul Târgovişte
www.gazetadambovitei.ro - Dâmboviţa
În conferinţa de astăzi, 10 octombrie, Partidul Libertate, Unitate şi Solidaritate (PLUS) şi-a prezentat viziunea pentru dezvoltarea economică a Municipiului
SÂMBĂTĂ. „Retroparada toamnei” la Alba Iulia: Pasionaţii maşinilor de epocă îşi dau din nou întâlnire în zona Obeliscului din Cetatea Alba Carolina
ziarulunirea.ro - Alba
Peste 20 de maşini retro vor putea fi admirate la sfârşitul acestei săptămâni, în zona Obeliscului din Cetatea Alba Carolina, unde va avea loc o nouă
SÂMBĂTĂ. „Retroparada toamnei” la Alba Iulia: Pasionaţii maşinilor de epocă îşi dau din nou întâlnire în zona Obeliscului
ziarulunirea.ro - Alba
Peste 20 de maşini retro vor putea fi admirate la sfârşitul acestei săptămâni, în zona Obeliscului din Cetatea Alba Carolina, unde va avea loc o nouă
Incident la Racoş! Un covăsnean s-a împuşcat la vânătoare
feedproxy.google.com - Braşov
Potrivit IPJ Braşov, în această seară, pe raza localităţii Racoş a avut loc un incident, respectiv o autoaccidentare prin împuşcare, la o partidă de vânătoare. Victima, în vârstă de 43 de ani, din judeţul Covasna, a fost transportată la spital, conştientă, în vederea acordării de îngrijiri medicale. „Poliţiştii efectuează cercetări pentru a stabili cauzele şi
Ianis Hagi va purta in premiera tricoul cu numarul 10 la echipa nationala mare a Romaniei
www.ziuaconstanta.ro - Constanţa
Tanarul mijlocas Ianis Hagi 20 de ani va purta in premiera tricoul cu numarul 10 la echipa nationala mare a Romaniei cu ocazia dublei cu Insulele Feroe si Norvegia. Dupa 19 ani si 4 luni, din nou ...
Supărat că a pierdut la aparate, a bătut un alt jucător
ziarulargesul.ro - Argeş
Situaţii aberante cum numai în cazul unor persoane care nu au toate ţiglele pe casă ne este dat să vedem. Un piteştean a fost reţinut de poliţişti după ce s-a dovedit că a bătut un om la nervi, după ce a pierdut la păcănele. În cursul nopţii de 29 spre 30 septembrie, Mihai N., de 43 de ani, din...
Amănunte halucinate în cazul Caracal: Alexandra Măceşeanu ar fi fost văzută de patroana unui bar din Italia: „A intrat de două ori la mine şi a spus – „Te rog frumos, ajută-mă!”
ziarulunirea.ro - Alba
Amănunte halucinate ies la iveală în Cazul Caracal. Potrivit unor declaraţii făcute de patroana unui local, Alexandra ar fi intrat în barul patronat de
Batalionul de Sprijin al Fortelor Navale din Constanta angajeaza muncitor calificat fara experienta
www.ziuaconstanta.ro - Constanţa
Batalionul de Sprijin al Fortelor Navale din Constanta, Ministerul Apararii Nationale organizeaza concurs de recrutare pentru ocuparea pe perioada nedeterminata a functiei contractuale de executie, ...
Viceprimarul Gabriel Pleşa la Radio Unirea FM: „Montarea camerelor de supraveghere în oraş este o necesitate pentru siguranţa cetăţenilor”
ziarulunirea.ro - Alba
Viceprimarul oraşului Alba Iulia, Gabriel Pleşa, a declarat la Radio Unirea FM că: "Montarea camerelor de supraveghere în oraş sunt o necesitate pentru
Noi restricţii de circulaţie impuse de lucrările Companiei Apa, de luni, la Braşov
feedproxy.google.com - Braşov
Lucrările de modernizare la reţelele de apă continuă, de luni, 14 octombrie, pe strada Nicolae Titulescu, pe porţiunea cuprinsă între intersecţia cu strada Dorobanţilor şi intersecţia cu strada N. D. Cocea. Traficul rutier se va desfăşura pe un singur sens de circulaţie, dinspre strada N.D. Cocea spre strada Castanilor. Pentru ca lucrările să se desfăşoare
Intre Chin si Amin – Premiera filmului, in Baia Mare (VIDEO)
ziarmm.ro - Maramureş
Interact Baia Mare ii invita pe doritori la o premiera de gala a filmului „Intre chin si amin”, in Baia Mare in data de 1 Noiembrie, ora 18:00 la Teatrul Municipal, in prezenta regizorului Toma Enache
FOTOGALERIE. Bijuterii inedite din lapte matern! Cum arată creaţiile unei sătmărence
portalsm.ro - Satu Mare
Bijuterii din lapte matern. Cum arată creaţiile unei sătmărence
Motiunea a trecut, leul s-a apreciat
ziarmm.ro - Maramureş
Votarea motiunii de cenzura nu a afectat evolutia monedei nationale, care chiar s-a apreciat fata de principalele valute. Piata valutara nu a fost impresionata de caderea guvernului Dancila, volatilit
O masina a intrat intr-un gard, pe strada Chiliei din Constanta
www.ziuaconstanta.ro - Constanţa
Un accident rutier a avut loc, joi seara, pe strada Chiliei din Constanta. Potrivit ISU Constanta, un autoturism a intrat intr-un gard. Doua persoane au fost ranite in urma evenimentului. ...
Rodul toamnei cinstit la Festivalul Toamna Reghineană
www.zi-de-zi.ro - Mureş
În perioada 11-13 octombrie, la Reghin va avea loc ”Festivalul Toamna Reghineană”. Evenimentul este
Handbal masculin – Liga Zimbrilor: Minaur invinge pe HC Buzau si ramane pe locul 2
ziarmm.ro - Maramureş
CS Minaur Baia Mare a invins joi, 10 octombrie, pe teren propriu, formatia CS HC Buzau, scor 36-29 (19-13), intr-un joc contand pentru etapa a 7-a a Ligii Zimbrilor la handbal masculin. Baimarenii au
„Românii nu-şi mai doresc sub nicio formă la conducerea ţării un astfel de grup infracţional organizat!”
expressdebanat.ro - Caraş-Severin
Parlamentarul USR de Timiş, Nicu Fălcoi, exclude varianta ca în noul executiv să se mai regăsească vreun membru PSD! Politicianul consideră că deja fostul partid de putere trebuie să accepte că românii îşi doresc altceva. De asemenea, Fălcoi militează pentru alegeri anticipate, astfel încât şi structura Parlamentului României să se modifice. Fălcoi vede reuşita moţiunii de…
Am făcut primul pas către „România normală”!
expressdebanat.ro - Caraş-Severin
Stoparea abuzurilor PSD este principalul aspect pe care, în opinia deputatului PNL de Caraş-Severin, Valeria Schelean-Șomfelean, îl rezolvă adoptarea moţiunii împotriva Guvernului Dăncilă! „Am debarcat un guvern devenit nelegitim, punând capăt guvernării PSD, care nu s-a exercitat în interesul cetăţenilor, social-democraţii fiind preocupaţi de salvarea infractorilor şi bunăstarea propriei clientele. PNL s-a luptat fără…
Razie a poliţiştilor şi Gărzii Forestiere la un depozit de lemne
feedproxy.google.com - Braşov
Poliţiştii din cadrul Serviciului de Ordine Publică Braşov, în colaborare cu reprezentanţii Gărzii Forestiere Braşov, au efectuat un control pe linia prevenirii şi combaterii faptelor ilegale asociate cu deţinerea, circulaţia, depozitarea, prelucrarea primară şi comercializarea materialului lemnos la un depozit de material lemnos de pe raza localităţii Măieruş, judeţul Braşov. În urma controlului, reprezentanţii depozitului
Internată la Pediatrie, Irina vrea să trăiască!
ziarulargesul.ro - Argeş
# 20.000 lei i-ar mai trebui ca să fie operată la Istanbul! Irina Maria Aldea În timp ce politicienii din România se luptau, astăzi, pe frontul moţiunii, Irina Maria Aldea, o elevă pictoriţă şi poetă din Piteşti - cu 150 de lucrări expuse în galerii de pe mapamond şi trei volume de poezii şi...
Preşedintele PSD Sibiu ne avertizează că o să regretăm căderea guvernului
www.oradesibiu.ro - Sibiu
Ministrul Turismului, Bogdan Trif, lider al PSD Sibiu, este convins că românii au de pierdut după căderea Guvernului, nu social-democraţii. Trif: Căderea Guvernului este o pierdere pentru români, nu pentru PSD "Ce s-a întâmplat astăzi nu este o pierdere pentru PSD, dar este, cu siguranţă, o pierdere pentru românii care…
Expertiză pe lotul 3 al autostrăzii Lugoj – Deva!
expressdebanat.ro - Caraş-Severin
CNAIR a semnat la începutul săptămânii un contract de 133.000 de lei cu Iptana SA pentru atribuirea serviciilor de expertiză aferente lucrărilor de pe lotul 3 al autostrăzii Lugoj - Deva. În conformitate cu prevederile contractului, expertiza va dura de 40 de zile. În baza acesteia vor fi identificate soluţiile tehnice de remediere a neconformităţilor identidicate…
Modernizare cu fonduri europene: Circulatia pe calea ferata Medgidia-Negru Voda ar putea fi reluata
www.ziuaconstanta.ro - Constanţa
Compania Nationala de Cai Ferate CFR SA vrea sa reia circulatia pe calea ferata Medgidia-Negru Voda, prin accesarea de fonduri europene nerambursabile. Anuntul a fost facut la Zilele Feroviare 2019 ...
feedproxy.google.com - Braşov
Poliţiştii din cadrul Serviciului de Ordine Publică Braşov, în colaborare cu reprezentanţii Gărzii Forestiere Braşov, au efectuat un control pe linia prevenirii şi combaterii faptelor ilegale asociate cu deţinerea, circulaţia, depozitarea, prelucrarea primară şi comercializarea materialului lemnos la un depozit de material lemnos de pe raza localităţii Măieruş, judeţul Braşov. În urma controlului, reprezentanţii depozitului
„Orice meci de deschidere a campionatului este un meci aparte”. SCM Timişoara deschide sezonul acasă cu Piteştiul
expressdebanat.ro - Caraş-Severin
Baschetbaliştii de la SCM Timişoara încep sezonul din Liga Naţională de Baschet masculin cu un joc acasă, cu cei de la BCMU FC Argeş Piteşti. Obiectivul echipei este accederea în Top 6 pentru acest sezon. De asemenea, antrenorul Dragan Petricevic speră ca publicul timişorean să revină alături de „lei”, ca odinioară.
Vremea pe patru săptămâni, actualizată de ANM. Cât de cald va fi
www.botosaninews.ro - Botoşani
...
25 ANI de ACTIVITATE CHINOLOGICA de SALVARE – VERNISAJ CULTURAL – CHINOLOGIC, cu participare internationala – Winner Cup 2019 – Program
www.oltenasul.ro - Dolj
Related Posts via CategoriesCunoscutul DJ Burak Yeter vine la The Artist Awards Craiova!In perioada 10 – 13 octombrie 2019, Romania sarbatoreste, la Craiova, 25 ANI de ACTIVITATE CHINOLOGICA de SALVAREToamna aduce la Craiova cel mai important eveniment expozitional AGRO OLTENIA – ed. IIIDe vineri până duminică craiovenii sunt aşteptaţi la Street FOOD Festival în Piaţa Mihai ViteazuTratează-te cu ştiinţă la […]
Eugen Bejinariu: Rezultatele votului democratic demonstrează că opoziţia acţionează ...
feeds.monitorulsv.ro - Suceava
Ultima ora: Deputatul PSD de Suceava Eugen Bejinariu considera ca la votul motiunii de cenzura de joi, din Parlamentul Romaniei, Partidul Social Democrat a dovedit faptul ca membrii sai sunt uniti, responsabili si actioneaza cu viziune omogena in toate situatiile in care destinul romanilor poate fi dramatic afectat.
Anunţ viral de vânzare al unui BMW X5: „Mi-a mâncat viaţa, mai bine întreţineam două femei”
www.botosaninews.ro - Botoşani
...
Mara Mareş, viitor ministru al Tineretului şi Sportului?
feedproxy.google.com - Braşov
PNL este gata să ajungă la guvernare. După ce Opoziţia a reuşit să trimită acasă Guvernul Dăncilă, liberalii sunt gata să preia puterea. Ludovic Orban, şeful PNL este gata să-i ia locul lui Dăncilă în fruntea Guvernului şi are şi o listă de 15 persoane pentru doar 15 ministere. Preşedintele PNL, Ludovic Orban, a anunţat
S-a dat cocoş şi a plecat găină
ziarulargesul.ro - Argeş
# Un şofer din Piteşti care conducea un BMW i-a sfidat pe poliţişti. S-a ales cu mai multe amenzi şi a rămas fără permis! Poliţişti din cadrul Secţiei 3 Piteşti, care desfăşurau activităţi de fluidizare a traficului în zona Şcolii "Ion Minulescu" de pe strada Exerciţiu, au observat că un...
Viceprimarul Gabriel Pleşa la Radio Unirea FM: „Montarea camerelor de supraveghere în oraş sunt o necesitate pentru siguranţa cetăţenilor”
ziarulunirea.ro - Alba
Viceprimarul oraşului Alba Iulia, Gabriel Pleşa, a declarat la Radio Unirea FM că: "Montarea camerelor de supraveghere în oraş sunt o necesitate pentru
Primăria Craiova: Pe 1 noiembrie se va da START la depunerea de proiecte în cadrul programului de bugetare participativă! Implica-te şi tu!
www.oltenasul.ro - Dolj
Related Posts via CategoriesPrimăria Craiova: Plafon recalculat pentru sporurile cadrelor medicale de la Spitalul „Filantropia”Pe 10, în luna a zecea, de la ora 10, în Piaţa Centrală din Craiova, Ziua Naţională a Produselor Agroalimentare Româneşti –Mesajul preşedintelui Consiliului Judeţean Dolj, Ion Prioteasa, cu prilejul desfăşurării Competiţiei Naţionale de Descarcerare şi Acordare a Primului Ajutor CalificatSC Salubritate Craiova SRL: Campanie de […]
Consiliul local al municipiului Constanta, convocat in sedinta extraordinara
www.ziuaconstanta.ro - Constanţa
Consiliul local al municipiului Constanta este convocat in sedinta extraordinara, luni, 14 octombrie 2019, ora 12.00, in sala Remus Opreanu a Consiliului Judetean Constanta. Proiect de ...
Proiectele de acte normative care vor fi incluse pe agenda şedinţei Guvernului României din 11 octombrie 2019
www.oltenasul.ro - Dolj
Related Posts via CategoriesFNGCIMM lanseaza seria de seminarii regionale ”Parteneriate pentru soluţii de finanţare şi garantare a proiectelor sustinute de Grupurile de Actiune Locala / FLAG”Primăria Craiova: Plafon recalculat pentru sporurile cadrelor medicale de la Spitalul „Filantropia”DJST Dolj: Startul Competiţiei Tinereţii 2019 – 2020, ediţia a XII-a, se va da, anul acesta, pe data de 26 octombrieMăsuri de ordine publică […]
Clinica de mari arşi, inaugurată cu fast de ministrul Sănătăţii, va fi folosită doar 4 ani
www.tion.ro - Timiş
Clinica de Mari Arşi a Spitalului Judeţean Timişoara, de la Casa Austria, a fost deschisă miercuri, 9 octombrie, în prezenţa ministrului Sănătăţii Sorina Pintea – prima secţie de o asemenea anvergură şi cu o asemenea dotare deschisă în România. În aceeaşi zi, ministrul Sănătăţii a anunţat că marii arşi nu vor fi trataţi la Casa Austria decât până în 2023. Motivul?
FNGCIMM lanseaza seria de seminarii regionale ”Parteneriate pentru soluţii de finanţare şi garantare a proiectelor sustinute de Grupurile de Actiune Locala / FLAG”
www.oltenasul.ro - Dolj
Related Posts via CategoriesPrimăria Craiova: Plafon recalculat pentru sporurile cadrelor medicale de la Spitalul „Filantropia”DJST Dolj: Startul Competiţiei Tinereţii 2019 – 2020, ediţia a XII-a, se va da, anul acesta, pe data de 26 octombrieMăsuri de ordine publică la THE ARTIST AWARDSCampaniaDA. Educaţia la firul ierbii octombrie – noiembrie 2019, la CalafatCunoscutul DJ Burak Yeter vine la The Artist Awards […]
Crimă la Curtea de Argeş! A omorât un bărbat cu parul şi a recunoscut
ziarulargesul.ro - Argeş
Un bărbat a fost descoperit fără viaţă, cazul intrând în atenţia procurorilor şi a poliţiştilor de investigaţii criminale deoarece victima prezenta leziuni de violenţă.Suspecta, adusă la audieriCasă
sărăcăcioasăEvenimentul a avut loc azi-dimineaţă la Curtea de Argeş, unde Dumitru M., de 75 de ani, zăcea mort în casa unde locuia împreună cu Teodora A., în vârstă de 56 de ani, ambii din municipiul Basarabilor. Cazul este destul de încâlcit fiindcă niciunul dintre ei nu avea domiciliul la respectiva adresă şi nici nu este clar dacă erau sau nu în relaţie de concubinaj. Din primele date rezultă c
Primăria Craiova: Plafon recalculat pentru sporurile cadrelor medicale de la Spitalul „Filantropia”
www.oltenasul.ro - Dolj
Related Posts via CategoriesPe 10, în luna a zecea, de la ora 10, în Piaţa Centrală din Craiova, Ziua Naţională a Produselor Agroalimentare Româneşti –Mesajul preşedintelui Consiliului Judeţean Dolj, Ion Prioteasa, cu prilejul desfăşurării Competiţiei Naţionale de Descarcerare şi Acordare a Primului Ajutor CalificatSC Salubritate Craiova SRL: Campanie de promovare a căţeilor fără stăpân din Adăpostul Breasta, în luna octombrieSe […]
INCENDIU! O maşină a izbucnit în FLĂCĂRI
newsar.ro - Arad
Citeşte azi ce scriu ziarele de mâine!
DJST Dolj: Startul Competiţiei Tinereţii 2019 – 2020, ediţia a XII-a, se va da, anul acesta, pe data de 26 octombrie
www.oltenasul.ro - Dolj
Related Posts via CategoriesMăsuri de ordine publică la THE ARTIST AWARDSCampaniaDA. Educaţia la firul ierbii octombrie – noiembrie 2019, la CalafatCunoscutul DJ Burak Yeter vine la The Artist Awards Craiova!Asociaţia PRO DEMOCRAȚIA – Club Craiova: OBSERVAREA ALEGERILOR PREZIDENȚIALE DIN NOIEMBRIE 2019, ca organizaţie parteneră în Coaliţia „Fiecare Vot”Noaptea Albă a Galeriilor la CraiovaInternational Day of the Girl, la AmanFNGCIMM participa […]
Măsuri de ordine publică la THE ARTIST AWARDS
www.oltenasul.ro - Dolj
Related Posts via CategoriesCampaniaDA. Educaţia la firul ierbii octombrie – noiembrie 2019, la CalafatCunoscutul DJ Burak Yeter vine la The Artist Awards Craiova!Asociaţia PRO DEMOCRAȚIA – Club Craiova: OBSERVAREA ALEGERILOR PREZIDENȚIALE DIN NOIEMBRIE 2019, ca organizaţie parteneră în Coaliţia „Fiecare Vot”Noaptea Albă a Galeriilor la CraiovaInternational Day of the Girl, la AmanFNGCIMM participa la Targul – AGRO OlteniaO poveste pentru […]
O angajata a Primariei Baia Mare a fost atacata cu bata de sot. Aceasta se afla in masina cand s-a petrecut incidentul (FOTO)
ziarmm.ro - Maramureş
Un barbat a atacat cu o bata masina in care se afla sotia lui, angajata a Primariei Baia Mare. Incidentul s-a petrecut in aceasta seara, aproape de ora 18.00. Femeia se afla pe scaunul din dreapta, ia
Klaus Iohannis a semnat decretul de trecere in rezerva a generalului de brigada, cu o stea, Viorel Velicu
www.ziuaconstanta.ro - Constanţa
Presedintele Romaniei, Klaus Iohannis, a semnat joi, 10 octombrie a.c., decretul privind trecerea in rezerva a domnului general de brigada - cu o stea Velicu Viorel din Ministerul Apararii Nationale, la ...
Anunţ! Primăria Mihai Eminescu acordă înlesniri la plata majorărilor de întârziere pentru neplata la timp a taxelor şi impozitelor locale
www.botosaninews.ro - Botoşani
...
FOTO. Au intrat ilegal în apartamentul Primăriei apoi şi-au postat isprava pe Facebook
portalsm.ro - Satu Mare
FOTO. Au intrat ilegal în apartamentul Primăriei apoi şi-au postat isprava pe Facebook FOTO. Au intrat ilegal în apartamentul Primăriei apoi şi-au postat isprava pe Facebook
CampaniaDA. Educaţia la firul ierbii octombrie – noiembrie 2019, la Calafat
www.oltenasul.ro - Dolj
Related Posts via CategoriesNoaptea Albă a Galeriilor la CraiovaInternational Day of the Girl, la AmanO poveste pentru fiecare, la Teatrul Colibri CraiovaTRADEM: Noaptea Albă a Galeriilor, 11 octombrie 2019România Citeşte, la AmanSpaceWeek, la Biblioteca Judeţeană „Alexandru şi Aristia Aman”Filarmonica „Oltenia” Craiova – Deschiderea Stagiunii 2019/2020: „Symphonic Adiemus” de Karl Jenkins – o lume sonoră fantasticăCOMPARATIVISM, IDENTITY, COMMUNICATION CIC2019 Teatrul Colibri […]
Cunoscutul DJ Burak Yeter vine la The Artist Awards Craiova!
www.oltenasul.ro - Dolj
Related Posts via CategoriesIn perioada 10 – 13 octombrie 2019, Romania sarbatoreste, la Craiova, 25 ANI de ACTIVITATE CHINOLOGICA de SALVAREToamna aduce la Craiova cel mai important eveniment expozitional AGRO OLTENIA – ed. IIIDe vineri până duminică craiovenii sunt aşteptaţi la Street FOOD Festival în Piaţa Mihai ViteazuTratează-te cu ştiinţă la Noaptea cercetătorilor, 27 septembrie 2019Festivalul Toamnei 2019, ediţia a […]
DATfest 2019 – Care au fost premianţii
www.oradesibiu.ro - Sibiu
S-a lăsat cortina peste ultima întâmplare frumoasă din a 5-a ediţie, aniversară, DATfest 2019. Nu ne place să vorbim la trecut, dar trebuie să vă povestim cum au stat lucrurile cu Gala de premiere a câştigătorilor, cu emoţia participanţilor, cu bucuria premiaţilor, cu aplauzele publicului şi alte surprize de bun…
Asociaţia PRO DEMOCRAȚIA – Club Craiova: OBSERVAREA ALEGERILOR PREZIDENȚIALE DIN NOIEMBRIE 2019, ca organizaţie parteneră în Coaliţia „Fiecare Vot”
www.oltenasul.ro - Dolj
Related Posts via CategoriesANIȘOARA STĂNCULESCU: M-am înşelat în privinţa dumneavoastră, domnule Tăriceanu!Deputat Ion Cupă: Urât vă scrieţi finalul de carieră, dle. Tăriceanu!Deputat Ion Cupă: OPRIȚI ÎNGROPAREA DEFINITIVĂ A ALDE!Preşedintele Klaus Iohannis i-a cucerit şi pe olteniMotivele pentru care românii semnează în număr mare pentru candidatura lui IohannisGrupul „excluşilor” din ALDE: ”Prin modul nedemocratic şi antiliberal în care a luat ultimele decizii politice, domnul […]
NEAMȚ: Prefectul de Neamţ a distribuit materiale de construcţii celor din Văleni (FOTO)
www.stiri-neamt.ro - Neamţ
Daniela SOROCEANU, prefectul judeţului Neamţ, a fost prezentă azi, 10 octombrie 2019, în anexa Văleni – Piatra-Neamţ unde a distribuit materiale de
FOTO. Marele atlet Ben Johnson dă lecţii de sport în Banat! „Toată lumea dă vina pe Rusia pentru dopaj, dar ce ne facem cu americanii?”
expressdebanat.ro - Caraş-Severin
Fostul atlet Ben Johnson se află zilele acestea în Banat, la o conferinţă despre pregătirea fizică în sport organizată de Universitatea Politehnica din Timişoara. Idol pentru mulţi, sprinterul canadian de origine jamaicană este un personaj controversat, deoarece a fost implicat în scandaluri de dopaj în trecut şi a şi pierdut medalii din acest motiv. Peste ani, Johnson nu se sfieşte să deschidă subiectul tabu al dopajului în atletism.
Octavian Şovre va arbitra la meciul Turcia - Albania din preliminariile EURO 2020
www.ebihoreanul.ro - Bihor
Arbitrul orădean Octavian Şovre a fost delegat la un nou meci internaţional care se va desfăşura sub egida UEFA. Cel mai bun arbitru asistent din România va face echipă cu Ovidiu Haţegan, care va fi central, Sebastian Gheorghe şi Sebastian Colţescu (arbitru de rezervă) la jocul dintre Turcia şi Albania, de vineri seara, din cadrul preliminariilor Campionatului European.
Noaptea Albă a Galeriilor la Craiova
www.oltenasul.ro - Dolj
Related Posts via CategoriesInternational Day of the Girl, la AmanO poveste pentru fiecare, la Teatrul Colibri CraiovaTRADEM: Noaptea Albă a Galeriilor, 11 octombrie 2019România Citeşte, la AmanSpaceWeek, la Biblioteca Judeţeană „Alexandru şi Aristia Aman”Filarmonica „Oltenia” Craiova – Deschiderea Stagiunii 2019/2020: „Symphonic Adiemus” de Karl Jenkins – o lume sonoră fantasticăCOMPARATIVISM, IDENTITY, COMMUNICATION CIC2019 Teatrul Colibri Craiova, invitat în festivaluri şi […]
International Day of the Girl, la Aman
www.oltenasul.ro - Dolj
Related Posts via CategoriesO poveste pentru fiecare, la Teatrul Colibri CraiovaTRADEM: Noaptea Albă a Galeriilor, 11 octombrie 2019România Citeşte, la AmanSpaceWeek, la Biblioteca Judeţeană „Alexandru şi Aristia Aman”Filarmonica „Oltenia” Craiova – Deschiderea Stagiunii 2019/2020: „Symphonic Adiemus” de Karl Jenkins – o lume sonoră fantasticăCOMPARATIVISM, IDENTITY, COMMUNICATION CIC2019 Teatrul Colibri Craiova, invitat în festivaluri şi cu spectacole de animaţie pentru publicul […]
FOTO David a dispărut de acasă – Ultima oară a fost văzut într-un parc din Terezian
www.oradesibiu.ro - Sibiu
Familia unui copil de cinci ani din Sibiu este disperată, după ce acesta a dispărut de acasă. Dacă l-aţi văzut, anunţaţi autorităţile. Băieţelul se numeşte Voicu David şi locuieşte în cartierul Terezian din Sibiu. În jurul orelor 11.20-12.10, acesta a dispărut din parcul din cartier. Micuţul a fugit de unul…
Iohannis la Braşov, în preludiul campaniei electorale
feedproxy.google.com - Braşov
Preşedintele Klaus Iohannis vine vineri la Braşov, pentru a se întâlni cu circa 2.500 de membri PNL din Regiunea Centru, în contextul în care sâmbătă începe campania electorală pentru alegerile prezidenţiale. Potrivit liberalilor braşoveni, la întâlnire vor participa reprezentanţii organizaţiilor din judeţele Alba, Braşov, Covasna, Harghita, Mureş şi Sibiu. Preşedintele Klaus Iohannis va fi prezent
FNGCIMM participa la Targul – AGRO Oltenia
www.oltenasul.ro - Dolj
Related Posts via CategoriesO poveste pentru fiecare, la Teatrul Colibri CraiovaIn perioada 10 – 13 octombrie 2019, Romania sarbatoreste, la Craiova, 25 ANI de ACTIVITATE CHINOLOGICA de SALVARECu ocazia evenimentului muzical „The Artist Awards 2019”, Primăria Municipiului Craiova anunţă că se va restricţiona circulaţia rutierăTRADEM: Noaptea Albă a Galeriilor, 11 octombrie 2019România Citeşte, la AmanLICEUL ”VOLTAIRE,” ÎN CONCURSUL NAȚIONAL ”EUROSCOLA”SpaceWeek, […]
Niciun absolvent nu mai vrea să devină zugrav, zidar şi modelier. Mai mult de jumătate din locurile la Şcolile profesionale şi duale din Alba au rămas neocupate
ziarulunirea.ro - Alba
Niciun absolvent nu mai vrea să devină zugrav, zidar şi modelier. Mai mult de jumătate din locurile la Şcolile profesionale şi duale din Alba au rămas
Patru parlamentari PSD, daţi afară din partid după căderea Guvernului
www.oradesibiu.ro - Sibiu
Patru parlamentari PSD vor fi excluşi din partid, după ce joi au votat moţiunea de cenzură. Aceştia sunt Gabriel Petrea, Mihăiţă Găină, Marius Sorin Bota şi Ion Talpoş. Potrivit Digi24, cei patru PSD-işti daţi afară din partid după moţiunea de cenzură sunt Gabriel Petrea, preşedintele organizaţiei de tineret, Mihaiţă Găină,…
Rezultate Loto, joi, 10 octombrie 2019
www.ziuaconstanta.ro - Constanţa
In acesta seara au avut loc noi trageri loto, dupa ce la tragerile loto de duminica, 6 octombrie 2019 s-au inregistrat 26.110 castiguri, in valoare totala de 1.156.006,40 lei. Au fost extrase ...
Sorina Pintea: Vom continua metoda “pacientilor misteriosi” in spitale
ziarmm.ro - Maramureş
Ministrul Sanatatii, Sorina Pintea, a declarat miercuri, la Timisoara, ca va continua folosirea metodei ''pacientilor sub acoperire'' in spitale, pentru a depista neregulile de orice fel, nu doar even
Ziua Recoltei, pe stil nou, sărbătorită în Piaţa Centrală a Craiovei
www.oltenasul.ro - Dolj
Related Posts via CategoriesAstăzi se inaugurează noul stadion din oraşul FiliaşiFestivalul Toamnei – a treia ediţie organizată de Primăria şi Consiliul Local CârceaPrimăria Municipiului Craiova invită craiovenii melomani sâmbătă, 24 august 2019, cu începere de la ora 11.00, în Parcul Nicolae Romanesc, zona Foişor, pentru a se bucura de muzica de promenadă interpretată de Garnizoana CraiovaFestivalul Internaţional „Adrian Păunescu” ediţia […]
”Sărbătoarea Mărului” se alătura campaniei de ajutorare pentru Eduard Valentin Oprea
www.zi-de-zi.ro - Mureş
Consiliul Local şi Primăria Batoş, Asociaţia „Mărul de Aur”, Grupul Producătorilor de Mere Dedrad-Ba
Ioan Turc: Epoca Dragnea s-a încheiat. Avem datoria de a nu dezamăgi
timponline.ro - Bistriţa-Năsăud
”Guvernul Dăncilă a căzut! Epoca Dragnea s-a încheiat. Românii au decis încă de la alegerile europarlamentare întoarcerea clepsidrei. Le mulţumesc zecilor de mii de susţinători ai PNL din judeţul Bistriţa-Năsăud pentru că au făcut posibil acest moment”, spune preşedintele PNL Bistriţa-Năsăud, Ioan T
Şoferi de maxi-taxi amendaţi la Piteşti
ziarulargesul.ro - Argeş
Astăzi, poliţişti din cadrul Serviciului Siguranţă Rutieră al Poliţiei Locale au desfăşurat o acţiune de control privind respectarea de către conducătorii auto atât a opririi/staţionării în scopul îmbarcării/debarcării călătorilor în locurile stabilite în avizul de circulaţie, precum şi...
Ce alegeri anticipate?! Să vină şi să guverneze!
expressdebanat.ro - Caraş-Severin
Senatorul PSD Ionuţ Chisăliţă îi invită pe cei care tocmai au dărâmat Guvernul Dăncilă să prezinte de urgenţă programul de guvernare în Parlament. Liderul PSD Reşiţa nu face o dramă din faptul că moţiunea împotriva Guvernului Dăncilă a trecut astăzi de votul Parlamentului. „Întotdeauna, în astfel de momente dificile, PSD a reuşit să se mobilizeze. Chiar dacă vom resimţi…
Atracţia şemineelor – Pefoc în weekend la Târgul Imobiliar Sibiu
www.oradesibiu.ro - Sibiu
Compania Pefoc, alaturi de multe alte firme din domeniul home & more, participa si anul acesta la Targul Imobiliar de la Sibiu in cadrul Redal Expo, in perioada 11-13 octombrie 2019. In cadrul expozitiei vor fi expuse urmatoarele categorii produse: Focare de semineu standard si seminee premium (Hoxter); Sobe moderne…
„Doctorul Google” dă bătăi de cap medicilor de familie. Vaccinarea copiilor, misiune greu de îndeplinit
expressdebanat.ro - Caraş-Severin
Hepatita A/B, oreionul, varicela, scarlatina, rujeola, rubeola sau viroza sunt o parte din bolile pe care copiii „şi le fac cadou” unul altuia prin simplul fapt că trăiesc în aceeaşi comunitate. Fac medicii de familie faţă la combaterea acestor boli prin vaccinare? Poate fi Legea vaccinării soluţia la stoparea acestor boli? În ultima vreme, bolile…
Ședinta la Guvernul Romaniei, programata vineri. Ce proiecte sunt pe ordinea de zi
www.ziuaconstanta.ro - Constanţa
Vineri, 11 octombrie, vor fi dezbatute mai mult proiecte de acte normative in cadrul sedintei Guvernului Romaniei. De mentionat este ca acestea pot suferi unele modificari in urma dezbaterilor din ...
Alege curatenia impecabila, cu noile aspiratoare cu abur de la Polti!
ziarulargesul.ro - Argeş
Metodele de curatare in profunzime s-au diversificat de-a lungul timpului, motiv pentru care, in prezent, exista o intreaga gama de aspiratoare cu abur profesionale, care exceleaza in acest domeniu. Acestea folosesc jeturi de aburi, distribuite cu presiune prin capatul de aspirare. Aceasta...
Traian Ogâgău: Contractul pentru piste de biclete, asfaltări de străzi şi pod, semnat
timponline.ro - Bistriţa-Năsăud
”Am onoarea să împărtăşesc cu voi faptul că astăzi am adjudecat contractul de lucrări ”Amenajare piste de biciclete pe râul Someş, asfaltări de străzi şi pod rutier în oraşul Sângeorz-Băi”, proiect în valoare de 5 milioane de euro care va fi executat de către firma MIS Grup. Urmează proiectul tehnic
Liceul Tehnologic „Dinu Brătianu” – Ștefăneşti a obţinut finanţare pentru un proiect de parteneriat strategic prin programul Erasmus+
ziarulargesul.ro - Argeş
Liceul Tehnologic „Dinu Brătianu” – Ștefăneşti, Argeş este coordonatorul europen al proiectului “Eco experiences in European schools!” (Experienţe ECO în şcoli europene!), cu nr. 2019-1-RO01-KA229-063911_1. Proiectul este finanţat de Uniunea Europeană prin programul Erasmus+. Este un proiect de...
Accident pe DN1, între un autobuz şi un autoturism
feedproxy.google.com - Braşov
Potrivit I.P.J. Braşov un accident s-a produs pe DN1, în apropiere de Ramada. Trei persoane printre care şi un minor sunt încarcerate, dar conştiente. Intervin trei echipaje SMURD, o ambulanţă SAJ, un echipaj pentru descarcetrare şi unul cu apă şi spumă. În zonă se circulă alternativ, pe o singură bandă. Revenim cu detalii. Share via:
Acţiuni ale poliţiştilor, în două pieţe din Braşov
feedproxy.google.com - Braşov
Poliţiştii Serviciului de Investigare a Criminalităţii Economice desfăşoară în aceste momente o acţiune în două pieţe din Braşov, respectiv în Piaţa Star şi Piaţa Tractorul, potrivit I.P.J. Revenim cu amănunte. Share via: 0 Shares Facebook Twitter LinkedIn More
Corona ia startul în cupele europene, sâmbătă, la Braşov
feedproxy.google.com - Braşov
Handbalistele Coronei iau startul sâmbătă, de la ora 18.00, la Braşov în Cupa EHF, competiţie în care gruparea braşoveană revine după trei ani de pauză. Echipa antrenată de Ion Crăciun, Marius Novanc şi Gică Anton va primi vizita echipei spaniole Super Amara Bera Bera, formaţie care are în palmares cinci titluri de campioană a Spaniei,
Oradea în priză: 16 staţii de încărcare electrică vor fi amplasate în oraş
www.ebihoreanul.ro - Bihor
Proiectul municipalităţii orădene de amenajare a 16 staţii de încărcare rapidă a vehiculelor electrice în zonele aglomerate ale oraşului a primit joi aprobarea Comitetului de Avizare al Administraţiei Fondului pentru Mediu. Contractul de finanţare urmează să fie semnat săptămâna viitoare, iar anunţul de licitaţie pentru achiziţia staţiilor va fi făcut public înainte de sfârşitul lunii octombrie.
VIDEO| MÂINE: Se deschide podul peste râul Mureş de la Teiuş spre Căpud şi Peţelca. Trecerea apei în mod arhaic, cu brudina, a devenit istorie
ziarulunirea.ro - Alba
Aşteptat de jumătate de veac de locuitorii din câteva sate, podul peste râul Mureş de la Teiuş spre Căpud şi Peţelca, va fi deschis vineri, 11 octombrie,
CON-A Sibiu merge brici – Are venituri mai mari în 2019
www.oradesibiu.ro - Sibiu
Compania CON-A din Sibiu are venituri mai mari în primele opt luni din 2019, faţă de anul 2018. Cu toate acestea, nu se află la acelaşi nivel cu avansul pieţei constructorilor în general. „Cifra de afaceri în această perioadă (ianuarie-august 2019 - n. red.) a înregistrat o uşoară creştere faţă…
Examen de rezidenţiat – amânat şi cu mai puţine locuri scoase la concurs
expressdebanat.ro - Caraş-Severin
Prezent la Timişoara, ministrul Sănătăţii a spus că nu a găsit nicio soluţie în cazul examenului de rezidenţiat care va fi susţinut în 8 decembrie. În ceea ce priveşte locurile scoase la concurs, numărul acestora a scăzut.
Tendinţe noi pentru pantofi sport pentru bărbaţi
www.ebihoreanul.ro - Bihor
Cool, confortabili, versatili si mereu in trend, o pereche de tenisi nu trebuie sa lipseasca din garderoba ta. In ultimii ani, moda a reinventat si incaltamintea sport pentru barbati in designuri mereu noi si inovatoare. De la piese prevazute doar pentru activitati sportive, pantofii sport si tenisii au devenit acum produse indelung ravnite, care adauga un plus de stil tinutelor tale.
Atenţie ce carne de porc mâncaţi! Focar de pestă porcină în judeţul Sibiu
www.oradesibiu.ro - Sibiu
Autorităţile din judeţ sunt în alertă de joi dimineaţa, după ce s-a aflat că a fost sacrificat un porc bolnav cu pestă în Colun, comuna Porumbacu de Jos, care se pare că deja a fost mâncat de o familie de romi, cu mulţi copii. Prefectul Sibiului: Un laborator din Cluj-Napoca…
De ce se crapă autostrada Cunţa – Sălişte. CNAIR nu are un răspuns
www.oradesibiu.ro - Sibiu
Autostrada A1, între Cunţa şi Sălişte, continuă să se crape. Deşi au trecut cinci ani de la inaugurare, CNAIR nu a rezolvat problema. Pentru a fi mai uşor de construit, Autostrada Orăştie-Sibiu - lungă de 82,2 kilometri - a fost împărţită în 4 loturi. În 2011, s-au ales constructorii: Strabag…
Emoţie de toamnă, în Parcul Tricolorului din Reşiţa
expressdebanat.ro - Caraş-Severin
Un concert care se potriveşte perfect cu anotimpul în care ne aflăm este programat vineri, în Parcul Tricolorului din Reşiţa. Sunt aşteptaţi toţi cei care simt... emoţia de toamnă. Casa de Cultură a Studenţilor din Reşiţa, împreună cu Liga Studenţilor din cadrul Universităţii „Eftimie Murgu” Reşiţa, pregăteşte un concert de muzică folk intitulat „Emoţie de…
Bătrână moartă în casă, după un incendiu pornit de la caloriferul electric
feeds.monitorulsv.ro - Suceava
Ultima ora: O femeie in varsta de 70 de ani, din Gura Humorului, si-a gasit sfarsitul in apartamentul in care locuia singura, in urma unui incendiu izbucnit de la caloriferul electric aflat sub tensiune. Alarma de incendiu s-a dat ieri dimineata, in jurul orei 5.30, la fata locului, la un apartament situat la etajul II al unui bloc de pe bulevardul Bucovina, intervenind pompierii militari de la Gura Humorului.
Gheorghe Damian: O moţiune de cenzură este un exerciţiu de democraţie. În astfel de momente avem nevoie de coeziune, responsabilitate politică, seriozitate şi să punem în prim planul acţiunilor politice CETĂȚEANUL şi INTERESUL NAȚIONAL
ziarulunirea.ro - Alba
O moţiune de cenzură este un exerciţiu de democraţie, a scris pe facebook, după căderea guvernului Dăncilă, Gheorghe Damian, edilul de la Ciugud. În
Ce firme vor furniza produse alimentare catre UM 02022 Constanta (document)
www.ziuaconstanta.ro - Constanţa
Ministerul Apararii Nationale - U.M. 02022 Constanta au incheiat un contract de furnizare produse alimentare cu societatile Granbis SRL, Metrans SRL, Olymel Flamingo Food SRL, Stedyan Com si Ned Com ...
Începe Astra Film Festival 2019 – Spectacolul lumii se mută la Sibiu între 14 şi 20 octombrie
www.oradesibiu.ro - Sibiu
Începând de luni, 14 octombrie, centrul istoric al Sibiului va fremăta efectiv timp de 7 zile la vibraţiile celei de-a XXVI-a ediţii a Festivalului Internaţional Astra Film, un festival de amploare şi prestigiu cultural mondial. Programul oficial al ediţiei din 2019 e impresionant: 126 de filme selecţionate, dintre care 46…
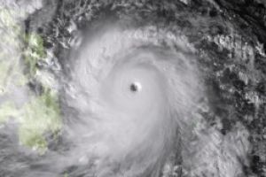
Rugby-CM2019: Meciurile Anglia-Franta si Noua Zeelanda-Italia, anulate din cauza taifunului Hagibis
ziarmm.ro - Maramureş
Meciurile Anglia - Franta si Noua Zeelanda - Italia, care urmau sa se dispute sambata, la Yokohama si Toyota, au fost anulate de catre organizatorii Cupei Mondiale de rugby editia 2019, din cauza taif
Dezvăluiri despre Salamul de Sibiu – ”Nu a fost niciodată făcut la Sibiu”
www.oradesibiu.ro - Sibiu
Salamul de Sibiu a fost produs pentru prima dată la începutul secolului trecut, de un italian pe nume Filippo Dozzi la Sinaia, şi de un neamţ, Josef Teil, la Mediaş. Cei doi au împărţit produsul, care nu s-a făcut niciodată la Sibiu. Salamul de Sibiu este primul brand românesc care…
Ce spun parlamentarii PNL de Vrancea despre victoria de azi din Parlament
www.jurnaldevrancea.ro - Vrancea
Cei doi parlamentari din Vrancea ai Partidului Naţional Liberal au reacţionat după adoptarea moţiunii în Parlament. Ei consideră votul care a dus la | Jurnal de Vrancea - Stiri din Vrancea si Focsani
Programul „Prima Casă” va fi înlocuit de un alt program intitulat “O familie, o casă”
ziarulunirea.ro - Alba
Va fi înlocuit programul "Prima Casă" cu un alt program intitulat “O familie, o casă”. Programul urmează să aducă o reducere a costurilor de finanţare
VIDEO: Preşedintele convoacă mâine partidele la Cotroceni pentru desemnarea unui nou prim-ministru
www.jurnaldevrancea.ro - Vrancea
Preşedintele Klaus Iohannis a anunţat, la scurt timp după adoptarea moţiunii ce cenzură, că mâine va chema partidele la Controceni. Consultările cu | Jurnal de Vrancea - Stiri din Vrancea si Focsani
OTL: Programul punctelor de vânzare de la cap linie Nufărul şi de la Universitate
www.ebihoreanul.ro - Bihor
Începând din 14 octombrie 2019 punctul de vânzare a titlurilor de călătorie din staţia cap linie Nufărul va fi deschis, de Luni până Vineri între orele 13:00 şi 17:00. Tot din 14 octombrie, programul de funcţionare al punctului de vânzare Universitate va fi de Luni până Vineri, de la 8:00 la 14:00.
Festival culinar multietnic şi legume de sezon, la Muzeul Satului Bănăţean
www.tion.ro - Timiş
La finalul acestei săptămâni, la Muzeul Satului Bănăţean de la Pădurea Verde din Timişoara vor avea loc două manifestări – „Festivalul culinar multietnic” şi „Roadele toamnei”. Astfel, sunteţi aşteptaţi la Muzeul Satului, fie că vreţi să vă umpleţi cămara cu diferite legume, fie că vreţi să gustaţi din ce au gătit alţii.
Trafic blocat pe DN7. O platforma auto s-a rasturnat
www.ziuaconstanta.ro - Constanţa
Centrul INFOTRAFIC din Inspectoratul General al Politiei Romane informeaza ca pe DN7 Lipova - Arad, judetul Arad, pe fondul neadaparii vitezei la conditiile de drum, soferul unei platforme auto, a ...
PSD Dâmboviţa: “Joia neagră pentru bunăstarea românilor”
www.gazetadambovitei.ro - Dâmboviţa
Comunicat de presă Joia neagră pentru bunăstarea românilor România este aruncată, astăzi, de preşedintele Klaus Iohannis într-un haos fără precedent.
Lupescu (USR): “O nouă majoritate trebuie să fie legitimată, cât mai repede, prin vot”
www.gazetadambovitei.ro - Dâmboviţa
Comunicat de presă Ca semnatar al moţiunii de cenzură şi parlamentar care a votat “DA” pentru plecarea de la guvernare
După 75 de ani: Cei şapte eroi martiri din Prundu Bârgăului, comemoraţi
timponline.ro - Bistriţa-Năsăud
La Prundu Bârgăului au fost comemoraţi cei şapte eroi martiri împuşcaţi acum 75 de ani, în 10 octombrie 1944: Pavel Costea, Leon Vlad, Gheorghe Popandron, Vasile Raţiu, Simion Rogină, Lucreţia Tanca, Augustin Pop (preot supravieţuitor).
Ceremonia militară şi religioasă a avut loc la Monumentul Er
Peste 1 milion de euro pentru comuna Ghiroda. Din fonduri norvegiene!
expressdebanat.ro - Caraş-Severin
Vizită de amploare la Primăria Ghiroda! Knut Ringstad, directorul Innovation Norway şi Camelia Manoliu, ofiţerul de program responsabil cu alocarea fondurilor nerambursabile norvegiene, au avut miercuri o întâlnire cu primarul comunei Ghiroda, Ionuţ Stănuşoiu. Vizita s-a desfăşurat în cadrul proiectului „Sisteme fotovoltaice pentru creşterea eficienţei energetice a clădirilor publice”.
ACCIDENT grav pe DN7. Traficul este BLOCAT pe ambele sensuri
newsar.ro - Arad
Citeşte azi ce scriu ziarele de mâine!
Exerciţiu cu plan roşu, în Bihor: Un accident feroviar, urmat de un incendiu într-un tunel între Şuncuiuş şi Vadu Crişului s-a soldat cu mulţi morţi şi răniţi (FOTO / VIDEO)
www.ebihoreanul.ro - Bihor
A fost o desfăşurare de forţe uriaşă, joi, la Şuncuiuş, cu prilejul unui exerciţiu al Inspectoratului pentru Situaţii de Urgenţă Crişana. Conform scenariului, a fost activat planul roşu de intervenţie, după ce un accident feroviar a dus la izbucnirea unui incendiu, în tunelul dintre Şuncuiuş şi Vadu Crişului.
Start spre medalii la individual
www.zi-de-zi.ro - Mureş
Arena de popice Electromureş din Târgu Mureş va găzdui de vineri până duminică întrecerile Campionat
Lucrări la pasajul spre zona Polonă. Traficul va fi restricţionat
www.tion.ro - Timiş
Primăria Timişoara anunţă lucrări la pasajul IMAIA, cel de la ieşirea din oraş spre zona Polonă şi spre Utvin, astfel că se va circula restricţionat începând din 11 octombrie.
Ce scrie presa internationala, despre demiterea Guvernului Dancila
www.ziuaconstanta.ro - Constanţa
Presa internationala relateaza joi despre demiterea Guvernului Viorica Dancila prin motiune de cenzura, observand ca exista riscul unui Cabinet de tranzitie pana la scrutinul parlamentar din 2020, ...
FOTOGALERIE Zi specială, plină de surprize, pentru persoanele fără adăpost din Braşov
feedproxy.google.com - Braşov
Direcţia de Asistenţă Socială Braşov a marcat, astăzi, Ziua Internaţională a persoanelor fără adăpost. La sediul DSS de pe strada Zizinului, braşovenii rămaşi fără un acoperiş deasupra capului au avut parte de momente speciale pregătite de angajaţii centrului. Au fost binecuvântaţi de preoţi, au luat parte la diverse activităţi şi chiar au primit pachete cu
Ungvári Evelyn, aur în Macedonia
www.zi-de-zi.ro - Mureş
Jucătoarea de tenis de masă de a Clubului Sportiv Școlar Târgu Mureş Evelyn Ungvári s-a numărat prin
Apel pentru studenţii economişti şi cei de la Istorie şi Geografie de a face practică pe ...
feeds.monitorulsv.ro - Suceava
Ultima ora: 250 de studenti si masteranzi ai Universitatii Stefan cel Mare Suceava USV, de la facultatile Stiinte Economice si Administratie Publica si Istorie si Geografie, vor beneficia de stagii de practica in cadrul proiectului finantat din fonduri europene Invata din practica! INDIP.
Preşedintelui Partidului Civic Maghiar, János Mezei i s-a cerut demisia
ziarharghita.ro - Harghita
O parte dintre liderii Partidului Civic Maghiar (PCM) i-au solicitat preşedintelui János Mezei să demisioneze. Potrivit semnatarilor scrisorii deschise
Cauţi un job? – Hai la „Bursa locurilor de muncă pentru absolvenţi”
www.oradesibiu.ro - Sibiu
Agenţia Judeţeană pentru Ocuparea Forţei de Muncă Sibiu (AJOFM Sibiu) organizează vineri, 18 octombrie, „Bursa locurilor de muncă pentru absolvenţi” în Sibiu (la Sala Redal Events, str. I. Sebastian Bach nr.4, Cartier Lazaret) şi Mediaş (la Casa Schuller, Piaţa Regele Ferdinand I, nr. 25), începând cu ora 9.00. Bursa locurilor…
Program Cinema Inspire Alba Mall. Ce filme vor rula în perioada 11 – 17 octombrie 2019
ziarulunirea.ro - Alba
Programul Inspire Cinema Alba Iulia, pentru perioada 11 - 17 octombrie 2019. Ce filme vor rula la cinematograful din centrul comercial Alba Mall.
Cei asiguraţi pot solicita casei de sănătate o listă cu toate servicile medicale
ziarulunirea.ro - Alba
Acest act normativ dă posibilitatea celor asiguraţi de a solicita casei de sănătate la care sunt înregistraţi o listă ce conţine toate serviciile
Start ratat al baschetbalistelor
www.zi-de-zi.ro - Mureş
În prima etapă a noii ediţii din Liga Naţionaă de Baschet Feminin BC Sirius-Mureşul Târgu Mureş a pi
Patru membrii PSD, exclusi din partid!
www.ziuaconstanta.ro - Constanţa
Parlamentarii PSD Gabriel Petre, Mihaita Gaina, Marius Bota si Ioan Talpos au fost exclusi din partid dupa ce au votat pentru demiterea Guvernului, transmite Digi 24. ...
Peste 30 de persoane au murit în accidente la Sibiu în 2019 – Majoritatea provocate de şoferi care vorbeau la telefon
www.oradesibiu.ro - Sibiu
Poliţiştii sibieni organizează mai multe acţiuni pe drumurile din întreg judeţul, pentru a-I sancţiona pe şoferii care vorbesc la telefon la volan, care nu poartă centura de siguranţă sau care au alte activităţi care le distrag atenţia în mers. Reprezentanţii poliţiei anunţă că, doar în acest an, la Sibiu, au…
FOTO Paul Răhăian, cel mai bun bucătar din Sibiu – Merge la European Young Chef Award
www.oradesibiu.ro - Sibiu
Paul Vlad Răhăian este cel mai bun bucătar al Sibiului. Acesta a câştigat etapa locală a concursului European Young Chef Award. Paul Răhăian a gătit, miercuri, la Sibiu, cotlet de noatin din Țara Secaşelor. Evenimentul s-a desfăşurat la Academia Forţelor Terestre, iar juriul a fost format din Radu Zărnescu –…
Dublă handbalistică pentru CSM
www.zi-de-zi.ro - Mureş
Majoritatea componentelor secţiei de handbal feminin de la CSM Târgu Mureş vor avea un nou tur de fo
Coralii din Marea Mediterana, decimati de un val de caldura, au inceput sa renasca
ziarmm.ro - Maramureş
Oamenii de stiinta au gasit pentru prima data, in largul coastelor spaniole din Marea Mediterana, corali care au reinceput sa creasca dupa ce specialistii in oceanologie i-au crezut morti in urma unui
Ce PRIORITĂȚI avem: CJA a ALOCAT puţin peste 5.200 de euro pentru DOTAREA ISU Arad şi peste 24.000 de euro pentru OKTOBERFEST
newsar.ro - Arad
Citeşte azi ce scriu ziarele de mâine!
Profesorul Dorel Tifor va deveni cetăţean de onoare al Oradiei
www.ebihoreanul.ro - Bihor
Consiliul Local va fi chemat să voteze, sâmbătă, în şedinţa festivă dedicată Zilei Oraşului pentru acordarea titlului de cetăţean de onoare profesorului Dorel Tifor, care a predat limba şi literatura română la Colegiul Naţional Emanuil Gojdu în perioada 1965-2009, adică timp de 44 de ani.
Cristian Niculescu Tagarlas, despre motiunea de cenzura: Eu consider ca este o mare victorie a democratiei in Romania
ziarmm.ro - Maramureş
Motiunea de cenzura a trecut cu 238 de voturi, iar guvernul Dancila a picat. In total au votat 243 de parlamentari din care cinci voturi au fost contra motiunii. Astfel, guvernul e demis si ramane in
Evoluţia jocurile video în patru decenii! Muzeu pentru pasionaţii de gaming, inaugurat la Reşiţa
expressdebanat.ro - Caraş-Severin
Sfârşitul de săptămână vine cu o veste îmbucurătoare pentru iubitorii jocurilor video din toate timpurile. Cu ocazia evenimentului ,,Noaptea albă a Galeriilor”, Universitatea „Eftimie Murgu” din Reşiţa va inaugura Muzeul Jocurilor Video.
Ședinta la PSD, programata vineri
www.ziuaconstanta.ro - Constanţa
Liderii PSD sunt convocati vineri, in sedinta dupa demiterea Guvernului, prin motiune de cenzura. Astazi, 238 de parlamentari au votat pentru , astfel ca, guvernul condus de Viorica Dancila a ...
FOTO – Trafic bară la bară între Sebeş şi Sibiu după ce s-a închis autostrada A1
www.oradesibiu.ro - Sibiu
Faptul că autostrada Orăştie-Sibiu a fost închisă în zona Sebeş pentru efectuarea unor lucrări, a făcut ca traficul rutier la intrare în Sebeş să devină infernal. Din cauza numărului mare de maşini care sunt nevoite să reducă viteza la trecerea cu calea ferată şi la trecerile de pietoni din oraş,…
FOTO – Trafic bară la bară între Sebeş şi Sibiu după ce s-a închis autostrada A1
www.oradesibiu.ro - Sibiu
Faptul că autostrada Orăştie-Sibiu a fost închisă în zona Sebeş pentru efectuarea unor lucrări, a făcut ca traficul rutier la intrare în Sebeş să devină infernal. Din cauza numărului mare de maşini care sunt nevoite să reducă viteza la trecerea cu calea ferată şi la trecerile de pietoni din oraş,…
Prima victorie îi apasă
ph-online.ro - Prahova
Fotbaliştii lui Flavius Stoican se pregătesc în această săptămână doar cu gândul să obţină prima victorie, din acest sezon, pe propriul teren. Însă ac...
Adevarata miza a daramarii Guvernului: “Numirea la MJ a unui om servil presedintelui, care sa faca propunerile pentru sefia DNA, DIICOT, PG"
ph-online.ro - Prahova
Numirea sefilor la DNA, DIICOT si Parchetul General, precum si desfiintarea Sectiei pentru investigarea infractiunilor din justitie (SIIJ) reprezinta...
A cazut Guvernul! Sarbatorim victoria in Piata Victoriei!: Manifestare astazi, in Piata Victoriei, dupa demiterea Guvernului
www.ziuaconstanta.ro - Constanţa
Evenimentul intitulat A cazut Guvernul! Sarbatorim victoria in Piata Victoriei! este programat astazi, incepand cu ora 17.30. Cetatenii sunt asteptati in Piata Victoriei pentru a sarbatorii ...
Un traficant de droguri din Sicilia, căutat de poliţiştii italieni, arestat în Prahova
ph-online.ro - Prahova
Un cetăţean italian, de fel din regiunea Sicilia, căutat de poliţiştii italieni pentru trafic de droguri, a fost arestat preventiv de procurorii din c...
Progresiştii lui Macron şi Cioloş s-au făcut de râs! Candidata din partea Franţei pentru postul de comisar european a fost RESPINSA. Este acuzata de frauda
ph-online.ro - Prahova
Sylvie Goulard, candidată din partea Franţei pentru un post de comisar european, a fost respinsă joi de europarlamentari, cu 29 de voturi pentru şi 82...
Viorica Dăncilă anunţă că PSD va merge vineri, la consultările de la Cotroceni: Suntem ...
feeds.monitorulsv.ro - Suceava
Ultima ora: Viorica Dancila a declarat, vineri, ca PSD va merge la consultarile de la Cotroceni, convocare de presedintele Klaus Iohannis, pentru fomrarea unui nou Guvern, informeaza Mediafax. Desigur ca vom merge. ... Suntem responsabili, a raspuns Viorica Dancila, intrebata daca va participa, vineri, la consultarile cu presedintele Romaniei, pe tema formarii unui nou Guvern.
FOTO – Neagoe a condus primul antrenament oficial la FC Hermannstadt. Antrenor nou cu portarii
www.oradesibiu.ro - Sibiu
Noul antrenor principal al A.F.C. Hermannstadt, Eugen Neagoe, a susţinut primul antrenament oficial alături de echipă şi de staff. La prima acţiune sub conducerea lui Neagoe, au lipsit fundaşul central Kevin Rimane, accidentat, dar şi Loren Niţă, prezent în lotul Echipei Naţionale a României U19. După primele ore petrecute alături…
Acţiuni ale poliţiştilor, în două pieţe din Braşov, chiar acum
feedproxy.google.com - Braşov
Poliţiştii Serviciului de Investigare a Criminalităţii Economice desfăşoară în aceste momente o acţiune în două pieţe din Braşov, respectiv în Piaţa Star şi Piaţa Tractorul, potrivit I.P.J. Revenim cu amănunte. Share via: 0 Shares Facebook Twitter LinkedIn More
Maşină strivită între un autocar şi un microbuz pe DN1: Trei victime, între care un copil de 11 ani, încarcerate
ph-online.ro - Prahova
Circulaţie blocată pe DN1 la ieşirea din Braşov spre Bucureşti în dreptul Hotelului Ramada. Trei persoane au rămas încarcerate după ce un microbuz s-a...
V. Dancila: "Mulţumim cetăţenilor care ne-au acordat încrederea în 2016. Am guvernat pentru oameni, pentru România şi pentru mai bine"
ph-online.ro - Prahova
Viorica Dăncilă afirmă că PSD nu va fi o opoziţie facilă la noul guvern care se va forma după moţiunea de cenzură de azi. Preşedintele PSD îi cere lui...
Vreme cu temperaturi specifice perioadei. Vezi prognoza completă!
www.gazetadambovitei.ro - Dâmboviţa
PROGNOZA METEOROLOGICĂ PENTRU INTERVALUL 11.10.2019 ORA 09 – 12.10.2019 ORA 09 Valorile termice vor marca o uşoară scădere, astfel încât
„Second Hand” – un spectacol egal dozat cu emoţie, cinism şi duioşie
stiridegalati.ro - Galaţi
Piesa este după un scenariu de Victor Cilincă, jurnalist, scriitor şi dramaturg gălăţean cu două nominalizări la Premiile UNITER.
FOTO Un camion cu stupi a luat foc într-o comună din Botoşani. Pompierii intervin de urgenţă
www.botosaninews.ro - Botoşani
...
NEAMȚ: Bişniţar ţepar din Neamţ, prins la Botoşani
www.stiri-neamt.ro - Neamţ
La data de 09.10.2019, poliţiştii din cadrul Poliţiei Municipiului Botoşani au identificat un bărbat de 39 de ani din judeţul Neamţ, bănuit de comiterea
Prima reactie a Vioricai Dancila, dupa ce Guvenul a fost demis
www.ziuaconstanta.ro - Constanţa
Premierul inca in functie, Viorica Dancila, a transmis in urma cu putin, o declaratie pe pagina de Facebook. Redam mai jos mesajul Multumim cetatenilor care ne-au acordat increderea in 2016 ...
PNL: “Victoria de astăzi este un câştig important pentru ţară”
www.gazetadambovitei.ro - Dâmboviţa
COMUNICAT DE PRESĂ Moţiunea de cenzură iniţiată de Partidul Naţional Liberal şi susţinută de USR, PRO România, UDMR, Mişcarea Populară,
Liderul PSD Suceava, Ioan Stan: Aştept să văd cum noul Guvern va face cele două autostrăzi ...
feeds.monitorulsv.ro - Suceava
Ultima ora: Presedintele PSD Suceava, senatorul Ioan Stan, a declarat dupa adoptarea de catre Parlament a motiunii de cenzura impotriva Guvernului Dancila ca asteapta sa vada cum noul Guvern va realiza cele doua autostrazi din Moldova si cele cinci sosele de centura din judetul Suceava, promisiuni facute de liberalii suceveni.
Şeful Ocolului Silvic Moldoviţa, Georgel Zlei, şi-a dat demisia
feeds.monitorulsv.ro - Suceava
Ultima ora: Principalul personaj vizat de o investigatie a jurnalistilor de la Recorder referitoare la taieri ilegale de masa lemnoasa in zona Moldovita, seful de ocol Georgel Zlei, si-a dat demisia.Aparent, solicitarea sa, de a renunta la functia de conducere, nu are nici o legatura cu materialul video in care apare si in care nu i se aduc acuzatii directe, explicatia demisiei fiind din motive personale.
NEAMȚ: Nemţean prins cu peste 100 de litri de alcool, în vamă (FOTO)
www.stiri-neamt.ro - Neamţ
Poliţiştii de frontieră din cadrul PTF Urziceni au descoperit într-o maşină peste 100 de litri de alcool pentru care conducătorul auto nu a putut prezenta
Biletele şi pachetele au vânzare!
ph-online.ro - Prahova
Agitaţie mare în preajma a stadionului ,,Ilie Oană". Oamenii sunt dornici să fie prezenţi atât la meciul, de duminică, cu Daco-Getica, dar şi la cel c...
Calendarul formării unui nou Guvern (procedură)
www.zi-de-zi.ro - Mureş
Moţiunea de cenzură împotriva Guvernului Dăncilă a fost adoptată, la 10 octombrie 2019, înregistrând
Ungaria-România, finala mică a Mondialului
www.zi-de-zi.ro - Mureş
Selecţionata de minifotbal a României a pierdut semifinala Campionatului Mondial care se dispută în
Ungaria-România, finala mică a Mondialului
www.zi-de-zi.ro - Mureş
Selecţionata de minifotbal a României a pierdut semifinala Campionatului Mondial care se dispută în
Accident rutier pe DN1. Implicate un autoturism si un autobuz cu pasageri. Mai multe victime
www.ziuaconstanta.ro - Constanţa
Centrul INFOTRAFIC din Inspectoratul General al Politiei Romane informeaza ca pe DN1 la intrarea in municipiul Brasov dinspre Predeal, judetul Brasov, a avut loc un accident rutier in care au fost ...
Kelemen Hunor: Guvernul a căzut. UDMR a votat moţiunea de cenzură
ziarharghita.ro - Harghita
Guvernul Dăncilă a căzut, însă va mai rămâne la Palatul Victoria, ca interimar, până la instalarea unui nou guvern. Preşedintele UDMR, Kelemen Hunor
Iohannis: ”Voi convoca partidele parlamentare la prima rundă de consultări mâine, începând cu ora 11.00”
www.zi-de-zi.ro - Mureş
Preşedintele Klaus Iohannis a anunţat că va convoca vineri partidele parlamentare la prima rundă de
Bărbat omorât de un tren la Orlat – Poliţiştii fac cercetări
www.oradesibiu.ro - Sibiu
Un bărbat în vârstă de aproximativ 40 de ani şi-a găsit sfârşitul pe calea ferată la Orlat, după ce fost călcat de un tren. Poliţiştii fac cercetări pentru a-l identifica. În dimineaţa zilei de joi, în jurul orei 8.30, mecanicul unui tren avea să facă o descoperire terbilă la Orlat.…
Proiectele aprobate de CJ în 10 octombrie
timponline.ro - Bistriţa-Năsăud
Consiliul Judeţean Bistriţa-Năsăud a aprobat în şedinţa extraordinară din 10 octombrie următoarele proiecte de hotărâre propuse de executiv:
Proiect de hotărâre pentru modificarea Hotărârii Consiliului Judeţean Bistriţa-Năsăud nr. 86 din 28.08.2019 privind aprobarea Regulamentului şi constituire
PSD Braşov: ,,România intră într-o perioadă de instabilitate şi austeritate”
feedproxy.google.com - Braşov
Haosul în care Klaus Iohannis aruncă azi ţara, lăsând-o fără viziune şi program de guvernare, fără guvern stabil, fără buget rectificat, în prag de iarnă şi în pline alegeri prezidenţiale va avea efecte devastatoare pentru economie şi pentru imaginea României în plan extern. Această zi de joi va rămâne în calendare ca joia neagră pentru
Mang, apocaliptic după picarea Guvernului: Este „joia neagră pentru economia şi democraţia românească”, vor urma concedieri şi pedepsirea „mediului de afaceri”
www.ebihoreanul.ro - Bihor
Şeful PSD Bihor, Ioan Mang, a reacţionat pe Facebook după ce Guvernul Dăncilă a fost demis prin votul Parlamentului, lansând profeţii întunecate. PSD-istul spune că Iohannis a aruncat ţara în haos, că votarea moţiunii „va avea efecte devastatoare”, fiind „joia neagră pentru bunăstarea românilor”. Pe de altă parte, Mang a evitat să răspundă întrebărilor pregătite de BIHOREANUL, despre eventuala reconfigurare şi a scenei politice locale.
"Curatam Constanta Noastra": Actiunile de ecologizare, igienizare si infrumusetare a Constantei continua (galerie foto)
www.ziuaconstanta.ro - Constanţa
O noua zi, alte actiuni de curatenie in cadrul celei mai ample campanii de responsabilizare civica din municipiul Constanta. Si cum vremea de afara este numai buna pentru activitati in aer ...
Dan Barna: ”Vom solicita preşedintelui varianta anticipatelor; pot fi doi premieri respinşi, după care dizolvăm Parlamentul”
www.zi-de-zi.ro - Mureş
Europarlamentarul Gheorghe Falcă, MINISTRU în noul guvern
newsar.ro - Arad
Citeşte azi ce scriu ziarele de mâine!
Iohannis: Alegerile anticipate - cea mai bună soluţie pentru redarea legitimităţii Parlamentului
feeds.monitorulsv.ro - Suceava
Ultima ora: Presedintele Klaus Iohannis a declarat, joi, la Palatul Cotroceni, dupa ce Guvernul Dancila a fost demis prin motiune de cenzura, ca solutia cea mai buna pentru redarea legitimitatii Parlamentului este intoarcerea cat mai rapida la votul cetatenilor, adica alegeri anticipate, informeaza Mediafax.
Ion Iliescu a fost externat de la Elias. Fostul preşedinte va continua tratamentul la domiciliu
feeds.monitorulsv.ro - Suceava
Ultima ora: Ion Iliescu a fost externat, joi, din Spitalul Elias, urmand ca fostul presedinte sa-si continue tratamentul la domiciliu conform recomandarilor medicilor, informeaza reprezentantii unitatii spitalicesti, citate de Mediafax. Domnul Ion Iliescu a fost externat astazi din spital. Tratamentul va continua la domiciliu, conform recomandarilor medicale.
Flutur: Abia aştept numirea noului Guvern pentru a debloca Suceava, judeţ blocat de PSD
feeds.monitorulsv.ro - Suceava
Ultima ora: Presedintele PNL Suceava, Gheorghe Flutur, a salutat demiterea prin motiune de cenzura a Guvernului PSD condus de Viorica Dancila. Pentru Romania este o eliberare fericita de sub un Guvern iresponsabil, imatur si inconstient, care nu voia sa se predea desi a pierdut majoritatea, a declarat Flutur dupa ce motiunea de cenzura impotriva Guvernului Dancila a trecut in Parlament.
Iohannis după moţiune – „Felicit partidele pentru îndepărtarea acestui Guvern eşuat”
www.oradesibiu.ro - Sibiu
Preşedintele Klaus Iohannis a declarat, joi, după ce moţiunea de cenzură a trecut în Parlament, că acesta este rezultatul firesc al reacţiei întregii societăţi. De asemenea, acest a spus că felicită toate partidele care au ajutat la îndepărtarea „acestui Guvern eşuat şi derutat”. „Astăzi a caştigat România. Astăzi votul românilor…
Klaus Iohannis vrea alegeri anticipate – „Este soluţia cea mai bună”
www.oradesibiu.ro - Sibiu
Preşedintele Klaus Iohannis a declarat, după ce Guvernul Dăncilă a fost demis prin moţiune de cenzură, că soluţia cea mai bună pentru redarea legitimităţii Parlamentului ar fi alegerile anticipate. "Cea mai bună soluţie pentru redarea legitimităţii Parlamentului este evident întoarcerea cât mai rapidă la votul cetăţenilor, adică alegeri anticipate. Aceasta…
Kelemen Hunor: ”Guvernul a căzut. UDMR a votat moţiunea de cenzură”
www.zi-de-zi.ro - Mureş
”Am făcut cum am promis, pentru că noi suntem mereu consecvenţi. Nu am avut dubii, că actualul execu
ANAP preia atributiile custozilor si poate incheia parteneriate pentru administrarea ariilor naturale protejate
ziarmm.ro - Maramureş
Agentia Nationala pentru Arii Naturale Protejate (ANANP) preia atributiile custozilor si poate incheia parteneriate pentru administrarea ariilor naturale protejate cu persoane juridice de tipul: insti
Reacţia preşedintelui PSD BN, Radu Moldovan, după căderea Guvernului. ”Acesta este cel mai mare plus”
timponline.ro - Bistriţa-Năsăud
Prteşedintele PSD Bistriţa-Năsăud şi totodată al Consiliului Judeţean, Radu Moldovan, spune care este cel mai mare câştig al faptului că partidul din care face parte a intrat în opoziţie după căderea Guvernului Viorica Dăncilă.
”Moţiunea de cenzură a trecut, Guvernul a căzut, acestea sunt regulil
Trei străzi din cartierul albaiulian Oarda au fost reabilitate şi modernizate. Investiţie de peste 7 milioane de lei
ziarulunirea.ro - Alba
Lucrările de reparaţii capitale la străzile Biruinţei, Busuiocului şi Dumbrăviţei din cartierul albaiulian Oarda au fost finalizate şi recepţionate la
Trei străzi din cartierul albaiulian Oarda au fost reabilitate şi modernizate. Investiţie de peste 7 milioane de lei
ziarulunirea.ro - Alba
Lucrările de reparaţii capitale la străzile Biruinţei, Busuiocului şi Dumbrăviţei din cartierul albaiulian Oarda au fost finalizate şi recepţionate la
NEAMȚ: Misiune de căutare! Femeie rătăcită în pădure (ultima oră)
www.stiri-neamt.ro - Neamţ
Echipajele Inspectoratului pentru Situaţii de Urgenţă (ISU) Neamţ au intervenit astăzi, în jurul orei 15:30, într-o misiune de căutare a unei persoane
Bazar Cultural – o pată de culoare în viaţa socială a Timişoarei
expressdebanat.ro - Caraş-Severin
Timişorenii sunt invitaţi să participe la un nou eveniment dedicat comunităţii locale: Bazar Cultural. Evenimentul va avea loc de-a lungul a trei zile în Parcul Pădurice (Lidia). Organizat de Asociaţia Tribul Artistic în parteneriat cu Asociaţia Timişoara 2021 – Capitală Europeană a Culturii, cu sprijinul Primăriei Municipiului Timişoara şi al Consiliului Local, prin intermediul programului…
Partidele, convocate la consultari maine, incepand cu ora 11.00
www.ziuaconstanta.ro - Constanţa
Presedintele Klaus Iohannis a anuntat, in urma cu putin timp, ca va convoca vineri partidele parlamentare la prima runda de consultari, subliniind ca este nevoie urgenta de un Guvern, dupa ce ...
Viorica Dăncilă: ”Rămân la şefia PSD, nu am ce să-mi reproşez”
www.zi-de-zi.ro - Mureş
Premierul Viorica Dăncilă a declarat că nu va pleca de la şefia PSD şi că nu are ce să-şi reproşeze.
Klaus Iohannis anunţă consultări vineri cu partidele parlamentare după căderea Guvernului ...
feeds.monitorulsv.ro - Suceava
Ultima ora: Presedintele Klaus Iohannis a anuntat, joi, consultari cu partidele parlamentare vineri, la ora 11.00, pentru formarea unui nou Guvern, dupa ce motiunea de cenzura a Opozitiei a fost adoptata in plenul Parlamentului, iar increderea in Cabinetul Dancila retrasa, informeaza Mediafax. Voi convoca partidele parlamentare maine, la prima runda de consultari, incepand cu ora 11.00, a anuntat presedintele Klaus Iohannis.
Ludovic Orban: ”Coşmarul pe care îl trăieşte România a încetat”
www.zi-de-zi.ro - Mureş
Coşmarul pe care îl trăieşte România a încetat, a declarat, joi, preşedintele PNL, Ludovic Orban, du
Accident, acum, pe DN1, între un autobuz şi un autoturism
feedproxy.google.com - Braşov
Potrivit I.P.J. Braşov un accident s-a produs pe DN1, în apropiere de Ramada. Trei persoane printre care şi un minor sunt încarcerate, dar conştiente. Intervin trei echipaje SMURD, o ambulanţă SAJ, un echipaj pentru descarcetrare şi unul cu apă şi spumă. În zonă se circulă alternativ, pe o singură bandă. Revenim cu detalii. Share via:
NEAMȚ: Nemţean căutat în Italia, prins la vamă
www.stiri-neamt.ro - Neamţ
Poliţiştii de frontieră din cadrul PTF Petea au identificat şi predat autorităţilor competente un nemţean, căutat de autorităţile din Italia pentru
Klaus Iohannis: Azi a câştigat România. Cea mai BUNĂ SOLUȚIE după DEMITEREA Guvernului Dăncilă: Alegerile anticipate
ziarulunirea.ro - Alba
Preşedintele Klaus Iohannis va convoca consultări cu partidele parlamentare pentru formarea unei majorităţi parlamentare noi şi desemnarea unui nou
Moţiunea de cenzură a fost adoptată!
www.zi-de-zi.ro - Mureş
Moţiunea de cenzură împotriva Guvernului Dăncilă a fost adoptată, joi, de Parlament. S-au înregistra
Două fetiţe la spital după ce un şofer nu a acordat prioritate, la Variaş
www.tion.ro - Timiş
Accident de circulaţie, joi, în localitatea timişeană Variaş. Două fetiţe de 8 şi 10 ani au ajuns la spital, după ce un şofer nu a acordat prioritate.
Moţiunea nu e împotriva Guvernului Dăncilă, e împotriva voinţei românilor!
expressdebanat.ro - Caraş-Severin
Adoptarea moţiunii de cenzură împotriva Guvernului Dăncilă e o lovitură grea pentru PSD, dar în niciun caz nu este una fatală. Social-democraţii merg mai departe cu Viorica Dăncilă spre Cotroceni! Șefa PSD Caraş-Severin, deputatul Luminiţa Jivan, a ţinut să sublinieze după ce s-a aflat votul de astăzi din Parlament că Guvernul Dăncilă nu a picat pentru că aşa şi-au dorit românii, ci…
Guvernul PSD a fost DEMIS! Reacţia premierului Viorica Dăncilă
feedproxy.google.com - Braşov
Moţiunea de cenzură la adresa Guvernului Dăncilă a fost adoptată, joi, în plenul reunit al Camerei Deputaţilor şi Senatului. Au fost 238 de voturi pentru, 4 împotrivă. Viorica Dăncilă, premierul României, a făcut un apel către preşedintele Klaus Iohannis. ”Toate partidele s-au unit pentru a trece moţiunea. Au fost şi colegi din PSD care au
Accident, acum, pe DN1, între un autobuz şi un autoturism
feedproxy.google.com - Braşov
Potrivit I.P.J. Braşov un accident s-a produs pe DN1, în apropiere de Ramada. Trei persoane printre care şi un minor sunt încarcerate. Revenim cu detalii. Share via: 0 Shares Facebook Twitter LinkedIn More
Cât mai durează HAOSUL din centrul Aradului
newsar.ro - Arad
Centrul Aradului a devenit un coşmar pentru şoferi, de când au început lucrările. Acestea trebuiau, teoretic, să fie finalizate înainte de începerea anului şcolar. Acest lucru nu s-a întâmplat, iar mai mulţi operatori s-au ales cu amenzi. Primarul Călin Bibarţ să asigurări că vom scăpa de şantier la finalul lunii. „Lucrările de finalizare a noii
CORBII MARI: Unul dintre cele mai întinse incendii de vegetaţie, lichidat de pompieri
www.gazetadambovitei.ro - Dâmboviţa
Foto: de la cititori Mai mult 10 de hectare au fost cuprinse de flăcări în zona agricolă a comunei Corbii
FOTO! Consfătuirea anuală a directorilor de şcoli din Botoşani. Ce observaţie a făcut preşedintele Consiliului Judeţean profesorilor
www.botosaninews.ro - Botoşani
...
ULTIMĂ ORĂ. Preşedintele cheamă partidele la consultări, vineri, 11 octombrie, pentru formarea unui nou guvern
ziarulunirea.ro - Alba
Preşedintele va face declaraţii la Palatul Cotroceni la ora 15.30. După ce guvernul Dăncilă a fost demis prin moţiunea de cenzură adoptată joi de
NEAMȚ: ApaServ: Peste 140 de asociaţii notificate în vederea debranşării
www.stiri-neamt.ro - Neamţ
Conform unui anunţ publicat pe site-ul companiei, astăzi, 10 octombrie, ApaServ notifică în vederea debranşării urmatoarele 143 asociaţii de proprietari:
Presedintele PNL Maramures, Ionel Bogdan: “Guvernul PSD este istorie”
ziarmm.ro - Maramureş
Presedintele PNL Maramures, Ionel Bogdan, a reactionat dupa ce Guvernul Dancila a cazut, in urma adoptarii motiunii de cenzura. Liderul liberal a precizat, printre altele, ca "Guvernul PSD este istori
Viorica Dăncilă: Rămân la şefia PSD. Nu îmi reproşez nimic
feeds.monitorulsv.ro - Suceava
Ultima ora: Viorica Dancila a declarat ca nu va face un pas in spate de la sefia PSD si nu are ce sa isi reproseze, informeaza Mediafax. Liderul social-democrat a precizat ca, alaturi de colegi, a adoptat masuri bune pentru populatie si a tinut echipa PSD unita, dupa rezultatul la europarlamentare. Dupa cum stiti am fost aleasa prin Congres. Raman la sefia PSD. Nu am cum sa fac un pas in spate si nu voi face un pas in spate.
Ce a fost înainte de Drumul Mătăsii? Expediţie a cercetătorilor de la MNB în Kârgâzstan
www.tion.ro - Timiş
Expediţia arheologică din Kârgâzstan a ajuns în cel de-al doilea an. Arheologi de la Muzeul Naţional al Banatului cercetează ce a fost înainte de Drumul Mătăsii. Proiectul “Kârgâzstan – Before the silk road” (”Kârgâzstan - înainte de Drumul Mătăsii”) a început în 2018, la iniţiativa Muzeului Naţional al Banatului, cu sprijinul Consiliului Judeţean Timiş.
BREAKING NEWS: Guvernul Dăncilă A PICAT
newsar.ro - Arad
Citeşte azi ce scriu ziarele de mâine!
Primele reactii ale liderilor politici constanteni dupa ce a cazut Guvernul
www.ziuaconstanta.ro - Constanţa
Bogdan Hutuca, deputat, presedinte PNL Constanta Motiunea a trecut! Guvernul Dancila pleaca acasa! Am votat pentru motiune pentru ca acesta era singurul gest patriotic pe care il putea face un ...
Decrete semnate, azi, de presedintele Romaniei, Klaus Iohannis
www.ziuaconstanta.ro - Constanţa
Presedintele Romaniei,Klaus Iohannis, a semnat joi, 10 octombrie a.c., urmatoarele decrete Decret privind eliberarea din functia de procuror la Parchetul de pe langa Inalta Curte de Casatie si ...
Alertă la Predeal din cauza unui urs
feedproxy.google.com - Braşov
Potrivit Jandarmeriei Braşov, un echipaj a verificat zona unde a fost semnalată prezenţa animalului, dar acesta nu a mai fost găsit.Jandarmii au reluat misiunile planificate. În urma unui apel la 112 a fost semnalată prezenţa ursului pe strada Nicolae Bălcescu din Predeal. Vom reveni cu amănunte. Share via: Shares Facebook Twitter LinkedIn More Alte articole:
Lăsaţi telefonul! Şoferii din Oradea, avertizaţi de poliţişti că vor primi amenzi usturătoare dacă folosesc mobilele în timp ce conduc (FOTO / VIDEO)
www.ebihoreanul.ro - Bihor
Poliţiştii orădeni au ieşit, joi, în trafic pentru a le aminti şoferilor că, din 12 octombrie, vor intra în vigoare modificările Codului Rutier care prevăd amenzi usturătoare pentru şoferii care folosesc în orice fel telefoanele mobile în timp ce conduc.
Dan Barna, preşedintele USR: „Guvernul Dăncilă a intrat în istorie. Privim spre viitor, soluţia sunt anticipatele”
ziarulunirea.ro - Alba
Dan Barna, preşedintele USR: "Guvernul Dăncilă a intrat în istorie. Privim spre viitor, soluţia sunt anticipatele". Moţiunea de cenzură împotriva
Moţiunea de cenzură împotriva Guvernului Dăncilă a fost adoptată astăzi de Parlament
stiridegalati.ro - Galaţi
Senatul şi Camera Deputaţilor s-au reunit joi în şedinţă comună pentru dezbateri şi vot asupra moţiunii de cenzură împotriva Guvernului condus de premierul Viorica Dăncilă. Moţiunea de cenzură împotriva Guvernului Dăncilă a fost adoptată în această după-amiază de Parlament. S-au înregistrat 238 de voturi „pentru”, a anunţat deputatul Pro România Cătălin Nechifor. Vizualizari: 2
Ludovic Orban - Cosmarul pe care il traieste Romania a incetat
www.ziuaconstanta.ro - Constanţa
Cosmarul pe care il traieste Romania a incetat, a declarat, joi, presedintele PNL, Ludovic Orban, dupa ce motiunea de cenzura a fost adoptata de Parlament, scrie Agerpres. Cosmarul pe care il ...
Guvernul Dăncilă a căzut – Ce urmează acum pentru România
www.oradesibiu.ro - Sibiu
Moţiunea de cenzură a fost adoptată, astfel că Guvernul Dăncilă a căzut. Potrivit constituţiei, preşedintele Klaus Iohannis va trebui să desemneze un candidat pentru funcţia de prim-ministru şi să numească Guvernul pe baza votului de încredere acordat de Parlament. Potrivit g4media, este de aşteptat ca şeful statului să convoace în…
PNL vrea să formeze noul Guvern – Orban: ”Eu voi fi propunerea de premier”
www.oradesibiu.ro - Sibiu
După ce moţiunea de cenzură a fost adoptată, preşedintele PNL, Ludovic Orban, a declarat că dacă PNL va fi chemat la formarea unui nou guvern, chiar el va fi nominalizarea pentru funcţia de premier. „Orice declaraţie legată de ceea ce se va întâmpla de acum înainte, o vom face după…
Viorica Dăncilă, după ce moţiunea a trecut: „Nu este o problemă, plecăm cu datoria împlinită. Guvernul va rămâne în istorie ca unul bun”
ziarulunirea.ro - Alba
Viorica Dăncilă, după ce moţiunea a trecut: "Nu este o problemă, plecăm cu datoria împlinită. Guvernul va rămâne în istorie ca unul bun" Premierul Viorica
Vioricăi Dăncilă, după ce moţiunea a trecut: „Nu este o problemă, plecăm cu datoria împlinită. Guvernul va rămâne în istorie ca unul bun”
ziarulunirea.ro - Alba
Vioricăi Dăncilă, după ce moţiunea a trecut: "Nu este o problemă, plecăm cu datoria împlinită. Guvernul va rămâne în istorie ca unul bun" Premierul
Orban: Dacă suntem chemaţi să formăm Guvernul, persoana desemnată să fie premier sunt eu
feeds.monitorulsv.ro - Suceava
Ultima ora: Ludovic Orban a declarat, dupa anuntul potrivit caruia Guvernul Dancila a cazut, ca persoana desemnata pentru functia de premier din partea PNL va fi chiar el, in cazul in care membrii vor fi chemati la formarea noului guvern, informeaza Mediafax. Orice declaratie legata de ceea ce se va intampla de acum inainte, o vom face dupa reuniunea BPN.
Guvernul Dăncilă, demis. Moţiunea de cenzură, adoptată de Parlament cu 238 de voturi pentru
www.oltenasul.ro - Dolj
Related Posts via CategoriesDacian Cioloş, la CraiovaANIȘOARA STĂNCULESCU: M-am înşelat în privinţa dumneavoastră, domnule Tăriceanu!Deputat Ion Cupă: Urât vă scrieţi finalul de carieră, dle. Tăriceanu!Deputat Ion Cupă: OPRIȚI ÎNGROPAREA DEFINITIVĂ A ALDE!VIDEO – Solomon, la prima întrunire de partid la ProRomânia: Eu nu mai cred în doctrine, nu mai ştiu ce e stânga şi dreapta în ţara astaPreşedintele Klaus Iohannis i-a cucerit […]
Guvernul României a fost demis prin moţiune de cenzură
www.gazetadambovitei.ro - Dâmboviţa
Moţiunea de cenzură “Ca să reconstruim România, Guvernul Dăncilă trebuie demis urgent” a fost adpotată de plenul reunit al Camerei
Scandal in fata clubului EGO! Mai multe persoane trimise in judecata
www.ziuaconstanta.ro - Constanţa
Procurorii Parchetului de pe langa Tribunalul Constanta au dispus trimiterea in judecata a inculpatilor B. D., cercetat sub control judiciar, sub aspectul savarsirii infractiunilor de portul sau ...
Un botoşănean a schimbat valută la colţ de stradă şi s-a trezit că îi lipseşte peste 1000 lei. Avertismentul poliţiştilor!
www.botosaninews.ro - Botoşani
...
Urmărire cu focuri de armă. 22 de gloanţe trase după un adolescent care conducea fără permis
www.tion.ro - Timiş
Urmărire cu focuri de armă, în apropiere de Lugoj. Poliţiştii au tras 22 de focuri în încercarea de a prinde un şofer care nu a oprit la semnalele lor. Conducătorul auto are 17 ani şi nu are permis de conducere.
FARA TELEFON LA VOLAN! Campanie de informare a soferilor din Baia Mare
ziarmm.ro - Maramureş
Pentru cei care scriu mesaje, transmit live, filmeaza sau vorbesc la telefon in timpul condusului sanctiunile vor fi mai dure. Inainte de intrarea in vigoare a noilor prevederi legale, respectiv 12 oc
Miting în faţa Parlamentului. Se strigă victorie!
www.oradesibiu.ro - Sibiu
După ce s-a aflat că a căzut Guvernul, în faţa Parlamentului s-au adunat susţinători ai opoziţiei care strigă Victorie! şi au desfăcut şampanii. „Victorie! Ole, ole, PSD nu mai e!”, strigă protestarii prezenţi în faţa Parlamentului. De asemenea, aceştia au desfăcut o sticlă de şampanie. Moţiunea de cenzură la adresa…
Dăncilă după ce a căzut Guvernul – ”Au fost colegi care au trădat!”
www.oradesibiu.ro - Sibiu
Moţiunea de cenzură a fost adoptată, joi, în plenul reunit al Parlamentului, fiind 238 de voturi „pentru”, patru „împotrivă” şi trei voturi anulate, a anunţat senatorul PNL Marcel Vela, de la tribuna plenului Camerei Deputaţilor. Imediat după acest anunţ, Viorica Dăncilă, a făcut declaraţii: ”Moţiunea trecut, toate partidele s-au unit…
Guvernul Dăncilă a devenit istorie! Moţiunea de cenzură a fost adoptată!
expressdebanat.ro - Caraş-Severin
Moţiunea de cenzură la adresa Guvernului Dăncilă a fost adoptată astăzi în plenul reunit al Camerei Deputaţilor şi Senatului cu 238 de voturi pentru.
NEWS ALERT: Moţiunea a TRECUT! Guvernul Dăncilă a fost DEMIS, dar rămâne în funcţie
newsar.ro - Arad
Citeşte azi ce scriu ziarele de mâine!
Deputatul Cristian Achiţei, după picarea Guvernului Dăncilă: Am scăpat de o guvernare dezastruoasă
www.botosaninews.ro - Botoşani
...
Deputatul Cristian Achiţei, după picarea Guvernului Dăncilă: Am scăpat de o guvernare dezastruoasă
www.botosaninews.ro - Botoşani
...
Moţiunea de cenzură împotriva Guvernului Dăncilă a fost adoptată, joi, de Parlament
mesageruldecovasna.ro - Covasna
Vrei să fii notificat când apare un articol nou? Abonează-te prin e-mail
Orban: Cosmarul pe care il traieste Romania a incetat
ziarmm.ro - Maramureş
Cosmarul pe care il traieste Romania a incetat, a declarat, joi, presedintele PNL, Ludovic Orban, dupa ce motiunea de cenzura a fost adoptata de Parlament, informeaza AGERPRES. "Cosmarul pe care il tr
Bogdan Toader: Rezultatul votului de astăzi din Parlament aruncă România în haos!
ph-online.ro - Prahova
Presedintele PSD Prahova a distribuit un mesaj dupa motiunea de cenzura, afirmand ca rezultatul votului de astăzi din Parlament aruncă România în...
Ludovic Orban, Preşedintele PNL: În sfârşit am oprit PSD să facă rău României
ziarulunirea.ro - Alba
Ludovic Orban, Preşedintele PNL: În sfârşit am oprit PSD să facă rău României Ludovic Orban, Preşedintele PNL, susţine că nu se bucură pentru căderea
Dancila: "Imi doresc ca presedintele Iohannis sa nominalizeze cat mai repede un nou premier. Chiar astazi, daca e posibil"
ph-online.ro - Prahova
Dupa motiunea de cenzura, Viorica Dancila a afirmat ca isi doreste ca presedintele Iohannis sa nominalizeze cat mai repede un nou premier. "Nu ma tem...
Moţiunea de cenzură a fost adoptată de către Parlament. Guvernul Dăncilă a căzut
feeds.monitorulsv.ro - Suceava
Ultima ora: Motiunea de cenzura la adresa Guvernului Dancila a fost adoptata, joi, in plenul reunit al Camerei Deputatilor si Senatului. Au fost 238 de voturi pentru, informeaza Mediafax. Au fost cinci voturi impotriva. Motiunea de cenzura a fost dezbatuta in plenul reunit al Parlamentului, joi. Votul a fost unul secret cu bile.
Contrabandist condamnat la închisoare prins de poliţiştii timişeni
www.tion.ro - Timiş
Condamnare la închisoare cu executare pusă în aplicare de poliţiştii timişeni. Oamenii legii au depistat un bărbat de 49 de ani condamnat la închisoare cu executare pentru contrabandă. Individul a fost introdus în penitenciar.
Moţiunea de cenzură a trecut de votul Parlamentului
ziarulteleormanul.ro - Teleorman
Guvernul PSD condus de premierul Viorica Dăncilă a fost demis, joi, de plenul Parlamentului, după ce moţiunea de cenzură depusă de opoziţie a fost adopta
LIVE VIDEO Moţiunea a fost adoptată. Guvernul a căzut
www.oradesibiu.ro - Sibiu
Pentru moţiunea de cenzură de joi au votat 245 de parlamentari. 238 dintre ei au votat pentru moţiunea de cenzură, în timp ce erau nevoie de 233 de voturi. Guvernul Dăncilă a fost astfel demis.
Alertă socială! Vei putea fi pus, cu forţa, la muncă. Cum se poate aşa ceva?
ph-online.ro - Prahova
Instituţiile cu atribuţii în domeniul apărării, ordinii publice şi securităţii pot solicita persoanelor fizice apte de muncă să presteze servicii în i...
Guvernul Dancila a picat, moţiunea de cenzura a trecut
www.7est.ro - Iaşi
%
Cum a fost păcălită o tânără de 21 de ani, din Botoşani, la un schimb valutar
www.botosaninews.ro - Botoşani
...
ULTIMA ORA: Guvernul a PICAT
ziarmm.ro - Maramureş
Motiunea de cenzura impotriva Guvernului Dancila a fost adoptata, joi, de Parlament, informeaza AGERPRES. S-au inregistrat 238 de voturi "pentru", a anuntat deputatul Pro Romania Catalin Nechifor.
Partidul Tineretului Social Democrat se dezice de presedintele Gabriel Petrea
www.ziuaconstanta.ro - Constanţa
Nicu Rosu, presedintele Partidul Tineretului Social Democrat Constanta, dupa ce Gabriel Petrea a votat motiunea de cenzura, a declarat Gabriel Petrea nu ne mai reprezinta pe noi, tinerii social ...
A picat Guvernul! Moţiunea de cenzură a trecut cu 238 de voturi
www.botosaninews.ro - Botoşani
...
Conducea fără permis, o maşină neînmatriculată
www.zi-de-zi.ro - Mureş
Poliţişti din cadrul Secţiei de Poliţie Rurală nr. 12 Luduş au oprit în trafic miercuri, 9 octombrie
Declaraţie lider de sindicat industria de apărare: „Clasa politică românească este praf”
www.gazetadambovitei.ro - Dâmboviţa
Liderul de sindicat din industria de apărare de la nivelul judeţului Dâmboviţa, dar şi de la nivel naţional, Constantin Bucuroiu
Guvernul Dăncilă a fost demis!
ziarulargesul.ro - Argeş
Guvernul PSD Viorica Dăncilă a fost demis de plenul Parlamentului, care a aprobat moţiunea de cenzură depusă de opoziţie cu 238 de voturi pentru.Votul a fost secret, cu bile. Pentru trecerea moţiunii de cenzură era nevoie de cel puţin 233 de voturi. Guvernul Dăncilă rămâne, potrivit legii, să îndeplinească numai actele cu caracter individual sau normativ necesare pentru administrarea treburilor publice, fără a promova politici noi, până la depunerea jurământului de către membrii noului Guvern. În această perioadă nu poate să adopte ordonanţe şi nici să iniţieze proiecte de lege.
LIVE VIDEO Surse PSD: Moţiunea a fost adoptată
www.oradesibiu.ro - Sibiu
Pentru moţiunea de cenzură de joi au votat 245 de parlamentari. 238 dintre ei au votat pentru moţiunea de cenzură, în timp ce erau nevoie de 233 de voturi. Surse din PSD au spus că moţiunea a trecut, ceea ce înseamnă că Guvernul Dăncilă are foarte mari şanse să pice.
Deblocare de usa in Constanta. Intervin pompierii ISU Dobrogea
www.ziuaconstanta.ro - Constanţa
Pompierii din cadrul Inspectoratului pentru Situatii de Urgenta Dobrogea au intervenit pentru deblocarea unei usi, in urma cu cateva momente, in orasul Constanta. Interventia a avut loc pe strada ...
ANUNT PUBLIC
www.infobraila.ro - Brăila
CONSTANTINESCU A ALEXANDRU II DECLARA PIERDUT CERTIFICAT DE INREGISTRARE SERIE B3820092 DIN DATA 22.02.2019. Comentarii comentariu
Guvernul Dăncilă a PICAT: Moţiunea de cenzură a trecut cu 238 de voturi
ziarulunirea.ro - Alba
Guvernul Dăncilă a PICAT: Moţiunea de cenzură a fost adoptată cu 238 de voturi Moţiunea de cenzură iniţiată de PNL şi susţinută de parlamentarii din
Tânăr reţinut pentru furt de telefoane mobile
www.zi-de-zi.ro - Mureş
Poliţişti din cadrul Poliţiei municipiului Târgu-Mureş au fost sesizaţi miercuri, 9 octombrie, în ju
A căzut Guvernul Dăncilă! Moţiunea de cenzură a trecut cu 238 de voturi
www.ebihoreanul.ro - Bihor
Moţiunea de cenzură împotriva Guvernului PSD condus de Viorica Dăncilă a trecut, joi, în Parlamentul României, după ore de dezbateri şi o sesiune tensionată de vot, în care liderii PSD-işti au urmărit cu ochi de vultur mişcările colegilor lor, ca nu cumva să vreunul să trădeze. Va urma constituirea unui nou guvern.
Guvernul Viorica Dancila a picat! Motiunea de cenzura a trecut
www.ziuaconstanta.ro - Constanţa
Motiunea de cenzura a picat, in urma anuntului facut de parlamentari, in mod oficial. Din cei 244 de parlamentari care au votat, 238 au votat pentru, ceea ce inseamna ca guvernul condus de Viorica ...
Moţiunea de cenzură a trecut, Guvernul Dăncilă a fost demis
timponline.ro - Bistriţa-Năsăud
Moţiunea de cenzură ”Ca să reconstruim România, Guvernul Dăncilă trebuie demis de urgenţă!”, semnată de 237 de parlamentari, a fost dezbătută şi votată joi în plenul Parlamentului.
Moţiunea a întrunit 238 de voturi ”pentru”, astfel că Guvernul a căzut.
https://www.facebook.com/robert.sighiart
Naţional: Moţiunea a trecut! Guvernul Dăncilă a picat!
www.stiri-neamt.ro - Neamţ
Guvernul României, condus de premierul Viorica Dăncilă, a fost demis, astăzi, 10 octombrie, prin voturile a 238 de parlamentari (potrivit primelor surse).
Un şofer băut a acroşat cu maşina pompele de alimentare carburanţi din benzinăria de pe Sucevei. Poliţiştii, chemaţi la faţa locului, au avut o surpriză
www.botosaninews.ro - Botoşani
...
PSD, cu un picior în groapă! Guvernul Dăncilă, DEMIS prin moţiune de cenzură
www.jurnaldevrancea.ro - Vrancea
Guvernul Dăncilă a fost demis astăzi prin moţiune de cenzură. Opoziţia a preluat puterea în parlament şi a reuşit să adune 238 voturi. Pentru a trece | Jurnal de Vrancea - Stiri din Vrancea si Focsani
Moţiunea a trecut! Guvernul Dăncilă a picat!
portalsm.ro - Satu Mare
Moţiunea a trecut! Guvernul Dăncilă a picat! Iohannis decide acum pe cine numeşte premier
Adrian Oprică: Îndemn braşovenii să creadă doar informaţiile care vin din presa care şi-a câştigat credibilitatea în timp
feedproxy.google.com - Braşov
Preşedintele Organizaţiei Municipale PNL Braşov, Adrian Oprică, a declarat joi, că se aşteaptă ca actuala campanie electorală care va începe pe 12 octombrie, să fie una dintre cele mai murdare, mai ales în mediul online, acolo unde au apărut deja mai multe articole de forma „fake news” împotriva Partidului Naţional Liberal. Adrian Oprică îi îndeamnă
Infractiuni rutiere constatate de politistii din Somcuta Mare
ziarmm.ro - Maramureş
In cadrul activitatilor desfasurate pe drumurile publice de pe zona de competenta, politistii din Somcuta Mare au depistat, in ultimele 12 de ore, doua persoane care au comis infractiuni la regimul ci
Berzasca, singurul spaţiu rural din ţară unde concurează tinerele talente muzicale
expressdebanat.ro - Caraş-Severin
Tradiţia se menţine în comuna Berzasca, astfel că Festivalul Naţional de Muzică Uşoară „Ritmuri în Mileniul III” a ajuns la ediţia cu numărul 21. Organizatorii propun şi în acest an un concurs echilibrat şi invită la acţiune tinerii talentaţi. Manifestarea care începe astăzi se derulează până sâmbătă, 12 octombrie, şi se adresează soliştilor vocali de…
Ziua Mondiala a Sanatatii Mintale: Sorina Pintea, despre imbunatatirile spitalelor de psihiatrie din tara
www.ziuaconstanta.ro - Constanţa
Ministerul Sanatatii lucreaza la strategia si la planul de masuri in domeniul sanatatii mintale, dar si la standardizarea procedurilor operationale in spitalele de psihiatrie, a informat, joi, ...
Numărul accidentelor mortale, în creştere la Botoşani. În câteva luni s-au produs tragedii cât într-un an
www.botosaninews.ro - Botoşani
...
FOTO. Ai din nou ocazia să îţi reînnoieşti garderoba la preţuri accesibile. Încă o ediţie a Salonului Industriei Uşoare
expressdebanat.ro - Caraş-Severin
Dacă toamna te-a prins pe nepregătite în ceea ce priveşte hainele sau pantofii, săptămâna aceasta ai ocazia să îţi cumperi noi piese vestimentare, la preţuri accesibile. Camera de Comerţ, Industrie şi Agricultură organizează ediţia de toamnă a Salonului Industriei Uşoare, ca de obicei, la Centrul Regional de Afaceri. Evenimentul are loc timp de cinci zile,…
Incident la votarea moţiunii! Parlamentar de Botoşani îmbrâncit de Victor Ponta
www.botosaninews.ro - Botoşani
...
Continua lucrarile de reabilitare stradala in Constanta (galerie foto)
www.ziuaconstanta.ro - Constanţa
Primaria Municipiului Constanta, prin SC Confort Urban SRL, continua programul de reabilitare a infrastructurii rutiere in cartierele orasului. Angajatii SC Confort Urban SRL au intervenit in aceste ...
NEAMȚ: Incendiu la o magazie, de la o ţigară
www.stiri-neamt.ro - Neamţ
Astăzi, în jurul orei 12:12, printr-un apel la „112”, pompierii au fost înştiinţaţi despre producerea unui incendiu la o magazie în comuna Ștefan cel
Incendiu în localitatea Perieţi, sat Misleanu
obiectiv.net - Ialomiţa
Miercuri, 09.10.2019, în jurul orei 15.00, dispeceratul inspectoratului a fost anunţat despre izbucnirea unui incendiu la o casă din localitatea... Vezi tot
Drumul cu trenul de la Braila la Buzau, cosmarul brailenilor / O trotineta electrica injoseste caile ferate romane
www.infobraila.ro - Brăila
Trotinetele electrice prind avans. Atat de mare este avansul incat pot depasi, fara probleme, multe trenuri care circula pe caile ferate romane. Daca ne raportam la judetul Braila, o trotineta electrica saluta din mers orice tren regio ce face legatura intre Buzau si Galati, legatura ce trece inevitabil prin Braila. Daca o trotineta electrica poate […]
“DINCOLO DE APARENȚE”- Ediţia a X-a
www.gazetadambovitei.ro - Dâmboviţa
Încă o ediţie a Proiectului de prevenire a delincvenţei juvenile “DINCOLO D APARENTE”,editia a X-a , s-a desfăşurat de IPJ
Călătoria imaginară a filmelor fARAD 6 a ajuns la final
newsar.ro - Arad
Cea de-a şasea ediţie a Festivalului de film documentar fARAD – „Harta şi teritoriile” s-a încheiat duminică, 6 octombrie, cu proiecţia filmului „Havana, de la înălţime”. „Îl felicit pe regizor pentru un film atât de original şi de frumos, atât din punct de vedere vizual, cât şi al mesajului transmis”, a exclamat unul dintre spectatori,
CATTIA, cel mai modern centru de afaceri din Braşov FOTO – VIDEO
feedproxy.google.com - Braşov
Primarul George Scripcaru va inaugura astăzi Centrul de Afaceri, Transfer Tehnologic şi Incubator de Afaceri (CATTIA), situat pe str. Institutului, vizavi de Institutul de cercetare al Universităţii Transilvania. Acest proiect a beneficiat de finanţare nerambursabilă în cadrul Programului Operaţional Regional 2007-2013. Centrul este compus, la demisol, dintr-o sală de conferinţe, ateliere pentru prototipuri, ateliere mentenanţă,
Autostrada în Bihor: Prefectul Mihaiu anunţă că au început asfaltările şi adaugă un "Doamne ajută!" (FOTO / VIDEO)
www.ebihoreanul.ro - Bihor
În timp ce la Bucureşti se dezbătea soarta Guvernului pe care îl reprezintă, prefectul Ioan Mihaiu a postat, joi, pe pagina sa de Facebook, mai multe fotografii care arată evoluţia lucrărilor la tronsonul din Bihor al autostrăzii Transilvania. Muncitorii au început să toarne primul strat de asfalt.
Programul manifestărilor din Cimitirul Internaţional al Eroilor Valea Uzului
ziarharghita.ro - Harghita
Ziar Harghita
Sâmbătă, ora 15.00, Unirea Alba Iulia – Metalurgistul Cugir | Derby “de Alba” pe “Cetate”
ziarulunirea.ro - Alba
Mereu disputele dintre Unirea Alba Iulia şi Metalurgistul Cugir au suscitat interes, indiferent de eşalonul în care s-au disputat de-a lungul deceniilor.
Serviciul de stare civila Constanta. Publicatii de casatorie 09 octombrie 2019
www.ziuaconstanta.ro - Constanţa
Petran Gheorghe Cojocaru Ana Dragan Andrei Stelian Dobrescu Georgiana Camelia Olteanu Alexandru Muscatu Alina Gavaneanu Daniel Sotir Mariana Maziliu Romulus Mare Doinita Georgiana Ceaucu ...
Managerul Dena a demisionat! Spitalul Municipal de Urgenţă Caransebeş rămâne la terapie intensivă!
expressdebanat.ro - Caraş-Severin
Problemele Spitalului Municipal de Urgenţă din Caransebeş l-au copleşit pe managerul Octavian Dena care a anunţat astăzi, în jurul orei 12.00, la raportul de gardă, că-şi dă demisia. Dena, alături de primarul Felix Borcean, îşi propusese măsuri importante pentru redresarea unităţii medicale, care însă până în acest moment par să nu fi dat rezultatele scontate.…
Alimentarea cu apă şi canalizare a cartierului Tătăraşi intră în linie dreaptă
feeds.monitorulsv.ro - Suceava
Ultima ora: Cel mai nou cartier pentru tineri infiintat de municipalitatea suceveana, pe dealul Tatarasi, va beneficia de anul viitor de retele de apa si canalizare, ca urmare a semnarii contractului de proiectare si executie pentru aceasta lucrare.
Incident la un liceu din Timiş: Un profesor a ajuns la spital, lovit de un elev
feeds.monitorulsv.ro - Suceava
Ultima ora: Un profesor de la Liceul Tehnologic Aurel Vlaicu din Lugoj, judetul Timis, a ajuns la spital dupa ce a avut un conflict cu un elev, informeaza Mediafax. Imprejurarile sunt deocamdata neclare, spune inspectorul scolar general, in conditiile in care conducerea scolii nu s-a gandit sa anunte incidentul.
Mâine, ora 15.00, AFC Odorheiu Secuiesc – Industria Galda | “Lanterna roşie”, după puncte în Harghita
ziarulunirea.ro - Alba
Răvăşită de şocantul 2-6 de pe teren propriu cu liderul Luceafărul Oradea, cele 7 înfrângeri consecutive şi ameninţarea retrogradării, Industria Galda,
ISU Harghita: Și tu poţi salva o viaţă! Noi te putem ajuta să afli cum…
ziarharghita.ro - Harghita
În cadrul Exerciţiului interinstituţional CONCORDIA 19, timp de cinci zile, Caravana SMURD ,,Fii pregătit” desfăşoară activităţi specifice de predare a
Posturi vacante, scoase la concurs de ARSVOM Constanta
www.ziuaconstanta.ro - Constanţa
Agentia Romana de Salvare a Vietii Omenesti pe Mare din Constanta organizeaza concurs de recrutare pentru ocuparea pe perioada nedeterminata a functiilor contractuale vacante, de Ofiter mecanic ...
Dosar penal pentru un sibian prins fără permis la volan în Cluj
www.oradesibiu.ro - Sibiu
Un sibian care avea dreptul de a conduce suspendat a fost prins la volanul unui autoturism în Mărtineşti, judeţul Cluj. Omul s-a ales cu un dosar penal. Sibianul, în vârstă de 60 de ani, a fost depistat miercuri de către poliţiştii Biroului Rutier Turda în timp ce conducea un autoturism…
Cronicile Medici’s: Ruptura de menisc, sursă de dureri la nivelul genunchiului
expressdebanat.ro - Caraş-Severin
Meniscul, o structură importantă din articulaţia genunchiului, are rolul de a prelua şocurile, de a asigura stabilitatea acesteia şi de a asigura o funcţie normală articulară. Dr. Mihai Hurmuz, medic specialist ortopedie-traumatologie la Clinicile Medici's Timişoara, vine cu detalii şi explică care sunt simptomele unei rupturi e menisc, cum se tratează şi ce complicaţii pot apărea.
Musicalul MAMMA MIA! revine la Constanta. Nume celebre pe scena Casei de Cultura
www.ziuaconstanta.ro - Constanţa
In mai putin de o luna de zile, celebrul spectacol MAMMA MIA! revine la Constanta cu o distributie de exceptie, din care fac parte nume celebre si iubite de public precum Loredana, Cornel Ilie, Anca ...
Bazar Cultural, un nou eveniment dedicat comunităţii locale, marca TM2021
www.tion.ro - Timiş
Asociaţia Timişoara 2021 – Capitală Europeană a Culturii şi Asociaţia Tribul Artistic aşteaptă publicul timişorean la trei zile în parc, la evenimentul Bazar Cultural.
De Ziua Armatei Române, torţele eroilor români din Valea Uzului se vor aprinde cu ajutorul vostru
ziarharghita.ro - Harghita
De Ziua Armatei Române, de la ora 17:00, în data de 25 octombrie, 150 de Torţe vor fi aprinse pentru Eroii Români din Cimitirul Internaţional al
Omagiu adus victimelor Holocaustului la Monumentul Deportaţilor
timponline.ro - Bistriţa-Năsăud
Comunitatea Evreilor din Bistriţa-Năsăud a comemorat, joi, Ziua Naţională a Holocaustului, în amintirea momentului în care au fost deportaţi evreii din Regat în Transnistria. În absenţa noului preşedinte, Iosif Valter, amfitrion a fost secretarul Natalia Țigăuan.
La eveniment au participat prefe
VIDEO. Protest în faţa Parlamentului, în ziua votării moţiunii de cenzură. Oamenii strigă: „Demisia” şi „Anticipate”
ziarulunirea.ro - Alba
Protest în faţa Parlamentului, în ziua votării moţiunii de cenzură. Oamenii strigă: "Demisia" şi "Anticipate" Zeci de oameni participă, joi, la un protest
A început votul pentru moţiunea de cenzură. Ph-online.ro anunţa rezultatul votului înainte de anunţul oficial
ph-online.ro - Prahova
Update: 13.28 Fostul ministru Lia Olguţa Vasilescu supraveghează votul. Ph-online.ro va anunţa rezultatele votului, conform numărătorii paralele. ...
Bihorel: Mihaiu nu vrea să devină Ianoş
www.ebihoreanul.ro - Bihor
Cu toate că la Consiliul Judeţean s-a format o celulă de criză pentru salvarea Consiliului de Administraţie al Aeroportului, iată că Prefectul Ioan Mihaiu a refuzat să devină Ianoş, după jalnicul exemplu al şefului său de partid, Nelu Mang. Prin urmare, nenea Zoo Szuhai şi gaşca sunt daţi afară de la cârma Aeroportului, ceea ce poate duce la stricarea planurilor patrioţilor a căror misiune era să pună instituţia pe butuci.
Doi timişoreni, în semifinalele Campionatului Mondial de minifotbal. Zi specială pentru unul dintre ei!
expressdebanat.ro - Caraş-Severin
România continuă să rămână o putere la nivel mondial în minifotbal, iar an de an, din echipa naţională nu lipsesc jucătorii din Timişoara. La ediţia Campionatului Mondial care are loc la Perth, pe coasta de vest a Australiei, tricolorii au reuşit să se califice în semifinale, iar Răzvan Plopeanu şi Dragan Paulevici au avut o…
Consiliul Judeţean va acorda şi anul acesta stimulente financiare olimpicilor botoşăneni
www.botosaninews.ro - Botoşani
...
Veşti BUNE pentru ȘOFERI: Drumul Pâncota – Seleuş este aproape FINALIZAT
newsar.ro - Arad
Citeşte azi ce scriu ziarele de mâine!
Patru studente din Sibiu implicate într-un proiect important – Luptă împotriva fenomenului fake-news
www.oradesibiu.ro - Sibiu
Patru tinere din Sibiu, studente la Jurnalism, participă, în perioada 10-13 octombrie 2019, la Bran la o tabără tematică în cadrul proiectului “All on board against fake news” finanţat de Consiliul Europei prin Fundaţia Europeană de Tineret. Scopul proiectului este să atragă atenţia tinerilor cu privire la fenomenul fake news…
Măsuri de ordine publică la meciul de baschet feminin CSM Târgovişte – ACS Sepsi SIC Sf. Gheorghe
www.gazetadambovitei.ro - Dâmboviţa
Jandarmii dâmboviţeni vor asigura măsurile de ordine şi siguranţă publică pe timpul desfăşurării meciului de baschet feminin dintre echipele CSM
VIDEO: Corneliu Olar şi Vasile Lungu, de la PNL şi PMP, aplaudaţi în Parlament după ce au venit să voteze la moţiunea de cenzură, direct din spital
ziarulunirea.ro - Alba
Corneliu Olar şi Vasile Lungu, de la PNL şi PMP, aplaudaţi în Parlament după ce au venit să voteze la moţiunea de cenzură, direct din spital.
FOTO Accident cu şase răniţi! Un microbuz din Botoşani şi o maşină s-au ciocnit
www.botosaninews.ro - Botoşani
...
A fugit de autorităţile din Italia, dar a fost prins în PTF Petea. Dus direct în arest
portalsm.ro - Satu Mare
A fugit de autorităţile din Italia, dar a fost prins în PTF Petea. Dus direct în arest
Campanie de colectare de sticle şi deşeuri electronice în Harghita
ziarharghita.ro - Harghita
În data de 12 octombrie (nu în ultimă instanţă şi pe baza unei acţiuni de reuşită organizate în primăvara anului curent, când au fost colectate peste 50
FOTO: Trofeul „Ella Kovacs”, o sărbătoare a sportului
www.zi-de-zi.ro - Mureş
Una dintre cele mai cunoscute personalităţi ale oraşului Luduş, Ella Kovacs, fostă campioană naţiona
NEAMȚ: Percheziţii şi persoane reţinute în Neamţ. Furt de 335.000 de lei dintr-o locuinţă
www.stiri-neamt.ro - Neamţ
Ieri, 9 octombrie, poliţiştii din cadrul Poliţiei municipiului Piatra Neamţ au efectuat 3 percheziţii domiciliare pe raza localităţii Bîrgăuani, fiind
Zeci de drumuri din judeţul Sibiu au fost reabilitate în luna septembrie
www.oradesibiu.ro - Sibiu
Zeci de drumuri au fost reabilitate, în luna septembrie a acestui ai, de către drumarii de la Drumuri şi Poduri în judeţul Sibiu. S-au turnat covoare asfaltice, pe o lungime totală de peste 3 kilometri, s-au făcut tratamente bituminoase pe 1,35 kilometri, au fost făcute marcaje rutiere şi, totodată, au…
Anunt important de la Primaria Constanta: Incep inscrierile pentru programul RESPECT.Cine poate beneficia de tichetele valorice
www.ziuaconstanta.ro - Constanţa
Primaria Municipiului Constanta, prin Directia Generala de Asistenta Sociala Constanta, anunta ca incepand cu data de 21.10.2019, de luni pana vineri, intre orele 09 00-14 00, vor avea loc ...
Campanie inedită a Teatrului Naţional din Timişoara
www.tion.ro - Timiş
Sub sloganul „Intoleranţă! Agresivitate! Ură! STOP!”, Teatrul Naţional din Timişoara lansează campania „AMÂNDOI”.
FOTO. Tânăr prins cu peste 100 de litri de alcool în Vama Urziceni. Sancţionat aspru de poliţişti
portalsm.ro - Satu Mare
Tânăr prins cu peste 100 de litri de alcool în Vama Urziceni. Sancţionat aspru de poliţişti
Înmatriculările de autoturisme noi în România au crescut în septembrie 2019 cu 118,19% ...
feeds.monitorulsv.ro - Suceava
Ultima ora: Inmatricularile de autoturisme noi in Romania au crescut in septembrie 2019 cu 118,19 fata de septembrie 2018, atingand un volum de 6.046 unitati, informeaza ACAROM - Asociatia Constructorilor de Automobile din Romania si DRPCI, citata de Mediafax. Pe primele 9 luni din 2019, numarul autoturismelor noi inmatriculate este de 124.049 unitati ceea ce reprezinta o crestere cu 16.
FOTO: Expoziţie de produse agroalimentare româneşti, în Piaţa Trandafirilor
www.zi-de-zi.ro - Mureş
60 de producători locali participă joi, 10 septembrie, la cea de-a III-a ediţie a Expoziţiei de prod
NEAMȚ: Măsuri luate de DSVSA privind pesta porcină din Neamţ
www.stiri-neamt.ro - Neamţ
In data de 08.10.2019 a fost confirmata suspiciunea de pesta porcina africana la porcii domestici dintr-o exploatatie nonprofesionala din localitatea
FOTO! S-a deschis târgul de produse agro-alimentare la Piaţa Mare. Ce pot cumpăra botoşănenii!
www.botosaninews.ro - Botoşani
...
Ca huliganii! Victor Ponta a îmbrâncit un deputat PSD care şuşotea cu parlamentarii Pro Europa
ph-online.ro - Prahova
Liderul Pro Romania, Victor Ponta, l-a imbrancit joi, in plenul reunit al Parlamentului, pe deputatul PSD Costel Lupaşcu. Pesedistul venise la parlame...
IPJ Harghita: ATENŢIE la „intruşi”! Cu pretextul că vând mături, fură din casă
ziarharghita.ro - Harghita
ATENŢIE la „intruşi”, o localnică din Tomeşti a fost păgubită de doi necunoscuţi care i-au oferit mături, dar i-au furat telefonul mobil. La data de
Deputatul PSD Prahova Andrei Nicolae prezinta, cu umor, LIVE TEXT de la motiune
ph-online.ro - Prahova
Update15: începe procedura de vot secret cu bile! Update14: Liderul pro cedeaza nervos şi împinge un coleg deputat, pe Costel Lupaşcu, printre rânduri...
NEAMȚ: Tineri prinşi de poliţişti după ce au spart o locuinţă
www.stiri-neamt.ro - Neamţ
Poliţiştii de investigaţii criminale din cadrul Poliţiei municipiului Piatra Neamţ au dispus reţinerea pentru 24 de ore a doi tineri de 22, respectiv 25
Autovehiculele destinate transportului de elevi, controlate de poliţişti
newsar.ro - Arad
Citeşte azi ce scriu ziarele de mâine!
Situaţia este GRAVĂ şi aparent, fără soluţie! Mii de arădeni AFECTAȚI după ce CTP va renunţa la peste 80 de curse
newsar.ro - Arad
Compania de Transport Public Arad intenţionează să renunţe, începând cu luna decembrie, la deservirea a nu mai puţin de 83 de trasee din judeţ. În urma acestei decizii, mii de cetăţeni din judeţul Arad riscă să nu mai beneficieze de acces la mijloacele de transport în comun, atrage atenţia Florin Tripa, deptutat al PSD Arad.
Pintea: Vom deschide linii de finanţare şi vom atrage fonduri europene în domeniul psihiatriei
feeds.monitorulsv.ro - Suceava
Ultima ora: Ministrul Sanatatii, Sorina Pintea, a transmis, joi, de Ziua Mondiala a Sanatatii Mintale, ca trebuie crescut gradul de constientizare si educare in domeniul sanatatii mintale si urmeaza sa fie deschise linii de finantare si sa fie atrase foinduri europene in domeniul psihiatriei, informeaza Mediafax.
Pintea: Vom deschide linii de finanţare şi vom atrage fonduri europene în domeniul psihiatriei
feeds.monitorulsv.ro - Suceava
Ultima ora: Ministrul Sanatatii, Sorina Pintea, a transmis, joi, de Ziua Mondiala a Sanatatii Mintale, ca trebuie crescut gradul de constientizare si educare in domeniul sanatatii mintale si urmeaza sa fie deschise linii de finantare si sa fie atrase foinduri europene in domeniul psihiatriei, informeaza Mediafax.
Un senator PMP a fost adus cu ambulanţa la votul pe moţiunea de cenzură din Parlament
feeds.monitorulsv.ro - Suceava
Ultima ora: Senatorul PMP Cristian Lungu a fost adus, joi, de la spital, la Parlament, cu ambulanta, pentru a putea vota motiunea de cenzura, informeaza Mediafax. El a spus ca imediat dupa vot se va intoarce la Cluj Napoca pentru a fi operat. A existat cateva voci care au ajuns si la urechile mele ca as ascunde o tradare prin neaparitia mea. Am vrut sa dovedesc un lucru. A fost decizia mea.
Un senator PMP a fost adus cu ambulanţa la votul pe moţiunea de cenzură din Parlament
feeds.monitorulsv.ro - Suceava
Ultima ora: Senatorul PMP Cristian Lungu a fost adus, joi, de la spital, la Parlament, cu ambulanta, pentru a putea vota motiunea de cenzura, informeaza Mediafax. El a spus ca imediat dupa vot se va intoarce la Cluj Napoca pentru a fi operat. A existat cateva voci care au ajuns si la urechile mele ca as ascunde o tradare prin neaparitia mea. Am vrut sa dovedesc un lucru. A fost decizia mea.
Avarie RAJA in Poarta Alba. Locuitorii, afectati de lipsa apei potabile
www.ziuaconstanta.ro - Constanţa
Pentru remedirea unei avarii pe conducta de alimentare cu apa, cu diametrul de 200 mm, din localitatea Poarta Alba, RAJA SA este nevoita sa intrerupa furnizarea apei potabile astazi - 10 octombrie 2019, ...
Un BIVOL aflat pe partea carosabilă, cauza accidentului GRAV de la ieşire din Aiud. Trei persoane au ajuns la spitalul din Alba Iulia
ziarulunirea.ro - Alba
Un BIVOL aflat pe partea carosabilă, cauza accidentului GRAV de la ieşire din Aiud. Trei persoane au ajuns la spitalul din Alba Iulia La data de 09
„Tu poţi face lumină” – O campanie anticorupţie
ziarharghita.ro - Harghita
Directia Generală Anticorupţie desfăşoara în perioada octombrie – decembrie 2019 o campanie naţională intitulată ”TU POȚI FACE LUMINĂ” ce are ca scop
Și-a lovit soţia cu pumnii în cap şi a tras-o de păr: Ordin provizoriu de protecţie pentru un bărbat din Sebeş
ziarulunirea.ro - Alba
Și-a lovit soţia cu pumnii în cap şi a tras-o de păr: Ordin provizoriu de protecţie pentru un bărbat din Sebeş Poliţiştii din Sebeş au emis un ordin de
Goana după petrol: Prospecţiunile începute de NIS în Bihor au ajuns la final. Nu avem gaze de şist, ci petrol!
www.ebihoreanul.ro - Bihor
După ani de temeri că 'strică' pământul şi apele pentru gaze de şist, s-au încheiat cele mai ample prospecţiuni geologice executate în Bihor în ultimul deceniu. În premieră, BIHOREANUL vă prezintă concluzii ale campaniei derulate de NIS Petrol pe aproape 400 kilometri pătraţi în 12 comune: în judeţ nu sunt gaze de şist, dar ar putea exista hidrocarburi convenţionale.
OTL: Programul punctului de vânzare de la cap de linie Nufărul
www.ebihoreanul.ro - Bihor
Începând din 14 octombrie 2019 punctul de vânzare a titlurilor de călătorie din staţia cap linie Nufărul va fi deschis, de Luni până Vineri între orele 13:00 şi 17:00.
Accident rutier. Maşină răsturnată în judeţ. Doi răniţi, trasportaţi la UPU
portalsm.ro - Satu Mare
Ieri, în jurul orei 08.00, pe DN19, la ieşirea din localitatea Pişcolt s-a produs un eveniment rutier soldat cu rănirea uşoară a două persoane.
DOSAR PENAL pentru un bărbat de 47 de ani din Teiuş, după ce a fost prins de poliţişti fără permis de conducere
ziarulunirea.ro - Alba
DOSAR PENAL pentru un bărbat de 47 de ani din Teiuş, după ce a fost prins de poliţişti conducând fără permis de conducere. La data de 09 octombrie 2019,
Tânără din Botoşani racolată de proxeneţi. Dezvăluirile cutremurătoare ale tatălui acesteia
www.botosaninews.ro - Botoşani
...
Amenzi de peste 15.000 de lei în urma unei acţiuni a poliţiştilor din Aiud, pe DN1, pentru prevenirea accidentelor rutiere datorate vitezei excesive
ziarulunirea.ro - Alba
Amenzi de peste 15.000 de lei în urma unei acţiuni a poliţiştilor din Aiud, pe DN1, pentru prevenirea accidentelor rutiere datorate vitezei excesive
FOTO. Monumentul Ostaşului Român de la Carei, pe moneda comemorativă lansată de BNR
portalsm.ro - Satu Mare
Monumentul Ostaşului Român de la Carei, pe moneda comemorativă lansată de BNR
14 octombrie, Sarbatoarea Sfintei Cuvioase Parascheva: IPS Teodosie slujeste cu IPS Teofan la Iasi
www.ziuaconstanta.ro - Constanţa
Luni, 14 octombrie, Biserica Ortodoxa o cinsteste pe Sfanta Cuvioasa Parascheva, ocrotitoarea Moldovei, ale carei moaste se afla la Catedrala Mitropolitana din Iasi. Sfanta Cuvioasa Parascheva ...
14 octombrie, Sarbatoarea Sfintei Cuvioase Parascheva: IPS Teodosie slujeste cu IPS Teofan la Iasi
www.ziuaconstanta.ro - Constanţa
Luni, 14 octombrie, Biserica Ortodoxa o cinsteste pe Sfanta Cuvioasa Parascheva, ocrotitoarea Moldovei, ale carei moaste se afla la Catedrala Mitropolitana din Iasi. Sfanta Cuvioasa Parascheva ...
Poliţiştii ne învaţă cum putem ajuta victimele violenţei în familie
feedproxy.google.com - Braşov
Sprijinul acordat victimei violenţei în familie este foarte important în procesul de separare a victimei faţă de agresor , deoarece aceasta este de multe ori tentată să îi dea o noua şansă abuzatorului. Prevederea legală care permite retragerea plângerii odată cu împăcarea părţilor facilitează tendinţa victimelor de a se întoarce către abuzator fie din cauza
Plutonier major ISU implicat în dosarul care vizează furtul de biciclete din Germania?!
feedproxy.google.com - Braşov
Miercuri dimineaţa, poliţişti din cadrul Serviciului de Investigaţii Criminale Braşov au efectuat 16 percheziţii domiciliare în mai multe localităţi din judeţ, într-un dosar penal în care se efectuează cercetări sub aspectul săvârşirii infracţiunii de furt calificat săvârşit în bandă organizată, faptă prevăzută şi pedepsită de Codul Penal German. În urma percheziţiilor au fost identificate şi
Elevii din Mălâncrav învaţă matematică pe calculator
www.oradesibiu.ro - Sibiu
Orele de matematică la şcoala din Mălâncrav au devenit, din acest an şcolar, extrem de atrăgătoare. Cei 50 de elevi stau la calculatoare şi fac exerciţii şi teste, folosind un soft educaţional. Asociaţia Casa Naturii a digitalizat ora de matematică pentru cei 50 de elevi de gimnaziu din Mălâncrav. Prima…
Accident mortal de munca in Portul Constanta. Ce spun inspectorii ITM
www.ziuaconstanta.ro - Constanţa
In data de 08.10.2019 ora 05 30 la SC MBX TRANS SPEDITION SRL incinta terminal SC CSCT SRL, a avut loc un eveniment soldat cu decesul unui angajat. Conducatorul auto, M.G., in varsta de 67 de ani, a ...
Tânăr turc, prins de poliţiştii de frontieră, încercând să intre în România cu un paşaport fals
www.tion.ro - Timiş
Dosar penal pentru fals şi uz de fals, dar şi pentru tentativă de trecere ilegală a frontierei de stat, pentru un cetăţean turc în vârstă de 26 de ani, în Vama Moraviţa. El este cercetat penal după ce s-a legitimat cu un paşaport fals în încercarea de a intra în România.
Maşină căutată pentru confiscare în Anglia, găsită la un cetăţean britanic, în Vama Moraviţa
www.tion.ro - Timiş
Pagubă mare pentru un cetăţean englez, în Vama Moraviţa. Acesta a rămas fără o maşină în valoare de aproximativ 20.000 de euro, după ce poliţiştii de frontieră au descoperit că autovehiculul era dat în urmărire internaţională.
BeautyBox aduce la Timişoara cel mai performant laser de epilare definitivă
www.tion.ro - Timiş
ADVERTORIAL. Soprano Titanium reinventează îndepărtarea părului nedorit şi marchează o premieră pe plan mondial în domeniul esteticii. Datorită combinaţiei unice a celor 3 lungimi de undă, a aplicatorului de 4 cm cu sistem de răcire, epilarea definitivă nu a fost niciodată mai eficientă, mai rapidă şi mai puţin dureroasă.
Un tânăr fără permis s-a urcat la volan. S-a oprit în primul stâlp
portalsm.ro - Satu Mare
Un tânăr fără permis s-a urcat la volan. S-a oprit în primul stâlp
Schimbare în garnitura PSD din Consiliul Local Alexandria: Marian Potbăniceanu îl înlocuieşte pe Daniel Mocanu
ziarulteleormanul.ro - Teleorman
Aleşii locali alexăndreni se înrunesc în şedinţă extraordinară luni, 14 octombrie, pe ordinea de zi fiind trecute şase proiecte de hotărâre, printre
NEAMȚ: S-a confirmat! Avem pestă porcină în Neamţ!
www.stiri-neamt.ro - Neamţ
Astăzi, 10 octombrie 2019, conform rezultatelor de laborator, s-a confirmat PPA (pesta porcină africană) la o exploataţie non-profesională din localitatea
Viitor alimentar asigurat! Doi căruţaşi din Sânmartin au furat peste o tonă şi jumătate de cartofi
ziarharghita.ro - Harghita
Peste o tonă şi jumătate de cartofi, furaţi de la o Asociaţie Agricolă din zona Ciucului, au fost recuperaţi de poliţişti de la doi căruţaşi din comuna
Siguranta elevilor din Constanta, pusa pe seama Politiei Locale
www.ziuaconstanta.ro - Constanţa
Siguranta elevilor reprezinta o prioritate a Primariei Municipiului Constanta, fapt pentru care Directia Generala Politia Locala actioneaza permanent in acest sens. Astfel, echipele Serviciului de ...
Meteo: Vineri, temperaturile maxime vor atinge 17 grade C
ziarmm.ro - Maramureş
Vineri, 11 octombrie, vremea se va mentine apropiata de normalul termic al perioadei. Cerul va fi variabil, cu unele innorari temporare in cursul zilei cand pe arii restranse inseosebi la munte va plo
Inedit: A fost amplasat primul defibrilator automat intr-un spatiu public din Baia Mare (FOTO)
ziarmm.ro - Maramureş
Joi, 10 octombrie, a avut loc prezentarea primului defibrilator automat amplasat intr-un spatiu public din oras, aflat mai exact la Colegiul Tehnic „Anghel Saligny” Baia Mare (chiar langa usa principa
Violeta, botoşăneanca din Italia care l-a demascat pe escrocul care îi chinuia bătrâna, îşi cere drepturile
www.botosaninews.ro - Botoşani
...
Opriţi la timp înainte să ajungă ilegal spre vestul Europei
expressdebanat.ro - Caraş-Severin
Trei cetăţeni afgani, călăuziţi de un cetăţean iranian, au intrat în vizorul poliţiştilor de frontieră Naidăş după ce au au încercat să ajungă, ilegal, într-un stat din vestul Europei.
Unde mergem în weekend la Timişoara
www.tion.ro - Timiş
Ne aşteaptă un weekend plin în Timişoara! Concerte, petreceri, expoziţii, toate în acest sfârşit de săptămână!
INS: Sporul natural al populaţiei a rămas negativ în august
feeds.monitorulsv.ro - Suceava
Ultima ora: Sporul natural in Romania a ramas negativ in luna august a acestui an, cat si in luna august din 2018, potrivit datelor INS publicate joi, informeaza Mediafax. Numarul persoanelor care au decedat, in august 2019, a fost mai mare cu 1.368 fata de cel al nou-nascutilor vii. In luna august 2018, numarul decedatilor l-a depasit cu 3.874 pe cel al nou-nascutilor vii.
Spectacol de teatru la Palatul Culturii, reprogramat pentru duminică 13 octombrie
timponline.ro - Bistriţa-Năsăud
”Având în vedere indisponibilitatea unuia dintre actorii principali din spectacolul ”Comedie cu olteni” programat iniţial în data de 12 octombrie, ora 18.00, la Palatul Culturii din Bistriţa, spectacolul va fi reprogramat duminică 13 octombrie, ora 18.00. Biletele achiziţionate rămân valabile sau, l
Dimineaţă cu bucluc: O Dacie şi un tramvai s-au "pupat" în Nufărul
www.ebihoreanul.ro - Bihor
Circulaţia tramvaielor a fost întreruptă temporar, joi dimineaţa, în zona Nufărul după ce şoferul unui autoturism a virat fără să se asigure, în calea unui tramvai care se deplasa spre capătul liniei. Maşina a fost lovită de tramvai, însă, din fericire, n-au existat victime.
Daea: Produsele româneşti trebuie să ocupe vitrinele magazinelor şi mesele consumatorilor; este mult suflet în aceste produse
ph-online.ro - Prahova
Produsele româneşti trebuie să ocupe spaţiile şi vitrinele magazinelor şi să umple mesele consumatorilor pentru că sunt produse formidabile, iar român...
Percheziţie domiciliară la Galaţi: a fost descoperită cantitatea de 200 de litri de motorină şi ţigări de contrabandă
stiridegalati.ro - Galaţi
Poliţiştii de frontieră gălăţeni au declanşat o acţiune specifică pentru prinderea în flagrant a unui cetăţean român despre care existau date şi informaţii că desfăşoară activităţi de colectare, transport, depozitare şi comercializare de produse accizabile, cunoscând că acestea provin din contrabandă. Astfel, în baza autorizaţiei emise de către Judecătoria Galaţi, au desfăşurat o percheziţie în municipiul …
ALERTA! Restaurantele "La Cocosatu'" si "La GilI", INCHISE de OPC! Ce nereguli s-au descoperit
ph-online.ro - Prahova
Restaurantele La Cocoşatu şi La Gil din Bucureşti au fost închise temporar de comisarii Autorităţii Naţionale pentru Protecţia Consumatorilor, până la...
Două familii din Șieu Măgheruş şi Arcalia, ajutate de pompierii bistriţeni în urma crosului caritabil (FOTO)
timponline.ro - Bistriţa-Năsăud
”Datorită vouă, celor care aţi participat la prima ediţie a Crosului Pompierilor, am reuşit să facem aceste lucruri minunate! Cu cei aproape 3.000 de lei, am reuşit să ajungem cu o sobă la familia din Șieu Măgheruş şi materiale necesare izolării locuinţei familiei din Arcalia. Nu ne vom opri aici, s
Pica motiunea. Parlamentari ALDE lipsesc
ph-online.ro - Prahova
Moţiunea este pe cale sa pice. Cinci parlamentari de la ALDE lipsesc de la vot, ceea ce pune în mare dificultate întreaga opoziţie. De asemenea, cei d...
FOTO, VIDEO. Ziua naţională a produselor agroalimentare româneşti, sărbătorită la Sebeş. Expoziţii cu vânzare în piaţa oraşului
ziarulunirea.ro - Alba
Ziua naţională a produselor agroalimentare româneşti este sărbătorită la Sebeş, joi 10 octombrie. În piaţa din oraş a fost organizată o expoziţie cu
Se caută voluntari pentru a face reparaţii la casa unei mame cu patru copii din Timiş
www.tion.ro - Timiş
Haideţi să daţi o mână de ajutor pentru reparaţia casei Ionelei, din Coşteiu, localitate din Timiş, de lângă Lugoj! Ionela este o femeie care stă într-o cameră cu cei patru copii şi mama ei bolnavă. Vine iarna, iar condiţiile din acea cameră sunt improprii pentru anotimpul rece. Veniţi să ajutaţi?
Inedit: Ceremonia de acordare a unei stele pe Aleea Celebrităţilor din Sibiu se ţine la Berlin
www.oradesibiu.ro - Sibiu
Michael Thalheimer primeşte steaua care i-a fost acordată pe Aleea Celebrităţilor din Sibiu la FITS 2019, în cadrul unei ceremonii organizate la Ambasada României în Republica Federală Germania. Evenimentul are loc astăzi, 10 octombrie 2019, de la ora 19, în prezenţa E.S. domnului Ambasador Emil Hurezeanu şi a mai multor…
Accident cu patru victime, produs intre un autoturism si un microbuz, pe DN 2
www.ziuaconstanta.ro - Constanţa
Centrul INFOTRAFIC din Inspectoratul General al Politiei Romane informeaza ca pe DN2 E85 Bacau Roman, in localitatea Dumbrava, judetul Bacau, a avut loc un accident rutier in care au fost implicate un ...
Avertismentul şefului Poliţiei Rutiere Botoşani: Pe acest sector de drum, folosirea telefonului mobil şi neaprinderea luminilor va conduce la suspendarea dreptului de a conduce pe o perioadă de 30 de zile
www.botosaninews.ro - Botoşani
...
Fotbal-Turneul Sperantelor: Meci in deplasare la Bistrita//Partida disputata cu echipa clujeana s-a incheiat cu scorul de 2-6
ziarmm.ro - Maramureş
Maramuresenii au pierdut cu 2-6 meciul disputat in Cluj Napoca in cadrul Turneului Sperantelor. Urmeaza o noua deplasare, de data aceasta pentru confruntarea cu selectionata judetului Bistrita-Nasaud.
Un baimarean si-a pierdut libertatea dupa ce a condus sub influenta alcoolului
ziarmm.ro - Maramureş
Joi, 9 octombrie, politistii Biroului Urmariri au depistat un barbat pe numele caruia Judecatoria Baia Mare a emis mandat de executare a pedepsei inchisorii. Baimareanul, de 50 de ani, a fost condamna
Un baimarean si-a pierdut libertatea dupa ce a condus sub influenta alcoolului
ziarmm.ro - Maramureş
Joi, 9 octombrie, politistii Biroului Urmariri au depistat un barbat pe numele caruia Judecatoria Baia Mare a emis mandat de executare a pedepsei inchisorii. Baimareanul, de 50 de ani, a fost condamna
NEAMȚ: Copil pe bicicletă, accidentat de maşină
www.stiri-neamt.ro - Neamţ
Un copil a fost victima unui accident rutier ce a avut loc ieri, în jurul orei 17:30, în localitatea Bălţăteşti. Băieţelul, în vârstă de 11 ani, în timp
LIVE UPDATE Motiunea de cenzura, dezbatuta si votata in Parlament (VIDEO)
ziarmm.ro - Maramureş
Senatul si Camera Deputatilor s-au reunit joi in sedinta comuna pentru dezbateri si vot asupra motiunii de cenzura impotriva Guvernului condus de premierul Viorica Dancila, informeaza AGERPRES. UPDATE
In meciul cu ACS Viitorul Pandurii Tg. Jiu, FC Farul spera sa obtina prima victorie in deplasare din acest sezon
www.ziuaconstanta.ro - Constanţa
FC Farul Constanta sustine sambata, 12 octombrie, de la ora 11.00, partida din etapa a 11-a a Ligii a 2-a, intalnind in deplasare ACS Viitorul Pandurii Tg. Jiu. In clasament, FC Farul ocupa locul opt, ...
Locuri de munca vacante in Spatiul Economic European
www.ziuaconstanta.ro - Constanţa
Angajatorii din Spatiul Economic European ofera, prin intermediul retelei EURES Romania, 500 locuri de munca vacante, dupa cum urmeaza Olanda -126 locuri de munca pentru culegator conopida si ...
O televiziune din Coreea de Sud realizează un documentar despre România: „Cinci ţări într-una singură”. Aceştia au vizitat şi Alba Iulia
ziarulunirea.ro - Alba
Reporterii unei televiziuni din Coreea de Sud, la care se uită 40 de milioane de telespectatori, au venit în România pentru a realiza un documentar
Infractiune de furt calificat, pe numele unui barbat din judetul Constanta. Ce pedeapsa a primit
www.ziuaconstanta.ro - Constanţa
La data de 9 octombrie a.c., politisti de investigatii criminale din cadrul Postului de Politie Poarta Alba au identificat un barbat de 38 de ani, pe numele caruia Judecatoria Medgidia a emis un mandat ...
Anunt – SDEE Electrica
www.zi-de-zi.ro - Mureş
În atenţia consumatorilor de energie electrică! Vă aducem la cunoştinţă că în perioada următo
Vrei să scapi de deşeurile electrice şi electrocasnice din casă? Ce trebuie să faci
newsar.ro - Arad
Municipiul Arad revine pe harta participanţilor la Ziua Internaţională a Reciclării Deşeurilor Electrice, eveniment organizat pentru a doua oară la nivel european, pentru a promova nevoia de a colecta selectiv deşeurile de echipamente electrice şi electronice. Primăria Municipiului Arad şi Serviciul Local de Colectare Arad încurajează cetăţenii să se alăture acestei iniţiative europene şi să participe
Ziua Naţională a Comemorării Holocaustului, marcată la Cajvana
feeds.monitorulsv.ro - Suceava
Ultima ora: Ziua Nationala a Comemorarii Holocaustului a fost marcata in data de 9 octombrie la Liceul Tehnologic Stefan cel Mare Cajvana. Directorii liceului, profesorii de istorie Nicolae Robu si Iulian Ciotu, precum si profesoara Ureche Casandra, au organizat cu acest prilej activitati pe aceasta tema, prezentand materiale informative despre holocaust.
Ziua Naţională a Comemorării Holocaustului, marcată la Cajvana
feeds.monitorulsv.ro - Suceava
Ultima ora: Ziua Nationala a Comemorarii Holocaustului a fost marcata in data de 9 octombrie la Liceul Tehnologic Stefan cel Mare Cajvana. Directorii liceului, profesorii de istorie Nicolae Robu si Iulian Ciotu, precum si profesoara Ureche Casandra, au organizat cu acest prilej activitati pe aceasta tema, prezentand materiale informative despre holocaust.
Un copil de aproape 2 ani a ajuns la spital după ce a fost lovit de un cal
feeds.monitorulsv.ro - Suceava
Ultima ora: Un copil de aproape 2 ani, din Vicovu de Sus, a ajuns la spital miercuri dupa ce a fost lovit de un cal, stapanul animalului fiind amendat cu 500 de lei pentru ca l-a lasat nesupravegheat.
Un copil de aproape 2 ani a ajuns la spital după ce a fost lovit de un cal
feeds.monitorulsv.ro - Suceava
Ultima ora: Un copil de aproape 2 ani, din Vicovu de Sus, a ajuns la spital miercuri dupa ce a fost lovit de un cal, stapanul animalului fiind amendat cu 500 de lei pentru ca l-a lasat nesupravegheat.
„Salonul de toamnă”, expoziţie de grup a artiştilor plastici profesionişti suceveni
feeds.monitorulsv.ro - Suceava
Ultima ora: Iubitorii de frumos sunt invitati la Salonul de toamna, o expozitie de grup a artistilor plastici profesionisti suceveni.Vernisajul va avea loc vineri, 11 octombrie, la ora 16, la Galeria Ion Irimescu din municipiul Suceava.
„Salonul de toamnă”, expoziţie de grup a artiştilor plastici profesionişti suceveni
feeds.monitorulsv.ro - Suceava
Ultima ora: Iubitorii de frumos sunt invitati la Salonul de toamna, o expozitie de grup a artistilor plastici profesionisti suceveni.Vernisajul va avea loc vineri, 11 octombrie, la ora 16, la Galeria Ion Irimescu din municipiul Suceava.
Bătrân mort în urma unui incendiu pornit de la radiatorul electric
feeds.monitorulsv.ro - Suceava
Ultima ora: Pompierii au intervenit, joi dimineata, la un incendiu izbucnit intr-un apartament din orasul Gura Humorului, in interior, unde ardeau bunuri din dormitor, fiind gasit un barbat inconstient, cel mai probabil intoxicat cu fum. Echipajul de la Serviciul Judetean de Ambulanta Judetean, aflat la fata locului, a declarat decesul barbatului de aproximativ 70 de ani.
Bătrân mort în urma unui incendiu pornit de la radiatorul electric
feeds.monitorulsv.ro - Suceava
Ultima ora: Pompierii au intervenit, joi dimineata, la un incendiu izbucnit intr-un apartament din orasul Gura Humorului, in interior, unde ardeau bunuri din dormitor, fiind gasit un barbat inconstient, cel mai probabil intoxicat cu fum. Echipajul de la Serviciul Judetean de Ambulanta Judetean, aflat la fata locului, a declarat decesul barbatului de aproximativ 70 de ani.
Concert la Ariata Events, susţinut de artistul Ion Suruceanu
feeds.monitorulsv.ro - Suceava
Ultima ora: Un nou eveniment mult asteptat de suceveni va avea loc vineri, 25 octombrie, in ajunul sarbatorii Sf. Dimitrie, la Ariata Events, una dintre salile de evenimente noi si elegante care se afla la iesirea din municipiul Suceava spre Gura Humorului Strada Aleea Vamii, nr. 7 C.
Concert la Ariata Events, susţinut de artistul Ion Suruceanu
feeds.monitorulsv.ro - Suceava
Ultima ora: Un nou eveniment mult asteptat de suceveni va avea loc vineri, 25 octombrie, in ajunul sarbatorii Sf. Dimitrie, la Ariata Events, una dintre salile de evenimente noi si elegante care se afla la iesirea din municipiul Suceava spre Gura Humorului Strada Aleea Vamii, nr. 7 C.
Aproape 70.000 de infecţii respiratorii. 17 cazuri de gripă clinică
feeds.monitorulsv.ro - Suceava
Ultima ora: Aproape 70.000 de cazuri de infectii respiratorii se inregistreaza la nivel national. Au fost raportate 17 cazuri de gripa clinica, comparativ cu 5 cazuri in perioada similara a anului trecut, informeaza Mediafax.
Aproape 70.000 de infecţii respiratorii. 17 cazuri de gripă clinică
feeds.monitorulsv.ro - Suceava
Ultima ora: Aproape 70.000 de cazuri de infectii respiratorii se inregistreaza la nivel national. Au fost raportate 17 cazuri de gripa clinica, comparativ cu 5 cazuri in perioada similara a anului trecut, informeaza Mediafax.
Judetul Constanta: Dosare penale intocmite de politistii rutieri. Ce alte nereguli au depistat
www.ziuaconstanta.ro - Constanţa
La data de 9 octombrie a.c., in jurul orei 12.50, politisti din cadrul Serviciului Rutier Constanta au depistat un barbat de 34 ani, in timp ce conducea un autoturism pe strada Amurgului din municipiul ...
Peste 400 de şoferi au fost prinşi la Botoşani, vorbind la telefon, în timp ce conduceau. Ce amenzi se dau de sâmbătă
www.botosaninews.ro - Botoşani
...
Strada Vlădeasa va fi închisă în weekend pentru asfaltarea tronsonului delimitat de străzile Traian Blajovici şi Calea Aradului (FOTO)
www.ebihoreanul.ro - Bihor
Strada Vlădeasa va fi închisă în weekend pentru lucrări de asfaltare a tronsonului delimitat de străzile Traian Blajovici şi Calea Aradului. Constructorii lucrează în prezent la ridicarea la cotă a celor peste o sută de cămine de vizitare. Artera va fi redeschisă traficului rutier la sfârşitul săptămânii viitoare.
Turnenii pot solicita ajutor pentru încălzirea locuinţei, începând de luni
ziarulteleormanul.ro - Teleorman
Familiile cu venituri mici din municipiul Turnu Măgurele pot depune cererile pentru acordarea ajutoarelor pentru încălzirea locuinţei cu energie electrică,
Primaria Municipiului Constanta face angajari
www.ziuaconstanta.ro - Constanţa
Primaria Municipiului Constanta organizeaza concurs la sediul din bulevardul Tomis, nr. 51, pentru ocuparea unei functii publice de executie vacante din cadrul Biroului Audit Public Intern astfel ...
Lungu: „Am semnat contractul pentru modernizarea şi extinderea cu parcare subterană a ...
feeds.monitorulsv.ro - Suceava
Una dintre cele mai frecventate piete din municipiul Suceava, Piata Mica, din cartierul George Enescu, intra in proces de modernizare si extindere, inclusiv cu o parcare subterana cu 67 de locuri.
Gorj: Profesoară acuzată de comportament abuziv după ce a lovit un elev, cu un telefon
feeds.monitorulsv.ro - Suceava
O profesoara de la Scoala Gimnaziala Bengesti-Ciocadia, judetul Gorj, este acuzata de comportament abuziv dupa ce a lovit un elev in varsta de 11 ani, cu un telefon mobil, informeaza MEDIAFAX. Femeia a fost concediata anul trecut pentru ca umbla cu un ciocan in geanta, insa instanta a decis ca se poate intoarce la catedra.
Noi decoraţiuni de iarnă, achiziţionate pentru a fi ornate toate cartierele Sucevei
feeds.monitorulsv.ro - Suceava
Zona centrala a municipiului Suceava, unde se va organiza si Revelionul, dupa o pauza de multi ani, in care a avut loc doar in parcarea Iulius Mall, va beneficia de noi ornamente de iarna.
Avionul de pe ruta Munchen – Iaşi, în care se afla Gheorghe Flutur, a avut probleme la aterizare
feeds.monitorulsv.ro - Suceava
Un avion al companiei Blue Air, care opera zborul pe ruta Munchen - Iasi, in care se afla si presedintele Consiliului Judetean Suceava, Gheorghe Flutur, a avut probleme la aterizare. Conducerea aeroportului din Iasi a anuntat ca inainte de miezul noptii, aeronava a facut un ocol in aer avand in vedere ca un sistem de alarma arata o posibila defectiune la trenul de aterizare.
Despre răutatea umană
feeds.monitorulsv.ro - Suceava
Cand un om reuseste sa faca ceva ce i-a solicitat mult efort, in el incepe sa lucreze trufia. Cel ce slabeste, se uita cu dispret la grasi, iar cel ce s-a lasat de fumat rasuceste nasul dispretuitor cand altul se balaceste, inca, in viciul sau.
Mergi, credinţa ta te-a mântuit!
feeds.monitorulsv.ro - Suceava
In vremea aceea, pe cand iesea Iisus din Ierihon, impreuna cu ucenicii Sai si cu multime mare, Bartimeu orbul, fiul lui Timeu, sedea jos, pe marginea drumului, si cerea milostenie.
Biserica cu hramurile Sf. Proroc Ilie şi Sf. ...
feeds.monitorulsv.ro - Suceava
Duminica, 13 octombrie, incepand cu orele 9.00, Biserica cu hramurile Sf. Proroc Ilie si Sf. Arhangheli Mihail si Gavriil din Darmanesti va primi vesmantul sfintirii.Cei interesati sa lase un pomelnic la biserica o mai pot face in aceasta saptamana pana sambata seara, 12 octombrie in doua exemplare.
Canonul – o formalitate, o primejdie sau un mijloc de îndreptare?
feeds.monitorulsv.ro - Suceava
De aceea zic, cand se dau metanii, zile de post, rugaciuni, milostenii sau alte mijloace de indreptare, sa stiti ca sunt pentru indreptarea noastra, pentru pacea noastra launtrica. Pacatul este cel mai mare dusman al omului, al crestinului, pentru ca el desparte pe om de Dumnezeu. Chiar mai mult. Daca se poate, trebuie sa dam, ca sa primim.
Fabrică de sucuri naturale delicioase, produse din fructele şi legumele clienţilor
feeds.monitorulsv.ro - Suceava
Sucurile naturale din fructe, care se obtin din fructele care se gasesc din belsug in aceasta perioada a anului - in special mere si pere, sunt cea mai buna varianta de a ne bucura de un produs racoritor si energizant, fara conservanti si fara adaosuri de zahar.
Două mame s-au luat la bătaie în faţa şcolii de unde îşi luau copiii
feeds.monitorulsv.ro - Suceava
Doua femei, una in varsta de 39 de ani si una de 37 de ani, au fost protagonistele unui incident socant, practic o bataie in strada. Bomboana pe coliva este ca cele doua s-au incaierat in fata Scolii Gimnaziale Iaslovat, unde venisera sa isi ia copiii de la cursuri. Scarmaneala din strada nu putea sa scape neinregistrata video, astfel ca pe internet au inceput sa circule imagini care surprind incaierarea.
Pache, 1982
feeds.monitorulsv.ro - Suceava
In vara anului 1982, dupa un an petrecut ca profesor de desen la scoala din satul natal, eram din nou in cautare de lucru in Suceava si prin oraselele din apropiere. Calificarea pe care o aveam atunci, ca absolventa a liceului de arte plastice, nu imi dadea prea multe sanse sa gasesc ceva apropiat de domeniul meu de specialitate pe care nu aveam de gand sa-l schimb.
Cinci elevi suceveni, într-o tabără internaţională de ştiinţă şi tehnologie, în ...
feeds.monitorulsv.ro - Suceava
In perioada 24-30 septembrie, la Nanning, in China, s-a desfasurat cea de-a treia editie a Belt and Road Teenager Maker Camp, o tabara de stiinte care reuneste tineri din toata lumea pentru a coopera si pentru a impartasi idei in cadrul unor activitati variate.
Un patinoar artificial, cu acces gratuit, va fi amplasat în centrul Sucevei
feeds.monitorulsv.ro - Suceava
De la finele lunii noiembrie, tinerii din Suceava vor putea sa se distreze pe patine chiar in centrul orasului, chiar de nu va fi suficient de frig pentru a se forma gheata. Primarul Sucevei, Ion Lungu, a anuntat ca principalul element de noutate pentru sarbatorile de iarna, in zona centrala, in apropierea bradului de Craciun, va fi un patinoar artificial, din teflon.
Profesori şi studenţi ai USV, la Colocviul Internaţional de Ştiinţe ale Limbajului ...
feeds.monitorulsv.ro - Suceava
Catedra de Filologie Romana si Clasica din cadrul Universitatii Nationale Yurii Fedkovici din Cernauti organizeaza Colocviul International de Stiinte ale Limbajului Eugeniu Coseriu, cu tema Schimbarea lingvisticii si schimbari in lingvistica,intre 11-12 octombrie 2019, la Facultatea de Filologie.
Unde fugim de-acasă...
feeds.monitorulsv.ro - Suceava
Joi, 10 octombrie Ciprian Porumbescu - balada sufletului romanesc, actiune la Biblioteca Bucovinei Consiliul Judetean Suceava, Biblioteca Bucovinei I.G. Sbiera, Asociatia Seniorilor Bucovinei Suceava, Asociatia Culturala Friedrich Schwartz Suceava organizeaza joi, 10 octombrie, la ora 11:00, in Sala de arta Elena Greculesi a Bibliotecii Bucovinei, actiunea Ciprian Porumbescu - balada sufletului romanesc. Prof. univ.
Colegiul Naţional „Nicu Gane”, la al zecelea proiect Erasmus+
feeds.monitorulsv.ro - Suceava
In anul scolar 2019-2020, Colegiul National Nicu Gane din Falticeni participa la sapte proiecte Erasmus, onorandu-si astfel statutul de Scoala Europeana, titlu primit pentru prima data in luna iunie 2019. Pe langa cele cinci proiecte de parteneriat strategic pentru care s-a obtinut finantare in actiunea 2018, anul acesta se vor derula alte doua proiecte, pentru care s-au primit fonduri europene.
Maria Verciuc a cucerit 14 medalii
feeds.monitorulsv.ro - Suceava
De curand, la Brasov s-a desfasurat prima editie a concursului de inot Cupa Romaniei. La competitie au participat 38 de cluburi, insumand 200 de sportivi. Suceveanca Maria Verciuc s-a remarcat la acest concurs, reusind sa cucereasca nu mai putin de 14 medalii, dintre care 3 de aur, 5 de argint si 6 de bronz.
Forestierul June a evoluat o repriză pentru România Under 19 în confruntarea cu Serbia
feeds.monitorulsv.ro - Suceava
In aceste zile, in Serbia, se desfasoara prima runda de calificare la turneul final al Campionatului European Under 19, care va avea loc anul viitor, in Irlanda de Nord. Intre cei 20 de jucatori convocati de selectionerul Laurentiu Rosu pentru aceasta actiune se afla si mijlocasul Forestei, Aurel June. Tricolorii au apucat deja sa dispute primul meci, in compania echipei gazda. Partida s-a incheiat nedecis, 1-1.
CSU Suceava, pregătită pentru duelul cu vecinii de la Magnum Botoşani
feeds.monitorulsv.ro - Suceava
Etapa a IV-a a Diviziei A de handbal masculin, Seria A, programeaza vineri, cu incepere de la ora 18.00, duelul dintre Magnum Botosani si CSU Suceava. Oricum disputa dintre vecini ar fi avut valoarea de derby, dar acest lucru este maximizat de faptul ca sapte suceveni, get-beget, sunt componenti ai gruparii botosanene.
Foresta - Dinamo se joacă pe Areni, miercuri, 30 octombrie, de la ora 19.30
feeds.monitorulsv.ro - Suceava
Federatia Romana de Fotbal a stabilit, in sfarsit, data exacta de disputare a partidei dintre Foresta si Dinamo, din cadrul optimilor Cupei Romaniei. Meciul va avea loc miercuri, 30 octombrie, cu incepere de la ora 19.30, pe stadionul Areni, urmand sa fie transmisa in direct de posturile de televiziune DigiSport, Telekom si Look.
CSU Suceava a preluat şefia Seriei A a Campionatului Naţional
feeds.monitorulsv.ro - Suceava
Echipa de juniori II a Clubului Sportiv Universitar din Suceava se afla pe primul loc dupa disputarea primelor cinci etape din cadrul Campionatului National, Seria A. Tinerii jucatori pregatiti de Vasile Boca au preluat conducerea Seriei A dupa ce au produs surpriza rundei, impunandu-se cu 33-29 pe terenul gruparii CSM Bacau, care este campioana nationala la aceasta categorie de varsta.
O echipă naţională cu o misiune
feeds.monitorulsv.ro - Suceava
Aceasta intrerupere a campionatului ar trebui sa fie aia cu noroc, adica sa ne aduca 6 puncte in preliminariile campionatului european. Teoretic, n-ar trebui sa lipsim de la acest turneu final la care sunt programate meciuri inclusiv in Romania.
La Fălticeni, spectacol dedicat Anului omagial al satului românesc în Patriarhia Română
feeds.monitorulsv.ro - Suceava
Cu binecuvantarea Inalt Preasfintitului Parinte Pimen, Arhiepiscopul Sucevei si Radautilor, duminica, 6 octombrie 2019 s-a desfasurat, la Sala Pictor Aurel Baesu din incinta Muzeului de Arta Ion Irimescu, spectacolul folcloric intitulat Biserica, lumina satului romanesc, organizat de catre Protoieria Falticeni in contextul Anului omagial al satului romanesc in Patriarhia Romana.
Un tânăr a ajuns în arest după ce a făcut scandal şi şi-a dat pantalonii jos într-un bar
feeds.monitorulsv.ro - Suceava
Un tanar in varsta de 25 de ani, din municipiul Falticeni, a ajuns in arestul politiei judetene, retinut 24 de ore pentru comiterea mai multor infractiuni dupa ce a facut scandal intr-un bar din municipiu, proferand injurii si amenintari si expunandu-si organele genitale in public.
Acuzaţiile lansate de o organizaţie de mediu privind presupuse ilegalităţi la Ocolul Silvic ...
feeds.monitorulsv.ro - Suceava
Acuzatiile lansate in lunile iunie si august de o organizatie de mediu referitoare la lucrari efectuate intr-o parcela de pe raza Ocolului Silvic Vama din cadrul Directiei Silvice Suceava sunt infirmate de o expertiza tehnica extrajudiciara, realizata de catre un expert tehnic independent.
80 de incendii în puţin peste o lună, în judeţ. ...
feeds.monitorulsv.ro - Suceava
Inspectoratul pentru Situatii de Urgenta ISU Suceava a anuntat ca de la inceputul lunii septembrie si pana in prezent, pe raza judetului s-au inregistrat 80 de incendii, din care mai mult de jumatate 46 au avut cauza de natura electrica sau legata de sistemele de incalzire cosuri de fum necuratate, mijloace de incalzire nesupravegheate, jar sau scantei cazute din sobe.
Comisia judeţeană pentru stabilirea dreptului de proprietate privată asupra terenurilor din ...
feeds.monitorulsv.ro - Suceava
Comisia judeteana pentru stabilirea dreptului de proprietate privata asupra terenurilor din Suceava va fi executata silit. Asta a stabilit Judecatoria Suceava, iar solutia pronuntata zilele trecute nu are nici o cale de atac.
Mai MULȚI BANI pentru PENSIONARI! Ce prevede noua LEGE
newsar.ro - Arad
Citeşte azi ce scriu ziarele de mâine!
Judecătorii au respins propunerea de arestare a unor suceveni prinşi cu câteva zeci de ...
feeds.monitorulsv.ro - Suceava
Doi dintre suspectii retinuti in urma amplei actiuni a politiei de luni cu privire la contrabandistii care isi valorifica tigarile in pietele Sucevei au fost prezentati in fata magistratilor de la Judecatoria Suceava, cu propunere de arestare preventiva pentru 30 de zile. Judecatorii au respins insa propunerea si au decis ca masura controlului judiciar este suficienta.
Marmeladă şi sirop
feeds.monitorulsv.ro - Suceava
Scoala agronomica in Suceava In sedinta de la 15 l. c. a comitetului comunal din Suceava a fost la ordinea dilei si desbaterea asupra ordinatiunei comitetului tarii relativa la asignarea unui loc pentru construirea unei scoale agronomice cu limba de propunere romaneasca.
Primarul din Fălticeni, Cătălin Coman, a semnat contractele de finanţare pentru ...
feeds.monitorulsv.ro - Suceava
Primarul din Falticeni, Catalin Coman, a semnat, ieri, contractele de finantare pentru reabilitarea si modernizarea a doua cladiri importante din acest municipiu. Semnarea contractelor s-a facut in prezenta deputatului falticenean Alexandru Radulescu, in calitate de initiator si sustinator al unuia dintre aceste proiecte.
„Tu poţi face lumină” O campanie anticorupţie pentru conştientizarea de către ...
feeds.monitorulsv.ro - Suceava
Directia Generala Anticoruptie, institutia abilitata in prevenirea si combaterea coruptiei in randul personalului MAI, a constituit un element important in procesul de creare a unui climat de integritate institutionala. Activitatea DGA in acest domeniu este reglementata de Strategia Nationala Anticoruptie 2016-2020 si de OMAI 62 din 13.06.
Senatorul PNL Constantin Daniel Cadariu: Judeţul Suceava este din nou bătaia de joc a PSD-ului
feeds.monitorulsv.ro - Suceava
Senatorul PNL Constantin Daniel Cadariu considera ca judetul Suceava este din nou bataia de joc a PSD-ului, de aceasta data la numarul de proiecte aprobate prin Fondul Suveran de Investitii.
Referate şi dezbateri pe tema educaţiei, la Liceul Tehnologic „Ștefan cel Mare” Cajvana
feeds.monitorulsv.ro - Suceava
Ziua Educatiei 5 octombrie a fost marcata la Liceul Tehnologic Stefan cel Mare din Cajvana prin cateva activitati, precum prezentari de referate, ganduri, impresii despre educatie din perspectiva copilului, a invatatorului, a profesorului si a parintilor. Consiliul Scolar al Elevilor le-a cerut elevilor scolii sa faca aprecieri despre dascalii lor, aceste idei fiind prezentate pe panouri in planul activitatii.
Gheorghe Flutur a constatat un interes mai mare al investitorilor din Germania pentru judeţul ...
feeds.monitorulsv.ro - Suceava
Presedintele Consiliului Judetean Suceava, Gheorghe Flutur, a declarat ca la editia de anul acesta a Targului Exporeal din Munchen a constatat o crestere mai mare a interesului investitorilor germani pentru judetul Suceava si pentru Romania.
Ion Lungu se plânge că moţiunea de cenzură şi campania electorală blochează primăriile
feeds.monitorulsv.ro - Suceava
Implementarea proiectelor finantate cu fonduri europene este blocata la nivelul administratiilor locale deoarece primarii nu mai au parteneri de dialog la nivel guvernamental, s-a plans, ieri, primarul de Suceava, Ion Lungu.
„Indigo Aristocrat Art”, vineri, la Biblioteca Bucovinei
feeds.monitorulsv.ro - Suceava
Indigo Aristocrat Art, un eveniment format din trei parti, in care se impletesc armonios cultura, eleganta si arta, va avea loc vineri, 11 octombrie, incepand cu ora 15.00, la Biblioteca Bucovinei I.G. Sbiera. Organizatorul principal al evenimentului, Asociatia Blessing Hearts, a precizat ca scriitoarea Gina M.
Deputatul Ioan Balan îi cere ministrului Agriculturii să acceseze cât mai rapid fonduri ...
feeds.monitorulsv.ro - Suceava
Deputatul PNL de Suceava Ioan Balan ii cere in termeni imperativi ministrului Agriculturii, Petre Daea, sa urgenteze procedurile pentru accesarea unei sume de aproape 3 miliarde de euro, bani oferiti de Uniunea Europeana pentru domeniul agricol.
Senatorul Ilie Niţă îşi doreşte crearea unui mecanism de recuperare mai rapidă a ...
feeds.monitorulsv.ro - Suceava
Senatorul PSD de Suceava Ilie Nita a declarat ca este de acord cu modificarea si completarea Legii nr. 241/2005 pentru prevenirea si combaterea evaziunii fiscale. Parlamentarul sucevean a acordat un vot pozitiv in cadrul Comisiei pentru buget, finante, activitate bancara si piata de capital din Senatul Romaniei, iar propunerea respectiva va urma sa intre in plen pentru a fi discutata.
Dumitru Mihalescul: Centura municipiului Rădăuţi se poate finaliza anul viitor, dacă ...
feeds.monitorulsv.ro - Suceava
Deputatul PNL de Suceava Dumitru Mihalescul s-a aratat extrem de incantat de posibilitatea ca inaugurarea soselei de centura a municipiului Radauti sa se poata face chiar in vara anului viitor si a solicitat Companiei Nationale de Administrare a Infrastructurii Rutiere CNAIR sa mentina finantarea si ritmul lucrarilor.
Finalul mandatului de primar al lui Lungu: „Când termin, în mare, de rezolvat problemele ...
feeds.monitorulsv.ro - Suceava
Primarul de Suceava, Ion Lungu, a declarat, ieri, ca isi doreste un nou mandat de primar, al cincilea, pentru a finaliza proiectele pe care si le-a propus pentru municipiul resedinta de judet. Intrebat, ieri, in conferinta de presa, daca in cazul in care trece motiunea de cenzura impotriva Cabinetului Dancila si guvernarea va fi preluata de PNL, ar accepta o functie in noul guvern, Ion Lungu a raspuns categoric nu.
Maricela Cobuz anunţă un program susţinut de Guvern prin care se poate finanţa construcţia ...
feeds.monitorulsv.ro - Suceava
Deputatul PSD de Suceava Maricela Cobuz a anuntat ca proiectul Dezvoltarea serviciilor de educatie anteprescolara, aferent Programului Operational Capital Uman 2014-2020, reprezinta o preocupare a guvernarii PSD pentru invatamantul din Romania. Maricela Cobuz a spus ca depunerea cererilor de finantare pentru acest proiect a fost extinsa pana la data de 29 noiembrie 2019.
Luna Internationala de Constientizare despre Cancerul de San (LICCS)
ziarmm.ro - Maramureş
Octombrie este luna de constientizare a ceea ce reprezinta cancerul de san. Marcata in tari din intreaga lume, campania isi propune sa creasca atentia si gradul de constientizare privind depistarea pr
Intervenţie a pompierilor la Mediaş. Au evitat o tragedie
www.oradesibiu.ro - Sibiu
Pompierii sibieni au intervenit de urgenţă la Mediaş, pentru a îndepărta ţiglele care riscau să cadă de pe o clădire. „ISU Sibiu a intervenit în jurul orei 9:30, cu 2 echipaje de pompieri militari şi o autospecială de salvare de la înălţime în municipiul Mediaş, strada Regele Ferdinand, pentru îndepărtarea…
Muscelean dat dispărut!
ziarulargesul.ro - Argeş
În cursul lunii septembrie a.c., STROE CONSTANTIN VIRGIL, de 38 de ani, domiciliat în comuna Poienarii de Muscel, a plecat voluntar de pe raza localităţii Câmpulung, unde locuia fără forme legale. Semnalmente: înălţime 1,70 m., constituţie atletică, faţa ovală, ochii albaştri, nas mijlociu...
Pledoarie PORNO pentru sănătatea planetei (VIDEO +18)
newsar.ro - Arad
Citeşte azi ce scriu ziarele de mâine!
Cum vor fi folosite cele 5 milioane de lei de la Guvern pentru Spitalul din Săcele
feedproxy.google.com - Braşov
Primarul municipiului Săcele, Virgil Popa, ne-a prezentat cum vor fi cheltuiţi banii alocaţi de la Guvern pentru Spitalul din Săcele şi a ţinut să precizeze că unitatea medicală nu este în niciun caz în colaps financiar, aşa cum susţin unele grupuri de interese care nu au avut acces la contractele cu spitalul. Edilul săcelean a
Percheziţii domiciliare în Odorheiu Secuiesc, la o bandă de hoţi minori
ziarharghita.ro - Harghita
Acţiune profesionistă a poliţiştii harghiteni, care au efectuat 3 percheziţii domiciliare, la Odorheiu Secuiesc, în urma cărora au fost recuperate bunuri
Minor din Constanta, dat disparut de familie. Politistii sunt in cautarea lui
www.ziuaconstanta.ro - Constanţa
Politistii au fost sesizati cu privire la disparitia lui V. M. de 12 ani, din municipiul Constanta. La data de 9 octombrie a.c., in jurul orei 15.00, acesta a plecat in mod voluntar de la adresa de ...
Liceul Teoretic Zimnicea ar putea să organizeze clase cu profil profesional
ziarulteleormanul.ro - Teleorman
Cel puţin o clasă de învăţământ profesional ar putea fi organizată în cadrul Liceului Teoretic Zimnicea, începând cu anul şcolar 2020-2021, dacă de
www.oltenasul.ro - Dolj
Related Posts via CategoriesȘedinţă de îndată şi rectificare de buget de 1, 4 milioane de lei, pentru schimbarea gazonului de pe „Oblemenco”4.000 de locuri de parcare, bune de scos la mezat de Primăria CraiovaVideo, oficial: Gazon hibrid pe „Oblemenco”. Lucrările ar putea începe săptămâna aceastaPe 10, în luna a zecea, de la ora 10, în Piaţa Centrală din Craiova, Ziua […]
FOTO:Primăria comunei Ciugud a testat pentru prima dată staţia de încărcare inteligentă, acoperită cu panouri fotovoltaice
ziarulunirea.ro - Alba
Primăria comunei Ciugud a testat pentru prima dată staţia de încărcare inteligentă, acoperită cu panouri fotovoltaice. Autoturismul electric al Primăriei
Fetiţă ABUZATĂ SEXUAL de ÎNVĂŢĂTOR! Bărbatul, internat la Neuropsihiatrie
newsar.ro - Arad
Citeşte azi ce scriu ziarele de mâine!
VIDEO Percheziţii la traficanţi de persoane! Obligau tinere din România şi Republica Moldova să se prostitueze
www.botosaninews.ro - Botoşani
...
2 eleve de la Ienăchiţă învăţă cum să lupte împoriva fenomenului fake news
www.gazetadambovitei.ro - Dâmboviţa
2 tinere din Târgovişte implicate într-un proiect finanţat de Consiliul European împotriva fenomenului fake news În perioada 10-13 octombrie 2019
Fotbalistii de la CS Minaur vor puncte in deplasarea de la Sanatatea
ziarmm.ro - Maramureş
Vineri si sambata se vor disputa jocurile etapei a 8-a din Liga 3, seria 5. CS Minaur va juca vineri in deplasare, la Sanatatea Cluj, grupare ce se afla destul de jos in clasamentul seriei. “Virusii v
Concert Mira, la ERA Park Oradea!
www.ebihoreanul.ro - Bihor
Una dintre cele mai difuzate artiste ale momentului, Mira, soseşte la ERA Park Oradea! Interpreta va susţine un super concert sub cupola centrului comercial duminică, 13 octombrie, începând cu ora 19.
Comunicat de presă: USR şi-a desemnat candidaţii la primăriile din Câmpeni, Vinţu de Jos şi Zlatna. La Cugir, competiţia este deschisă şi către exterior.
ziarulunirea.ro - Alba
Partidul Uniunea Salvaţi România (USR), cel mai democratic şi transparent partid, şi-a desemnat primii candidaţi la primărie pentru alegerile de anul
Finala programului Climate Kic are loc la Timişoara
expressdebanat.ro - Caraş-Severin
Camera de Comerţ, Industrie şi Agricultură Timiş organizează joi finala programului Climate Kic, una în care au ajuns cele mai bune echipe din ţară. Concurenţii se vor lupta pentru un loc în marea finală internaţională de la Amsterdam. În finală au ajuns cele mai bune cinci echipe, cu idei de business inovatoare. Toate cele cinci…
CNSAS a gasit "Petrovi" la USR. Colaborare cu Securitatea la vârful USR
ph-online.ro - Prahova
Consiliul Naţional pentru Studierea Arhivelor Securităţii urmează să trimită instanţei documentele privind colaborarea cu fosta Securitate Comunistă a...
CJ Prahova si-a dus la bun sfarsit promisiunea: 97 de km de drumuri judetene au fost asfaltati
ph-online.ro - Prahova
Programul de turnare covoare asfaltice pe 97 km de drumuri judeţene va fi finalizat sămptămâna urmatoare, potrivit presedintelui Consiliului Judetean...
Document: In 1962, Sora a devenit turnator la Securitate
ph-online.ro - Prahova
Recenta reclamă pentru un magazin online în care vector de publicitate este venerabilul fi lozof Mihai Șora, în vârstă de 102 ani, a stârnit o furtună...
Garda Naţională de la Alba Iulia va participa în acest weekend la Festivalul de reconstituire istorică Campo Multiepoca, organizat la Roma
ziarulunirea.ro - Alba
Garda Naţională de la Alba Iulia va participa în acest weekend la Festivalul de reconstituire istorică Campo Multiepoca, organizat la Roma. Garda
LIVE TEXT: Motiunea de cenzura impotriva Guvernului Viorica Dancila
www.ziuaconstanta.ro - Constanţa
Dezbaterea motiunii de cenzura impotriva guvernului Viorica Dancila a inceput astazi, de la ora 10.00 cu citirea textului, urmata de interventiile opozitiei si ale guvernului, fiecare avand dedicata ...
Satu Mare, între judeţele cu cea mai mică speranţă de viaţă. Sătmarul, la egalitate cu Bangladesh
portalsm.ro - Satu Mare
Satu Mare, între judeţele cu cea mai mică speranţă de viaţă. Sătmarul, la egalitate cu Bangladesh
Chirii şi condiţii de cazare pentru studenţi în căminele Upit
ziarulargesul.ro - Argeş
Pentru anul academic 2019-2020, Universitatea din Piteşti a pus la dispoziţie 700 de locuri de cazare în cele două cămine studenţeşti numerotate cu 2 şi 3. Adrian Sămărescu, prorector pentru relaţii cu studenţii, absolvenţii şi mediul socio-economic, ne-a spus că, până în prezent, au fost cazaţi 430-450 de studenţi.120 lei, chiria standardChiria standard pentru studenţii admişi pe locurile cu
taxă este de 120 lei; cei care au ocupat locuri subvenţionate de stat plătesc
jumătate din acest cost. La tariful perceput pe chirie se adaugă 80 lei,
reprezentând cheltuielile cu utilităţile (energia el
15 primari PSD sunt ca şi plecaţi la Pro România! „Vor fi surprize!”
expressdebanat.ro - Caraş-Severin
Secretarul general Pro România, Ion Mocioalcă, anunţă un adevărat dezastru pentru PSD Caraş-Severin după ziua de astăzi, în care e ferm convins că moţiunea de cenzură trece şi Guvernul Dăncilă cade! Ultima mutare de pe scena politică judeţeană a fost în sens invers decât spune Mocioalcă, de la Pro România la PSD, dar asta n-ar fi…
Poliţiştilor li s-a interzis să mai folosească WhatsApp şi Facebook
www.botosaninews.ro - Botoşani
...
Bataie in toata regula la Eforie! Echipaj de politie, lovit cu pumnii si picioare. O politista, trasa de par
www.ziuaconstanta.ro - Constanţa
Trei persoane trimise in judecata de procurorii din cadrul Parchetului de pe langa Judecatoria Constanta, pentru ultraj, au fost condamnate in prima instanta. In actul de sesizare s-a retinut in ...
Anunt
www.infobraila.ro - Brăila
FRATILA GEORGIAN IRINEL, ANUNTA PUBLICUL INTERESAT ASUPRA DEPUNERII SOLICITARII DE EMITERE A ACORDULUI DE MEDIU PENTRU PROIECTUL ” AMPLASARE STATIE SPALATORIE AUTO AUTOMATA” PROPUS A FI AMPLASAT IN JUDETUL BRAILA, COMUNA TUFESTI, LOCALITATEA TUFESTI, STR BRAILEI NR 309. INFORMATIILE PRIVIND PROIECTUL PROPUS POT FI CONSULTATE LA SEDIUL AUTORITATII COMPETENTE PENTRU PROTECTIA MEDIULUI-APM BRAILA, BDUL INDEPENDENTEI […]
Ieri, peste o suta de persoane, surprinse in flagrant delict. Ce alte nereguli au fost constatate la nivel national
www.ziuaconstanta.ro - Constanţa
In urma celor peste 2.700 de actiuni si interventii desfasurate de politisti, in ultimele 24 de ore, 131 de persoane care ar fi comis infractiuni au fost surprinse in flagrant delict. Pentru abaterile ...
Organizatorul Maratonului din Piatra Craiului, condamnat în 2004, pentru alţi 5 sportivi decedaţi
feedproxy.google.com - Braşov
Organizatorul Maratonului Piatra Craiului, eveniment la care au murit doi sportivi, la sfârşitul săptămânii trecute, a fost condamnat în trecut la închisoare, după ce alţi cinci sportivi au murit, în timpul unei competiţii organizată de el. Lucian Clinciu a fost condamnat la închisoare cu suspendare pentru ucidere din culpă în ianuarie 2004, după ce cinci
Pietoni spulberaţi pe o zebră din Braşov
feedproxy.google.com - Braşov
Potrivit I.S.U. Braşov, în urmă cu scurt timp, doi pietoni au fost accidentaţi pe o zebră situată pe strada Aurel Vlaicu. Intervin pentru salvarea victimelor două echipaje SMURD. Acestea sunt conştiente. Din primele verificări, două persoane care erau angajate în traversarea străzii pe trecerea pentru pietoni, pe culoarea roşie a semaforului, au fost surprinse şi
Radu Mazare la Curtea de Apel Bucuresti
www.ziuaconstanta.ro - Constanţa
Radu Stefan Mazare, fostul primar al municipiului Constanta, cere rejudecarea Dosarului Retrocedarilor din Constanta. In prezenta cauza, Radu Mazare a fost condamnat definitiv la noua ani de inchisoare ...
PERICOL pe străzile din Arad! Cine se plimbă printre noi
newsar.ro - Arad
Alcoolici, aurolaci, hoţi, purtători de boli grave şi contagioase, se plimbă pe străzile Aradului. Un număr de 28 de persoane au fost legitimate şi chestionate de poliţiştii locali în urma acţiunii comune întreprinse miercuri, 9 octombrie 2019, cu Poliţia Municipiului Arad şi Inspectoratul Judeţean de Jandarmi. Pentru consum de băuturi alcoolice pe domeniul public al
Liderii UE preconizează un nou val de migranţi din Siria înspre Europa
ziarulunirea.ro - Alba
Liderii UE preconizează un nou val de migranţi din Siria înspre Europa, pe fondul lansării unei operaţiuni militare a Turciei la graniţa cu Siria. Într-un
Filarmonica îşi continuă serile simfonice cu celebrul Alexandru Tomescu
www.ebihoreanul.ro - Bihor
Violonistul Alexandru Tomescu va fi invitatul de joi al Filarmonicii de Stat, alături de dirijorul Leonard Boga, într-un concert cu lucrări de Weber, Mendelssohn-Bartholdy şi Schubert.
Inventatorii bateriilor reîncărcabile au primit Premiul Nobel pentru Chimie
www.tion.ro - Timiş
Trei oameni de ştiinţă au fost onoraţi pentru crearea unei „lumi reîncărcabile". Câştigătorii din acest an ai Premiului Nobel pentru chimie sunt oamenii de ştiinţă din spatele bateriei litiu-ion.
Deputatul Durus explica, printr-o declaratie politica, votul impotriva Guvernului Dancila
ziarmm.ro - Maramureş
Mandatul nostru in acest for nu este doar politic, ci este si de reprezentare. As spune ca ultima componenta este mult mai importanta si mai cu greutate decat cea dintai. Ne obliga sa ne intrebam, doa
Anunţ Nova Apaserv! Mai multe localităţi din judeţul Botoşani au rămas fără apă, din cauza unei avarii
www.botosaninews.ro - Botoşani
...
Renault ar putea lansa un nou automobil electric care sa concureze cu Model 3 de la Tesla
ziarmm.ro - Maramureş
Constructorul auto francez Renault SA vrea sa tina pasul cu rivalii in incercarea de a profita de cresterea cererii pentru automobile electrice in Europa, prin lansarea de noi modele, posibil cu ajuto
Renault ar putea lansa un nou automobil electric care sa concureze cu Model 3 de la Tesla
ziarmm.ro - Maramureş
Constructorul auto francez Renault SA vrea sa tina pasul cu rivalii in incercarea de a profita de cresterea cererii pentru automobile electrice in Europa, prin lansarea de noi modele, posibil cu ajuto
Astăzi se inaugurează CATTIA la Braşov
feedproxy.google.com - Braşov
Primarul George Scripcaru va inaugura astăzi Centrul de Afaceri, Transfer Tehnologic şi Incubator de Afaceri (CATTIA), situat pe str. Institutului, vizavi de Institutul de cercetare al Universităţii Transilvania. Acest proiect a beneficiat de finanţare nerambursabilă în cadrul Programului Operaţional Regional 2007-2013. Centrul este compus, la demisol, dintr-o sală de conferinţe, ateliere pentru prototipuri, ateliere mentenanţă,
ULTIMA ORA Doi pietoni accidentaţi pe trecere în Braşov
feedproxy.google.com - Braşov
Inspectoratul pentru Situaţii de Urgenţă a fost alertat să intervină pentru acordarea primului ajutor în cazul unui accident care a avut loc pe strada Aurel Vlaicu din Braşov. „Este vorba despre doi adulti, care au fost loviţi pe trecerea de pietoni. Victimele sunt conştiente. Intervin doua echipaje SMURD”, a precizat purtătorul de cuvânt al ISU
Luminiţa Jivan, la masă cu Nelu Popa! Pentru Semenic – cel mai mare domeniu schiabil din România!
expressdebanat.ro - Caraş-Severin
Telegondola va urca turiştii pe Semenic, pârtiile de schi vor coborî din vârful muntelui până la Gărâna, Văliug şi chiar Teregova! Șefa PSD Caraş-Severin a obţinut promisiunea premierului!
Botoşănean în stare gravă la spital, după ce a fost lovit de calul din gospodărie
www.botosaninews.ro - Botoşani
...
Trafic închis pe Autostrada Orăştie – Sibiu. Maşinile vor fi redirecţionate
www.oradesibiu.ro - Sibiu
Șoferii care şi-au propus ca traseul lor să treacă joi pe autostrada Orăştie- sibiu, ori îşi reconfigurează deplasarea, ori vor parcurge o porţiune de drum pe drumul naţional. Asta pentru că traficul pe autostradă va fi închis pentru 24 de ore. De joi dimineaţă până vineri dimineaţă circulaţia rutieră va…
Whatsapp-ul, interzis poliţiştilor după ce s-au divulgat informaţii secrete în conversaţii
www.oradesibiu.ro - Sibiu
Poliţiştii au interzis să mai folosească Facebook Messenger, Whatsapp sau Snapchat pentru a transmite informaţii despre activităţile lor. Sindicaliştii sunt revoltaţi şi spun că „Cerem poliţistului să prindă infractori cu mapa sub braţ şi cu logistică depăşită moral” Sindicatul Poliţiştilor Europeni (Europol) au publicat pe pagina oficială un document atribuit…
Anunt
www.infobraila.ro - Brăila
AGRISTATION SRL ANUNTA PUBLICUL INTERESAT ASUPRA LUARII DECIZIEI ETAPEI DE INCADRARE DE CATRE APM BRAILA IN CADRUL PROCEDURII DE EVALUARE A IMPACTULUI ASUPRA MEDIULUI PENTRU PROIECTUL “ INFIINTARE UNITATE DE STOCARE, CONDITIONARE SI PRELUCRARE CEREALE” PROPUS A FI AMPLASAT IN JUD. BRAILA, COM. ZAVOAIA, SATUL ZAVOAIA, T87, P 41, LOT 2, T 87, P 42, […]
Anunt
www.infobraila.ro - Brăila
AGRISTATION SRL ANUNTA PUBLICUL INTERESAT ASUPRA LUARII DECIZIEI ETAPEI DE INCADRARE DE CATRE APM BRAILA IN CADRUL PROCEDURII DE EVALUARE A IMPACTULUI ASUPRA MEDIULUI PENTRU PROIECTUL “ INFIINTARE UNITATE DE STOCARE, CONDITIONARE SI PRELUCRARE CEREALE” PROPUS A FI AMPLASAT IN JUD. BRAILA, COM. ZAVOAIA, SATUL ZAVOAIA, T87, P 41, LOT 2, T 87, P 42, […]
Post vacant in cadrul Muzeului de Arta Populara Constanta
www.ziuaconstanta.ro - Constanţa
Muzeul de Arta Populara Constanta organizeaza concurs la sediul din bulevardul Tomis nr. 32, pentru ocuparea functiei vacante de economist, grad II. Proba scrisa in data de 01.11.2019, ora 09.00, iar ...
Ziua moţiunii. Joi se decide soarta Guvernului Dăncilă
www.oradesibiu.ro - Sibiu
Joi este ziua în care se va citi în Parlament moţiunea de cenzură împotriva Guvernului Dăncilă, se va discuta, apoi se va vota. 237 de parlamentari au semnat moţiunea, printre care şi patru membri ai PSD. Pentru ca moţiunea să treacă şi guvernul să fie demis opoziţia are nevoie de…
Meteo: Vezi aici, cum va fi vremea, joi, in Maramures
ziarmm.ro - Maramureş
Vremea va fi astazi in judetul nostru apropiata de normalul termic al perioadei. Cerul va fi temporar noros indeosebi in cursul zilei cand pe arii relativ extinse va ploua slab. Vantul va sufla slab l
Expoziţia de marionete de la Sala Clio, luată cu asalt. Organizatorii au prelungit perioada de vizitare!
newsar.ro - Arad
„Istoria marionetelor la Arad”, expoziţie foarte apreciată de publicul tânăr, este deschisă în continuare până în 27 octombrie la Sala „Clio” a muzeului. Proiectul expoziţional „In Memoriam Cristian Frangopol” s-a dovedit a fi un real succes, perioada de vizitare a expoziţiei fiind prelungită până în 27 octombrie. Program: marţi-duminică, orele 09 – 17. Intrarea este
Competiţie de esport şi peste 2.000 de locuri de muncă, la Târgul de Cariere Braşov
feedproxy.google.com - Braşov
Cei mai activi angajatori de pe piaţă vor fi prezenţi la Braşov, la Târgul de Cariere, care se desfăşoară în perioada 23-24 octombrie, la Kronwell Hotel. Potrivit organizatorilor, această ediţie va fi mai complexă şi mai mare faţă de cele precedente, la eveniment fiind aşteptate peste 30 companii de top şi peste 2.000 candidaţi, incluzând
Competiţie de esport şi peste 2.000 de locuri de muncă, la Târgul de Cariere Braşov
feedproxy.google.com - Braşov
Cei mai activi angajatori de pe piaţă vor fi prezenţi la Braşov, la Târgul de Cariere, care se desfăşoară în perioada 23-24 octombrie, la Kronwell Hotel. Potrivit organizatorilor, această ediţie va fi mai complexă şi mai mare faţă de cele precedente, la eveniment fiind aşteptate peste 30 companii de top şi peste 2.000 candidaţi, incluzând
Ford lansează astăzi producţia noului Puma, primul vehicul hibrid construit în România
timponline.ro - Bistriţa-Năsăud
(Comunicat) * Primele maşini Ford Puma ies azi de pe linia de producţie a uzinei Ford din Craiova * Ford Puma cu propulsor hibrid de 48 de volţi este primul vehicul hibrid produs vreodată în România * Pentru lansarea acestui nou model Ford a investit aproximativ 200 de milioane de euro la Craiova şi
S-a finalizat recalcularea pensiilor pentru cei care au lucrat in mediul toxic. Diferentele de bani se vor acorda in octombrie sau noiembrie
ziarmm.ro - Maramureş
Casa Judeteana de Pensii (CJP) Maramures a finalizat recalcularea pensiilor pentru cetatenii care au iesit din campul muncii pe baza Legii 221/2018. Este vorba despre 5.357 de cetateni. In acest sens,
Dan Barna CONDUCE în preferinţele arădenilor, în perspectiva alegerilor prezidenţiale. Cine e pe locul al doilea şi ce este SURPRINZĂTOR în SONDAJ
newsar.ro - Arad
Citeşte azi ce scriu ziarele de mâine!
FOTO: Senatorul PSD de Mureş Horea Soporan, întâlniri la nivel înalt la Washington D.C.
www.zi-de-zi.ro - Mureş
În cea de-a patra zi a vizitei în capitala Statelor Unite ale Americii, Washington D.C., senatorul P
NEAMȚ: Eveniment deosebit la Piatra-Neamţ în acest weekend: Romanian International Youth Cup la badminton
www.stiri-neamt.ro - Neamţ
În acest weekend, Sala Polivalentă din Piatra-Neamţ va fi gazda unui eveniment deosebit, Romanian International Youth Cup la badminton. Începând de vineri
SUA – Sute de nuci adunate de veverite pentru iarna, descoperite sub capota unei masini
ziarmm.ro - Maramureş
Obiceiul veveritelor de a face provizii de hrana pentru iarna a capatat o alta semnificatie pentru doi soti din Statele Unite, dupa ce au descoperit sub capota masinii lor o cantitate insemnata de nuc
Plângere penală făcută de directorul DSPSA Botoşani împotriva medicului veterinar de la padocuri. Ce acuze i se aduc!
www.botosaninews.ro - Botoşani
...
Evoluţia ratei şomajului în judeţul Mureş
www.zi-de-zi.ro - Mureş
Conducerea Agenţiei Judeţene pentru Ocuparea Forţei de Muncă (AJOFM) Mureş a anunţat recent, prin in
Tânăr de 27 de ani încarcerat în Penitenciarul Botoşani pentru deţinere de droguri
www.botosaninews.ro - Botoşani
...
Şef dresat: Noul redactor şef de la Bihari Naplo, reclamat de şefii UDMR Bihor la „stăpânire”
www.ebihoreanul.ro - Bihor
'Independenţa' cotidianului Bihari Naplo, atâta câtă a fost, s-a încheiat. Pus în funcţie în luna iulie în locul orădeanului Rais Istvan, membru de partid cu carnet şi fost consilier municipal UDMR (acum angajat consilier la Cabinetul preşedintelui Consiliului Judeţean, Pasztor Sandor), actualul redactor şef, Lehel Kristaly, adus astă-vară de la Budapesta, a fost reclamat de baronii UDMR Bihor patronilor din Budapesta fiindcă nu respectă 'linia' pe care a mers predecesorul său.
Succese noi pentru salvatorii de la ISU Mureş
www.zi-de-zi.ro - Mureş
Echipa de descarcerare şi prim ajutor a Inspectoratului pentru Situaţii de Urgenţă (ISU) ”Horea” al
Ovidiu Gîrbovan rămâne manager al Spitalului Clinic Judeţean Mureş
www.zi-de-zi.ro - Mureş
Actualul manager al Spitalului Clinic Judeţean Mureş, dr. Ovidiu Gîrbovan, a câştigat concursul orga
Zilele Dansului Contemporan aduce spectacole vizuale, la Braşov
feedproxy.google.com - Braşov
A treia ediţie Perform(d)ance – Zilele dansului contemporan la Braşov aduce pe scenă performeri care creează un spectacol complet, îmbinând limbajul corporal cu discursul vorbit, muzica şi arta multimedia, întregind tot conceptul evenimentului perform(d)ance: momentul în care dansul se transformă în performance, exprimând emoţii, sentimente şi trăiri prin mijloace auditive şi vizuale. Evenimentul se va
Antreprenorii români, afectaţi de birocraţia UE
feedproxy.google.com - Braşov
La nivelul Uniunii Europene s-a hotărât ca toate societăţile în care asociaţii deţin peste 25% din acţiuni şi administratorii trebuie să depună la Registrul Comerţului, până în data de 21.07.2020, o declaraţie privind beneficiarii reali ai tranzacţiilor din firmă. Trebuie menţionat faptul că firmele nou înfiinţate depun această declaraţie odată cu înmatricularea. Declaraţie se poate
Senatorul Chisăliţă nu vede realizările primarului Popa pentru că duduie economia şi e blocat în trafic!
expressdebanat.ro - Caraş-Severin
Liberalii reşiţeni nu-i rămân datori senatorului Ionuţ Chisăliţă după ce social-democratul a pus la îndoială performanţele primarului Nelu Popa în administraţia locală şi chiar i-a ironizat realizările.
Atentat la preşedinte!
expressdebanat.ro - Caraş-Severin
Social-democraţii cărăşeni i-au pus gând rău preşedintelui Consiliului Judeţean Caraş-Severin, Silviu Hurduzeu, dar vicele Flavius Nedelcea a refuzat să fie protagonistul loviturii din Palatul Administrativ!
Atentat la preşedinte!
expressdebanat.ro - Caraş-Severin
Social-democraţii cărăşeni i-au pus gând rău preşedintelui Consiliului Judeţean Caraş-Severin, Silviu Hurduzeu, dar vicele Flavius Nedelcea a refuzat să fie protagonistul loviturii din Palatul Administrativ!
FOTO, LIVE VIDEO. Autostrada Sebeş-Turda: Se montează noi elemente la supratraversarea peste A1. TRAFIC rutier ÎNCHIS pe autostrada Sibiu-Orăştie
ziarulunirea.ro - Alba
Autostrada A1 Orăştie-Sibiu, este ÎNCHISĂ traficului rutier începând de joi dimineaţa de la ora 9.00, timp de 24 de ore. Se montează elemente la viitorul
Aniversaţii zilei de 10 octombrie
www.botosaninews.ro - Botoşani
Directorul adjunct al Camerei de Conturi Botosani, Octavian Taranu, consilierul judetean Petru Tupilus, seful Sectiei TBC, medicul Mirela Diana Murvai, politistul de circulatie Lucian Gavriloaie, polististul de circulatie Dan Constantin, medicul de familie din Rauseni Corina Gurau, medicul de familie Dorina Radu, medicul de familie Ioana Alina Tugurlan, medicul de familie Razvan Vasilescu, farmacista Eugenia …
VIDEO & FOTO Străzi de coşmar în municipiul Botoşani. Oamenii sunt disperaţi şi sunt decişi să nu mai plătească taxe şi impozite
www.botosaninews.ro - Botoşani
...
Situaţie incredibilă! Apartamentul din Botoşani al artistei Daniela Condurache debranşat de la utilităţi. Cântăreaţa, victimă a relaţiei dintre E.On şi bancă
www.botosaninews.ro - Botoşani
...
Noi tarife de salubrizare în Bistriţa-Năsăud, de la 1 noiembrie
timponline.ro - Bistriţa-Năsăud
Tarifele prevăzute în contractul cu operatorul Supercom pentru colectarea şi transportul deşeurilor la Tărpiu vor fi modificate. UAT-urile membre ale Adunării Generale ADI Deşeuri Bistriţa-Năsăud vor aproba în consiliile locale respectiv Consiliul Judeţean proiecte de hotărâre de modificare a tarife
”Plăteşti pentru cât arunci”. Cum se va face colectarea deşeurilor şi care va fi frecvenţa
timponline.ro - Bistriţa-Năsăud
Odată cu modificarea tarifelor pentru colectarea şi transportul deşeurilor în Bistriţa-Năsăud, se va modifica şi regulamentul de organizare şi funcţionare a serviciului public de salubrizare.
FRECVENȚA DE COLECTARE
CUM SE VA FACE COLECTAREA
Aici mai multe detalii despre proiectul de
Trafic îngreunat joi pe Valea Oltului din cauza unor lucrări
www.oradesibiu.ro - Sibiu
Pentru că vremea este în continuare bună, drumarii profită şi mai repară câte ceva la carosabilul de pe Valea Oltului. Aşa se face că joi, până la ora 18, traficul va fi îngreunat. Lucrările de reparaţii cu mixtură asfaltică se vor executa pe DN7 intre km 226-227- Robesti si pe…
NEAMȚ: Programul Cinema Mon Amour (Dacia) în perioada 11 – 17 octombrie
www.stiri-neamt.ro - Neamţ
Programul Cinema Mon Amour (Dacia) în perioada 11 – 17 octombrie Vineri – 11.10 Ora 14:15 ABOMINABLE / YETI – OMUL ZĂPEZILOR 3D (DUBLAT)
Ancheta IŞJ arată că nu a fost nicio agresiune la Şcoala din Călineşti Oaş
portalsm.ro - Satu Mare
Ancheta IŞJ arată că nu a fost nicio agresiune la Şcoala din Călineşti Oaş
Ancheta IŞJ arată că nu a fost nicio agresiune la Şcoala din Călineşti Oaş
portalsm.ro - Satu Mare
Ancheta IŞJ arată că nu a fost nicio agresiune la Şcoala din Călineşti Oaş
Bucuria revederii la Gărâna pentru etnicii din Banat
expressdebanat.ro - Caraş-Severin
Etnicii din Banat sunt invitaţi la Gărâna duminică, 13 octombrie, pentru a-şi prezenta portul, cântul şi tradiţia de secole. Buna dispoziţie şi bucuria vor predomina, alături de multitudinea de culori purtate de către participanţi, care aduc istoria mai aproape de cei tineri.
Productia de carne de porc a scazut in august
ziarmm.ro - Maramureş
Productia de carne porc a Romaniei a scazut in august la 30.874 tone carcasa, de la 30.946 tone in luna precedenta si 38.828 tone in august 2018, potrivit datelor Institutului National de Statistica p
www.stiri-neamt.ro - Neamţ
Pe parcursul zilei vom actualiza articolul în funcţie de anunţurile Companiei ApaServ Pentru executarea unor lucrări de înlocuire a reţelei de distribuţie
NEAMȚ: Avarii ApaServ! Zonele care rămân, astăzi, fără apă (10 octombrie)
www.stiri-neamt.ro - Neamţ
Pe parcursul zilei vom actualiza articolul în funcţie de anunţurile Companiei ApaServ Pentru executarea unor lucrări de înlocuire a reţelei de distribuţie
Cade Guvernul? A-nceput de ieri…
ziarulargesul.ro - Argeş
Cade sau nu cade
azi Guvernul? Dacă ne luăm după liderul liberal Ludovic Orban, acest Hamlet al
politicii dâmboviţene, moţiunea de cenzură are 80% şanse să fie adoptată,
pentru că, pe lângă semnatarii ei, ar exista alţi şapte-opt parlamentari care o
vor vota. VeVe Dăncilă, în schimb, dacă stai să o asculţi, se
bazează pe oamenii de bună-credinţă care ştiu ce înseamnă stabilitate în
România. Şi cu această bună-credinţă, ea anunţă că mâine va
da drumul la bani, prin rectificare, deşi e posibil să nu mai aibă niciun drept
de semnătură.Ieri, la prânz,
când scriam aceste rânduri, votul încă se juca
Prinţul Dimitrie Sturdza, lobby pentru Liceul Silvic Gurghiu, gazda Concursul European de Silvicultură 2020
www.zi-de-zi.ro - Mureş
Una din cele mai frumoase zone ale ţării, de un farmec aparte, este Valea Gurghiului, loc încărcat n
Mircea Cartarescu, nominalizat la Premiul Nobel 2019
www.ziuaconstanta.ro - Constanţa
Rasunator si intens dezbatut, Premiul Nobel pentru Literatura va fi atribuit anul acesta atat pentru anul 2019, cat si pentru 2018, cand decernarea a fost amanata din cauza unui scandal de agresiune ...
Duma de Stat a Rusiei va suspenda calatoriile deputatilor sai in SUA
ziarmm.ro - Maramureş
Duma de Stat (camera inferioara a parlamentului federal rus) va suspenda deplasarile deputatilor sai in SUA, a anuntat miercuri Anastasia Kasevarova, consiliera a presedintelui Dumei, Viaceslav Volodi
Primul album muzical al fiului doctorului Tase, lansat pe 1 noiembrie
ziarulargesul.ro - Argeş
Aşa cum v-am informat, Andrei, fiul medicului cardiolog Adrian Tase, lucrează de zor la primul său album muzical. Ei bine, acesta este aproape gata, iar lansarea oficială va avea loc pe 1 noiembrie, la ora 19, în sala de spectacole a Filarmonicii din Piteşti. Albumul - realizat în condiţii...
Ei cu moţiunea lor, noi cu moţiunea noastră!
ziarulargesul.ro - Argeş
# Judeţul Argeş, la pământ pe mai multe paliere Astăzi este un moment foarte important din punct de vedere politic, ce poate avea implicaţii în toate planurile vieţii noastre: este dezbătută moţiunea de cenzură împotriva Guvernului condus de Viorica Dăncilă şi în care a rămas numai PSD, din...
CSM: Birchall dezinformeaza; afirmatiile ministrului – contrazise de lege; declaratia privind uzurparea atributiilor – intentionat eronata
ziarmm.ro - Maramureş
Consiliul Superior al Magistraturii (CSM) a sustinut miercuri ca sunt contrazise de lege si ''intentionat eronate'' declaratiile ministrului Ana Birchall prin care imputa Consiliului ''uzurparea atrib
Restanţieri... pe burtă: Revoltă la Facultatea de Medicină din Oradea, împotriva unui profesor prea exigent
www.ebihoreanul.ro - Bihor
Zeci de studenţi ameninţă Facultatea de Medicină cu justiţia fiindcă au aflat cu doar o zi înaintea debutului noului an universitar că sunt repetenţi. Conferenţiarul Ovidiu Burtă e acuzat de tineri că este prea exigent şi îi pică la examene nemeritat, iar conducerea facultăţii că, după ce s-a lăcomit la banii pe care i-au plătit ca taxe de şcolarizare, îi ameninţă cu exmatricularea aproape de finalizarea studiilor.
AJOFM: Aproape 600 locuri de munca disponibile in Maramures
ziarmm.ro - Maramureş
In aceasta saptamana, Agentia Judeteana pentru Ocuparea Fortei de Munca Maramures anunta ca in judet exista disponibile 587 locuri de munca vacante. Oferta este una variata si cuprinde posturi in mai
Va avea în sfârşit Timişoara un institut oncologic? Ce spune ministrul Sorina Pintea?
expressdebanat.ro - Caraş-Severin
Majoritatea timişorenilor văd „ruinele” de pe Calea Torontalului, o clădirea în care ar fi trebuit să se trateze oamenii bolnavi, dar abandonată de ani întregi într-un stadiu nici măcar „la roşu”. Ridicată iniţial pentru a adăposti Spitalul Municipal, unul cu secţii împrăştiate în tot oraşul, ulterior, pentru clădire s-a găsit destinaţia perfectă pentru Institutul Oncologic. De ani de zile, lucrurile sunt în impas, iar Sorina Pintea spune că s-a adresat organelor abilitate.
Zona în care miroase îngrozitor din lipsa canalizării. Ce se poate face
timponline.ro - Bistriţa-Năsăud
În această zonă a Bistriţei miroase îngrozitor de la fosele septice şi de la deversarea apelor menajere direct în şanturi, însă există o soluţie la care ar trebui să apeleze urbaniştii din Primăria Bistriţa.
”Niciodată probabil nu o să vedem racordarea străzilor din zona lacului de agrement la s
Un autocamion a dărâmat grinda unui pod de pe strada Automotoarelor
feedproxy.google.com - Braşov
Din cauza nerespectării restricţiei de înălţime, un autovehicul de mare tonaj a acroşat o grindă metalică de la un pod, de pe strada Automotoarelor din municipiul Braşov. Șoferul, trecea pe sub podul condiţionat de o anumită înălţime, iar în momentul când a înaintat, autovehiculul a agăţat grinda de gabarit a podului, care a căzut peste
METEO: Avertizare imediată în Neamţ (10 octombrie). Cod galben
www.stiri-neamt.ro - Neamţ
Administraţia Naţionala de Meteorologie a emis o avertizare imediată (nowcasting), pentru judeţul Neamţ: COD GALBEN Valabil de la : 10-10-2019 ora
Unitatea Administrativ-Teritoriala-Poarta Alba angajeaza consilier de specialitate
www.ziuaconstanta.ro - Constanţa
Unitatea Administrativ-Teritoriala-Poarta Alba, cu sediul in Poarta Alba, Calea Bucuresti, nr. 25, judetul Constanta, organizeaza concurs, pentru ocuparea urmatorului post contractual, aprobat prin H.G. ...
Două clădiri din centrul istoric riscă să cadă peste trecători. Soluţia ”verzilor”
timponline.ro - Bistriţa-Năsăud
Faţadele degradate ale clădirilor din centrul istoric al Bistriţei pot şi trebuie să fie reabilitate înainte să se producă vreun regretabil accident, a sugerat, într-o conferinţă de presă, preşedintele Partidului Verde Bistriţa-Năsăud, Marius Bălan, arătând spre ceea ce face Primăria Generală a Capi
Jandarmul braşovean Daniel Bălăiţă, la Campionatul Mondial de Powerlifting din Africa de Sud
feedproxy.google.com - Braşov
Daniel-Ioan Bălăiţă, jandarm în cadrul Grupării Mobile de Jandarmi „Burebista” Braşov, va lupta cu cei mai puternici sportivi din lume, la Campionatul Mondial de Powerlifting Master, care se desfăşoară în oraşul Potcheftroom, din Africa de Sud. Braşoveanul, multiplu campion naţional, campion european, campion mondial la powerlifting, este încurajat de colegi, care îl aşteaptă să revină cu
Copil tâlhărit pe stradă, de un tânăr din Săcele
feedproxy.google.com - Braşov
Poliţiştii braşoveni au identificat şi reţinut un tânăr de 22 de ani, după ce acesta ar fi tâlhărit un copil de 13 ani din municipiul Braşov. Incidentul s-a petrecut vinerea trecută, în jurul orei 15.00, când tânărul, în timp ce se afla pe raza municipiului Braşov, ar fi agresat fizic şi ar fi ameninţat cu
Senatorul Chisăliţă nu vede realizările primarului Popa pentru că dudie economia şi e blocat în trafic!
expressdebanat.ro - Caraş-Severin
Liberalii reşiţeni nu-i rămân datori senatorului Ionuţ Chisăliţă după ce social-democratul a pus la îndoială performanţele primarului Nelu Popa în administraţia locală şi chiar i-a ironizat realizările.
Poluare fonică! Picamerele, cositorile şi festivalurile strică liniştea lugojenilor
expressdebanat.ro - Caraş-Severin
Lugojenii sunt asaltaţi din toate părţile de poluarea fonică. Oraşul seamănă cu un şantier haotic, mai ales în lunile de vară, în care răcnetele harnicilor constructori care lucrează la diferite palate private se combină armonios cu vacarmul sonor al picamerelor şi al betonierelor. Zgomotul nu ţine seama de zone rezidenţiale şi nici de orele de linişte care, de frică, de ne-frică, mai erau respectate înainte de 1990.
Fotbalul feminin a revenit la Braşov cu victorie!
feedproxy.google.com - Braşov
Noua echipă de fotbal feminin a Braşovului, Cs Colţea 1920 Braşov, a învins cu 3 la 2 pe FCM Târgovişte şi s-a calificat în turul 2 al Cupei României la fotbal feminin. Ziua de miercuri este de notat în calendarul fotbalului braşovean odată cu revenirea pe scena fotbalistică a unei noi echipe de fotbal feminin,
Primarul Timişoarei se simte persecutat! „Este o sfidare! E clar că au primit o comandă de undeva”
expressdebanat.ro - Caraş-Severin
Lucrările la drumurile din Timişoara din ultimul timp au generat şi unele amenzi pentru primarul Nicolae Robu, care primeşte sancţiunile direct, în calitate de semnatar al documentelor referitoare la şantiere. Edilul spune că i se pare că Inspectoratul de Stat în Construcţii acţionează la comandă de un an, deoarece i se pare că motivele pentru amenzi sunt trase de păr!
ASTĂZI: Guvernul Dăncilă, faţă în faţă cu moţiunea, dezbătută şi votată în Parlament
ziarulunirea.ro - Alba
Va fi sau nu va mai fi guvernul Dăncilă de astăzi? Paralmentarii sunt chemaţi să dea răspunsul la această întrebare, prin votul asupra moţiunii de
TABLETA DE JOI – Radu Alexandru STATE – Figuri uitate ale dascălilor dâmboviţeni (I)
www.gazetadambovitei.ro - Dâmboviţa
Memoria colectivă păstrează, cu mai multe sau mai puţine amănunte, istorii de vieţi ale oamenilor politici, savanţilor, dramaturgilor, geniilor muzicii
Care sunt fortele politice implicate: Astazi se va dezbate si vota motiunea de cenzura impotriva Guvernului Dancila
www.ziuaconstanta.ro - Constanţa
Motiunea, intitulata Ca sa reconstruim Romania, Guvernul Dancila trebuie demis de urgenta! , are 237 de semnaturi de la parlamentari
Revista presei locale
www.ziuaconstanta.ro - Constanţa
Revista presei locale
Romania U21 începe campania de calificare la Euro 2021 – Programul meciurilor
www.oradesibiu.ro - Sibiu
Naţională de fotbal U21 a României va începe marţi campania de calificare la ediţia din 2021 a Campionatului European. România va merge la Aalborg, pentru a evolua împotriva Danemarcei, în primul meci oficial programat după turneul final din această vara, când a ajuns în semifinalele competiţiei. Mirel Rădoi & Co.…
Romania U21 începe campania de calificare la Euro 2021 – Programul meciurilor
www.oradesibiu.ro - Sibiu
Naţională de fotbal U21 a României va începe marţi campania de calificare la ediţia din 2021 a Campionatului European. România va merge la Aalborg, pentru a evolua împotriva Danemarcei, în primul meci oficial programat după turneul final din această vara, când a ajuns în semifinalele competiţiei. Mirel Rădoi & Co.…